- Foro
- Foros sobre Micología de fungipedia
- Microscopía
- Caribe 2025: Russula cf. foetentula Peck. Microscopía.
Caribe 2025: Russula cf. foetentula Peck. Microscopía.
- Josep Torres
-
Autor del tema
- Fuera de línea
- Moderador
-
Menos
Más
- Mensajes: 8746
- Gracias recibidas: 8379
8 meses 1 semana antes #110599
por Josep Torres
Hola.
Una Russula fotografiada el 3 de agosto pasado, en la zona del Parque Nacional Juan Bautista Pérez Rancier, a unos 50 metros de la pirámide que marca el centro de la Isla, a 2372 msnm. y bajo Pinus occidentalis, llamado coloquialmente como pino criollo.
Esta es la segunda Russula que me encuentro en la Isla, la primera fue por febrero de 2022 y atendiendo a los datos moleculares se trataba de una Russula muy cercana a la Russula venezuelensis.
En este caso el único ejemplar que encontré no pasaba ya por su mejor momento, aunque atendiendo a su olor fétido, su pie hueco y cavernoso, la no reacción de la cutícula frente al KOH, la ausencia de dermatocistidios y morfología esporal, todo apunta a una Russula dentro de la sección de las Foetentinae.
En este caso no voy a recurrir al análisis molecular, aunque voy a conservar muestra de herbario, tan solo por si fuera necesario en el futuro.
Russula cf. foetentula Peck
Lo que quedaba de la Russula a pie de campo:
Las hifas de la suprapellis en agua a 400 aumentos:
La suprapellis en agua a 1000 aumentos:
Aunque no pude observar dermatocistidios, si que presentaba en la suprapellis unas hifas primordiales con contenido, que según la bibliografía se deberían teñir con la Sulfovainillina (aquí en la Isla no dispongo de ella, para poder confirmar este punto).
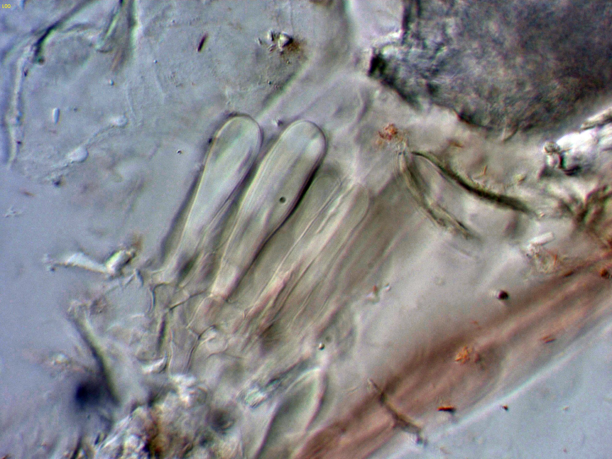
Muy abundantes queilocistidios y pleurocistidios lanceolados.
Estos cistidios en solución de Rojo Congo diluido:
Los cistidios en Reactivo de Melzer:
Los basidios en solución de Rojo Congo:
Los basidios en Reactivo de Melzer:
Las esporas en Reactivo de Melzer, estas esporas con verrugas dispersas sin líneas de conexión (crestas) entre ellas:
Una ampliación para poder observar mejor la ornamentación esporal:
En este estudio me tuve que conformar con medir las esporas libres ya que no conseguí esporas por medio de la esporulación natural, estas esporas libres con unas medidas en Reactivo de Melzer de:
(8.5) 9.6 - 11.1 (11.9) × (7) 8 - 9.6 (10.5) µm
Q = (1.1) 1.11 - 1.3 (1.4) ; N = 30
Me = 10.3 × 8.7 µm ; Qe = 1.2
Como especies similares a la Russula foetentula, tenemos la Russula laurocerasi y la Russula fragrantissima, ambas con esporas con evidentes líneas de conexión entre las verrugas, llegando a formar un retículo, añado como comparativa una imágen de un estudio mío de la Russula fragrantissima, donde se observan bien estas crestas:
La Russula foetentula tiene unas características muy parecidas a la Russula subfoetens Europea, considerada por muchos como una versión americana de esta última.
Con esta debido a su estado me surgen algunas pequeñas dudas acerca de su identidad y las medidas esporales se encuentran un poco por encima de las que se atribuyen a la especie (quizás por tratarse de esporas hipermaduras), con unas medidas esporales según bibliografía de 6-9 x 5,5-8 µm., de ahí que prefiera dejar el tema abierto como Russula cf. foetentula.
Saludos.
Una Russula fotografiada el 3 de agosto pasado, en la zona del Parque Nacional Juan Bautista Pérez Rancier, a unos 50 metros de la pirámide que marca el centro de la Isla, a 2372 msnm. y bajo Pinus occidentalis, llamado coloquialmente como pino criollo.
Esta es la segunda Russula que me encuentro en la Isla, la primera fue por febrero de 2022 y atendiendo a los datos moleculares se trataba de una Russula muy cercana a la Russula venezuelensis.
En este caso el único ejemplar que encontré no pasaba ya por su mejor momento, aunque atendiendo a su olor fétido, su pie hueco y cavernoso, la no reacción de la cutícula frente al KOH, la ausencia de dermatocistidios y morfología esporal, todo apunta a una Russula dentro de la sección de las Foetentinae.
En este caso no voy a recurrir al análisis molecular, aunque voy a conservar muestra de herbario, tan solo por si fuera necesario en el futuro.
Russula cf. foetentula Peck
Lo que quedaba de la Russula a pie de campo:
Las hifas de la suprapellis en agua a 400 aumentos:
La suprapellis en agua a 1000 aumentos:
Aunque no pude observar dermatocistidios, si que presentaba en la suprapellis unas hifas primordiales con contenido, que según la bibliografía se deberían teñir con la Sulfovainillina (aquí en la Isla no dispongo de ella, para poder confirmar este punto).
Muy abundantes queilocistidios y pleurocistidios lanceolados.
Estos cistidios en solución de Rojo Congo diluido:
Los cistidios en Reactivo de Melzer:
Los basidios en solución de Rojo Congo:
Los basidios en Reactivo de Melzer:
Las esporas en Reactivo de Melzer, estas esporas con verrugas dispersas sin líneas de conexión (crestas) entre ellas:
Una ampliación para poder observar mejor la ornamentación esporal:
En este estudio me tuve que conformar con medir las esporas libres ya que no conseguí esporas por medio de la esporulación natural, estas esporas libres con unas medidas en Reactivo de Melzer de:
(8.5) 9.6 - 11.1 (11.9) × (7) 8 - 9.6 (10.5) µm
Q = (1.1) 1.11 - 1.3 (1.4) ; N = 30
Me = 10.3 × 8.7 µm ; Qe = 1.2
Como especies similares a la Russula foetentula, tenemos la Russula laurocerasi y la Russula fragrantissima, ambas con esporas con evidentes líneas de conexión entre las verrugas, llegando a formar un retículo, añado como comparativa una imágen de un estudio mío de la Russula fragrantissima, donde se observan bien estas crestas:
La Russula foetentula tiene unas características muy parecidas a la Russula subfoetens Europea, considerada por muchos como una versión americana de esta última.
Con esta debido a su estado me surgen algunas pequeñas dudas acerca de su identidad y las medidas esporales se encuentran un poco por encima de las que se atribuyen a la especie (quizás por tratarse de esporas hipermaduras), con unas medidas esporales según bibliografía de 6-9 x 5,5-8 µm., de ahí que prefiera dejar el tema abierto como Russula cf. foetentula.
Saludos.
Adjuntos:
Por favor, Identificarse para unirse a la conversación.
- Javi Calvo
-
- Fuera de línea
- Spammer
-
Menos
Más
- Mensajes: 7009
- Gracias recibidas: 2955
7 meses 3 semanas antes #110609
por Javi Calvo
Respuesta de Javi Calvo sobre el tema Caribe 2025: Russula cf. foetentula Peck. Microscopía.
Una pena que no estuviera en su mejor momento, a mi también me recuerda mucho a la Russula subfoetens, un saludo artista
El siguiente usuario dijo gracias: Josep Torres
Por favor, Identificarse para unirse a la conversación.
- Josep Torres
-
Autor del tema
- Fuera de línea
- Moderador
-
Menos
Más
- Mensajes: 8746
- Gracias recibidas: 8379
7 meses 3 semanas antes #110614
por Josep Torres
Respuesta de Josep Torres sobre el tema Caribe 2025: Russula cf. foetentula Peck. Microscopía.
Por supuesto Javi, la Russula foetentula es la versión Americana de la Russula subfoetens, por si te sirve la Russula subfoetens Europea la tengo de Candanchú, con una microscopía prácticamente idéntica a la foetentula, de Candanchú aparte de la Russula subfoetens, me he traído más de 20 "cromos nuevos", que ya iré presentando en los próximos días a medida que vaya ordenado mis archivos.
Un abrazo
Un abrazo
Por favor, Identificarse para unirse a la conversación.
- Foro
- Foros sobre Micología de fungipedia
- Microscopía
- Caribe 2025: Russula cf. foetentula Peck. Microscopía.
Tiempo de carga de la página: 0.300 segundos



Foro de micología