- Foro
- Foros sobre Micología de fungipedia
- Consultas de micología
- ¿Mycena vitilis?. Tema para Mycenologos
×
Cuando realices una consulta fíjate bien en quien te responde para valorar la verdadera capacidad de respuesta de dicha persona basándote en sus conocimientos. Nunca te fíes ciegamente de ninguna respuesta que te den, ANTES DE CONSUMIR UN EJEMPLAR DESCONOCIDO consulta siempre con un micólogo que pueda ver físicamente el ejemplar, llevale todos los ejemplares que vayas a consumir porque puede que dos setas que te parezcan iguales no lo sean. Para facilitar una identificación es recomendable especificar detalles del hábitat, tamaño (la cámara engaña), color de las láminas de maduras etc.
¿Mycena vitilis?. Tema para Mycenologos
- Josep Torres
-
Autor del tema
- Fuera de línea
- Moderador
-
Menos
Más
- Mensajes: 8746
- Gracias recibidas: 8379
8 años 5 meses antes #96263
por Josep Torres
¿Mycena vitilis?. Tema para Mycenologos Publicado por Josep Torres
Hola a tod@s.
Os dejo un par de imágenes de una pequeña Mycena, tomadas el pasado 17 de Septiembre en mi encuentro con los Fungimasters.
Una Mycena de pequeño tamaño brotando entre la hojarasca del hayedo, en el momento de la recogida de muestras consideramos que probablemente se trataba de Mycena vitilis.
Su microscopía.
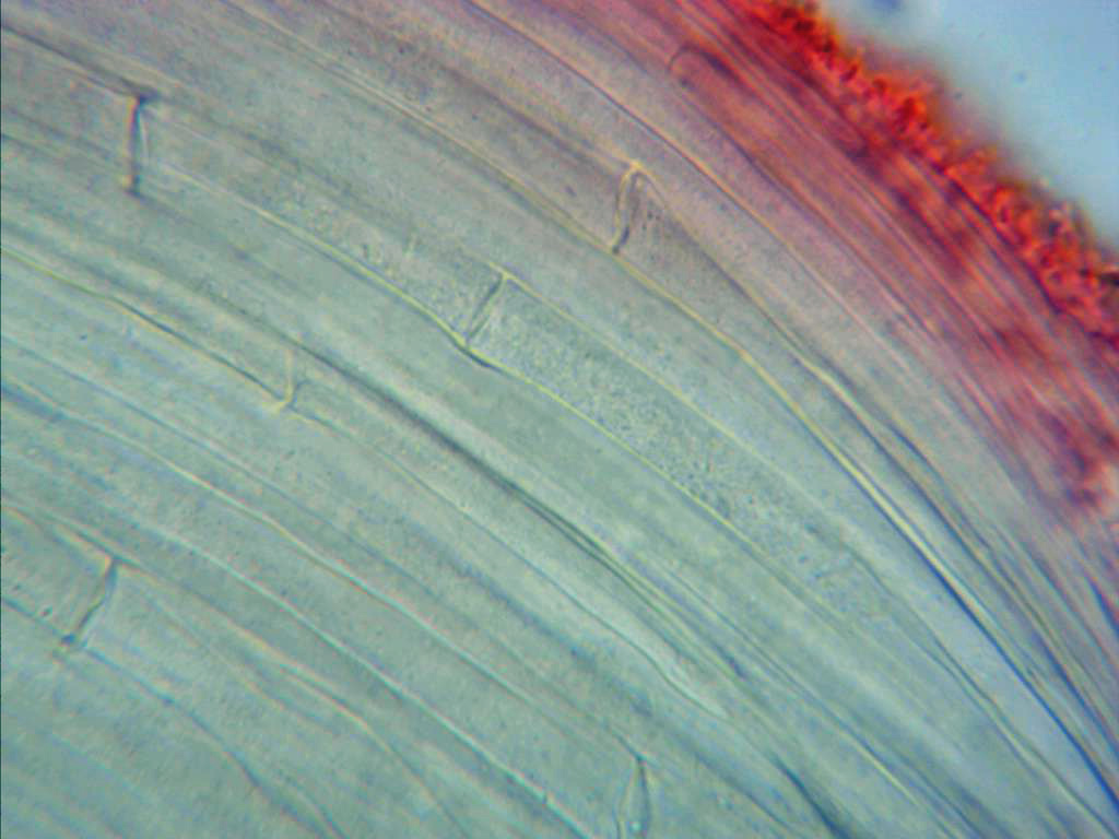
La pileipellis:
Sección de la pileipellis a 400 aumentos con una capa de hifas hialinas y bastante anchas en la superficie.
Un par de imágenes frontales de la capa superior de la pileipellis, a 1000 aumentos.
Pileipellis a 1000 aumentos, en este plano se pueden observar unas excrecencias a modo de granos en la parte exterior de las hifas.
Himenio y basidios:
Sección del himenio a 1000 aumentos.
Trama laminar con hifas anchas muy irregulares y dispuestas mas o menos paralelamente.
Los basidios que pude observar tetraspóricos.
Los queilocistidios:
Un par de imágenes de la arista laminar, se observan unos queilocistidios con formas redondeadas con unas excrecencias a modo de dedos en su superficie.
Los caulocistidios:
Hifas de la estipitipellis, anchas y dispuestas paralelamente.
Toda la superficie de la estipitipellis estaba completamente cubierta con unos granos o verrucosidades, os dejo unas imágenes tomadas a diferentes planos.
Toda la superficie del estípite cubierta de caulocistidios a modo de granos o verrugas, con algunas formaciones redondeadas, asimismo cubiertas de estos mismos granos.
Las esporas:
Esporas mayoritariamente elipsoidales, hialinas, con apícula, de pared fina y con un ligero contenido granuloso en su interior, con alguna de ellas que de medida se salía de madre. En mis mediciones de 8,2 (9,1;10,1) 12,5 X 4,8 (5,1;6,3) 7,8 µm.
Bien podría tratarse de la Mycena vitilis propuesta, aunque en este caso los queilocistidios aunque soy muy nuevo con las Mycenas, la morfología de estos me recuerda más a la Mycena clavicularis, que si no lo tengo entendido mal es propia de coníferas, también debo suponer que hay otras muchas Mycenas con queilocistidios parecidos, los queilocistidios es lo único que no me encaja ya que todo lo demás apunta a la Mycena vitilis propuesta.
No sé si por tratarse de un exsiccata, estos detalles pueden perderse y dar lugar a la confusión, ya que por el resto de datos obtenidos si que la cosa apunta a la Mycena vitilis
Cualquier opinión sera muy bienvenida
.
Ya puestos y como ya solo me queda una muestra por presentaros, os la dejo aquí mismo y doy ya por finalizados los estudios de las especies de este día.
Esta última en el lugar consideramos una posible Telephora, a pesar de que no pude obtener ninguna imágen de sus esporas, por la ausencia de fíbulas y por la morfología de los basidiolos así como su aspecto macroscópico, debo suponer que se trata de Cotylidia pannosa, una especie bastante común en hayedos.
Muchas gracias de antemano.
Saludos a tod@s.
Os dejo un par de imágenes de una pequeña Mycena, tomadas el pasado 17 de Septiembre en mi encuentro con los Fungimasters.
Una Mycena de pequeño tamaño brotando entre la hojarasca del hayedo, en el momento de la recogida de muestras consideramos que probablemente se trataba de Mycena vitilis.
Su microscopía.
La pileipellis:
Sección de la pileipellis a 400 aumentos con una capa de hifas hialinas y bastante anchas en la superficie.
Un par de imágenes frontales de la capa superior de la pileipellis, a 1000 aumentos.
Pileipellis a 1000 aumentos, en este plano se pueden observar unas excrecencias a modo de granos en la parte exterior de las hifas.
Himenio y basidios:
Sección del himenio a 1000 aumentos.
Trama laminar con hifas anchas muy irregulares y dispuestas mas o menos paralelamente.
Los basidios que pude observar tetraspóricos.
Los queilocistidios:
Un par de imágenes de la arista laminar, se observan unos queilocistidios con formas redondeadas con unas excrecencias a modo de dedos en su superficie.
Los caulocistidios:
Hifas de la estipitipellis, anchas y dispuestas paralelamente.
Toda la superficie de la estipitipellis estaba completamente cubierta con unos granos o verrucosidades, os dejo unas imágenes tomadas a diferentes planos.
Toda la superficie del estípite cubierta de caulocistidios a modo de granos o verrugas, con algunas formaciones redondeadas, asimismo cubiertas de estos mismos granos.
Las esporas:
Esporas mayoritariamente elipsoidales, hialinas, con apícula, de pared fina y con un ligero contenido granuloso en su interior, con alguna de ellas que de medida se salía de madre. En mis mediciones de 8,2 (9,1;10,1) 12,5 X 4,8 (5,1;6,3) 7,8 µm.
Bien podría tratarse de la Mycena vitilis propuesta, aunque en este caso los queilocistidios aunque soy muy nuevo con las Mycenas, la morfología de estos me recuerda más a la Mycena clavicularis, que si no lo tengo entendido mal es propia de coníferas, también debo suponer que hay otras muchas Mycenas con queilocistidios parecidos, los queilocistidios es lo único que no me encaja ya que todo lo demás apunta a la Mycena vitilis propuesta.
No sé si por tratarse de un exsiccata, estos detalles pueden perderse y dar lugar a la confusión, ya que por el resto de datos obtenidos si que la cosa apunta a la Mycena vitilis
Cualquier opinión sera muy bienvenida
Ya puestos y como ya solo me queda una muestra por presentaros, os la dejo aquí mismo y doy ya por finalizados los estudios de las especies de este día.
Esta última en el lugar consideramos una posible Telephora, a pesar de que no pude obtener ninguna imágen de sus esporas, por la ausencia de fíbulas y por la morfología de los basidiolos así como su aspecto macroscópico, debo suponer que se trata de Cotylidia pannosa, una especie bastante común en hayedos.
Muchas gracias de antemano.
Saludos a tod@s.
El siguiente usuario dijo gracias: Juan Andrés Román, Jon Joseba Arnedo
Por favor, Identificarse para unirse a la conversación.
- Juan Andrés Román
-
- Fuera de línea
- Spammer
-
Menos
Más
- Mensajes: 2558
- Gracias recibidas: 2756
8 años 5 meses antes #96270
por Juan Andrés Román
Respuesta de Juan Andrés Román sobre el tema ¿Mycena vitilis?. Tema para Mycenologos
Josep parece mentira pero no fotografié la Cotylidia pannosa, eso es lo que pasa cuando uno anda engorilado.

Un saludo.
Un saludo.
El siguiente usuario dijo gracias: Josep Torres
Por favor, Identificarse para unirse a la conversación.
- Jon Joseba Arnedo
-
- Fuera de línea
- Moderador
-
Menos
Más
- Mensajes: 3702
- Gracias recibidas: 3555
8 años 5 meses antes #96274
por Jon Joseba Arnedo
Respuesta de Jon Joseba Arnedo sobre el tema ¿Mycena vitilis?. Tema para Mycenologos
Pues ya somos dos, Juan
y eso que era una especie a la que tenía o eso creía "cogida la matricula" de la siguiente no pasa 
De la Mycena yo poco te puedo decir Josep, solo que es un género muy ponzoñoso y más estudiándola mediante exsiccata. En hayas esa especie es una plaga y a mi de visu si me lo parece.
Un abrazo
De la Mycena yo poco te puedo decir Josep, solo que es un género muy ponzoñoso y más estudiándola mediante exsiccata. En hayas esa especie es una plaga y a mi de visu si me lo parece.
Un abrazo
El siguiente usuario dijo gracias: Josep Torres
Por favor, Identificarse para unirse a la conversación.
- Koldobika
-
- Fuera de línea
- Navegador Dorado
-
Menos
Más
- Mensajes: 178
- Gracias recibidas: 237
8 años 5 meses antes #96281
por Koldobika
Respuesta de Koldobika sobre el tema ¿Mycena vitilis?. Tema para Mycenologos
A simple vista parece una vitilis pero su microscopía es diferente, con excrecencias más largas y protuberancias escasas en el pie... yo miraría por Mycena filopes más acorde con tu microscopia. Un abrazo
El siguiente usuario dijo gracias: Jon Joseba Arnedo, Josep Torres
Por favor, Identificarse para unirse a la conversación.
- Ricardo Ibarretxe
-
- Fuera de línea
- Spammer
-
Menos
Más
- Mensajes: 2622
- Gracias recibidas: 1942
8 años 5 meses antes - 8 años 5 meses antes #96287
por Ricardo Ibarretxe
Respuesta de Ricardo Ibarretxe sobre el tema ¿Mycena vitilis?. Tema para Mycenologos
Hola Josep, yo también pienso que se trata de Mycena filopes. Las excrecencias y el tamaño de los queilocistidios son de M. filopes, los de vitilis de asemejan más a basidios pero con "esterigmas" mas gruesos aun y al igual que estos de 1 a 4.
Cuando no veas los queilocistidios claros en la preparación, prueba a añadir un poco de NH3, suele mejorar sensiblemente la visualización, úsalo para para fotografiar, no para medir.
Un abrazo.
Cuando no veas los queilocistidios claros en la preparación, prueba a añadir un poco de NH3, suele mejorar sensiblemente la visualización, úsalo para para fotografiar, no para medir.
Un abrazo.
Última Edición: 8 años 5 meses antes por Ricardo Ibarretxe .
El siguiente usuario dijo gracias: Josep Torres
Por favor, Identificarse para unirse a la conversación.
- Josep Torres
-
Autor del tema
- Fuera de línea
- Moderador
-
Menos
Más
- Mensajes: 8746
- Gracias recibidas: 8379
8 años 5 meses antes #96288
por Josep Torres
Respuesta de Josep Torres sobre el tema ¿Mycena vitilis?. Tema para Mycenologos
Chicos muchas gracias a los cuatro, para Koldobika, menudo "alegrón" de verte de nuevo por aquí
, para mí eres uno de los mejores Mycenologos del momento, y si además Ricardo está de acuerdo contigo, no creo que dejemos lugar a dudas. Para Ricardo no te quepa duda de que seguiré al pié de la letra tus consejos con las muestras, me sucede muy a menudo en mis preparaciones, sobre todo si se trata de exsiccatas, que no aparecen claras.
Desde luego la opción de Mycena filopes encaja a la perfección, tanto la morfología de los queilocistidios, los caulocistidios y la pileipellis, así como la morfología y las medidas esporales. Para contrastar los resultados del género Mycena siempre utilizo la página de "The Mycenas of Northern europe" , y desde luego encaja a la perfección, dejo aquí el enlace.
www.mycena.no/filopes.htm
Un fuerte abrazo a los cuatro
Desde luego la opción de Mycena filopes encaja a la perfección, tanto la morfología de los queilocistidios, los caulocistidios y la pileipellis, así como la morfología y las medidas esporales. Para contrastar los resultados del género Mycena siempre utilizo la página de "The Mycenas of Northern europe" , y desde luego encaja a la perfección, dejo aquí el enlace.
www.mycena.no/filopes.htm
Un fuerte abrazo a los cuatro
Por favor, Identificarse para unirse a la conversación.
- Foro
- Foros sobre Micología de fungipedia
- Consultas de micología
- ¿Mycena vitilis?. Tema para Mycenologos
Tiempo de carga de la página: 0.150 segundos



Foro de micología