- Foro
- Foros sobre Micología de fungipedia
- Microscopía
- Candanchú 2025: (9) Leucogaster nudus (Hazsl.) Hollós
Candanchú 2025: (9) Leucogaster nudus (Hazsl.) Hollós
- Josep Torres
-
Autor del tema
- Fuera de línea
- Moderador
-
Menos
Más
- Mensajes: 8746
- Gracias recibidas: 8379
7 meses 2 semanas antes - 7 meses 2 semanas antes #110621
por Josep Torres
Hola.
Un hongo hipogeo del 16 de agosto pasado.
Agradecer a Pablo Chacón que me facilitara un ejemplar para tomar fotos y una pequeña muestra para la microscopía. Una mención especial para su perrita "Tundra", que dio con él justo al lado del aparcamiento, sin ella este tema no habría sido posible.
Leucogaster nudus (Hazsl.) Hollós
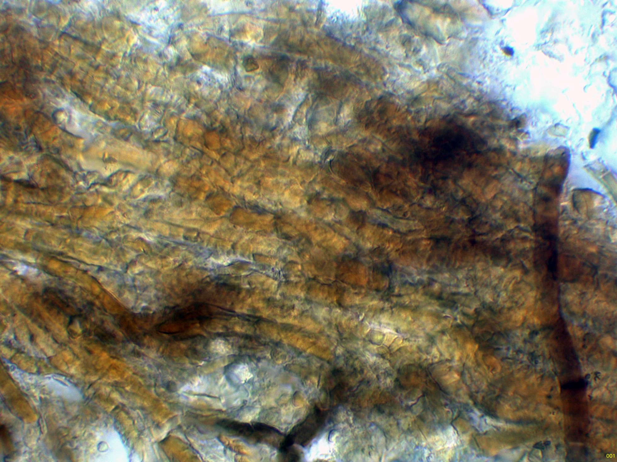
Una imágen de la sección:
Las hifas del peridio en agua:
Las hifas tramales del contexto:
En medio de estas hifas pueden vislumbrarse los basidios:
Las esporas:
Y por último una imágen de las esporas en distinto plano para poder observar mejor su superficie:
Estas esporas con unas medidas de:
(8.8) 10.1 - 12.9 (13.6) × (7.4) 8.4 - 10.9 (11.5) µm
Q = (1) 1.1 - 1.2 (1.3) ; N = 30
Me = 11.6 × 9.9 µm ; Qe = 1.2
Saludos.
Un hongo hipogeo del 16 de agosto pasado.
Agradecer a Pablo Chacón que me facilitara un ejemplar para tomar fotos y una pequeña muestra para la microscopía. Una mención especial para su perrita "Tundra", que dio con él justo al lado del aparcamiento, sin ella este tema no habría sido posible.
Leucogaster nudus (Hazsl.) Hollós
Una imágen de la sección:
Las hifas del peridio en agua:
Las hifas tramales del contexto:
En medio de estas hifas pueden vislumbrarse los basidios:
Las esporas:
Y por último una imágen de las esporas en distinto plano para poder observar mejor su superficie:
Estas esporas con unas medidas de:
(8.8) 10.1 - 12.9 (13.6) × (7.4) 8.4 - 10.9 (11.5) µm
Q = (1) 1.1 - 1.2 (1.3) ; N = 30
Me = 11.6 × 9.9 µm ; Qe = 1.2
Saludos.
Adjuntos:
Última Edición: 7 meses 2 semanas antes por Josep Torres. Razón: Una falta de ortografía
Por favor, Identificarse para unirse a la conversación.
- Foro
- Foros sobre Micología de fungipedia
- Microscopía
- Candanchú 2025: (9) Leucogaster nudus (Hazsl.) Hollós
Tiempo de carga de la página: 0.138 segundos



Foro de micología