- Foro
- Foros sobre Micología de fungipedia
- Microscopía
- Caribe 2025: Limacella aff. subtropicana Izhar, Niazi, Asif, Haqnawaz, H.Bashir
Caribe 2025: Limacella aff. subtropicana Izhar, Niazi, Asif, Haqnawaz, H.Bashir
- Josep Torres
-
Autor del tema
- Fuera de línea
- Moderador
-
Menos
Más
- Mensajes: 8746
- Gracias recibidas: 8379
9 meses 4 días antes #110581
por Josep Torres
Caribe 2025: Limacella aff. subtropicana Izhar, Niazi, Asif, Haqnawaz, H.Bashir Publicado por Josep Torres
Hola.
Una Limacella fotografiada el 5 de marzo pasado, en el espacio Natural de "Ojos Indígenas" (República Dominicana).
Al igual que con las anteriores especies que he presentado, como en lo que se refiere a su identidad ni tan siquiera podía apuntar claramente a un género determinado, opté por el análisis molecular, la secuenciación del gen ITS, apuntó claramente a la:
Limacella aff. subtropicana Izhar, Niazi, Asif, Haqnawaz, H. Bashir & Khalid
Un solo ejemplar brotando entre la hojarasca del suelo:
Detalle del pie con un anillo persistente en el tercio superior:
Las láminas y la base del pie bulbosa:
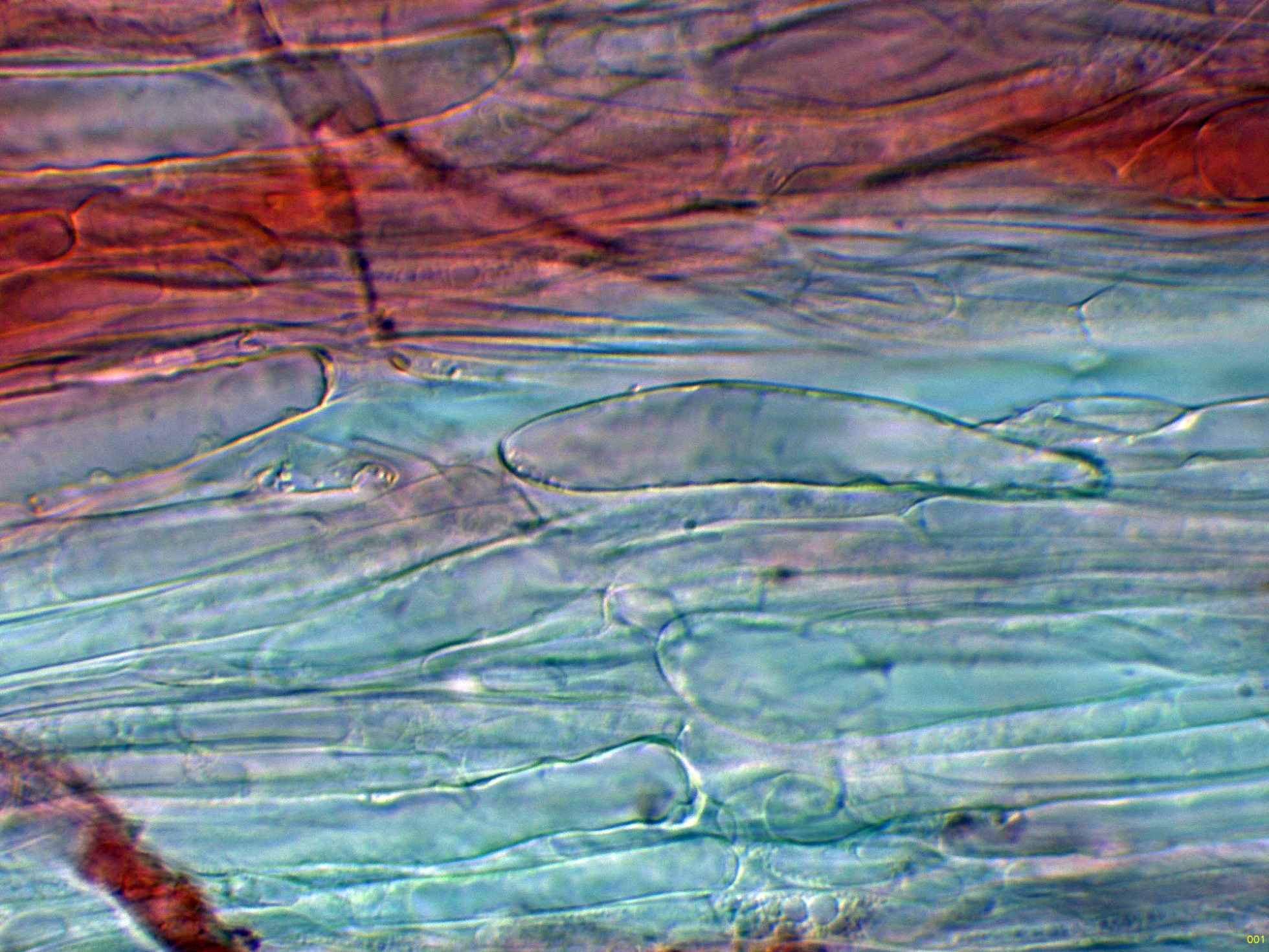
Hifas de la suprapellis en solución de Rojo Congo diluido:
Las hifas de la suprapellis en Reactivo de Melzer:
Hifas de la estipitipellis en solución de Rojo Congo, sin caulocistidios observados:
Arista laminar sin cistidios diferenciados:
La arista laminar en Reactivo de Melzer:
Los basidios de la cara laminar en solución de Rojo Congo:
Las esporas en Reactivo de Melzer, con un comportamiento dextrinoide:
Y por último unas imágenes de las esporas en agua:
Estas esporas obtenidas por esporulación natural y en agua con unas medidas de:
(4.8) 5.1 - 6.3 (6.5) × (4.4) 4.6 - 5.5 (5.8) µm
Q = 1 - 1.2 (1.3) ; N = 40
Me = 5.6 × 5 µm ; Qe = 1.1
Añado una imágen con el árbol filogenético, para su elaboración he utilizado 23 secuencias de las especies más próximas a mi propuesta, entre ellas la secuencia tipo de la Limacella subtropicana:
En el árbol mi especie la "Limacella_JTP_5-3-25", aunque bien alineada dentro del Clado de lo que se podría considerar como Limacella subtropicana, se encuentra un poco alejada de la secuencia del material tipo, y compartiendo espacio con un par de Limacellas sp., de ahí que haya preferido archivar el tema como lo más parecido, es decir Limacella aff. subtropicana.
Como especies más próximas a nivel molecular, tenemos la Limacella furnacea, la Limacella subfurnacea y la Limacella glioderma.
Saludos.
Una Limacella fotografiada el 5 de marzo pasado, en el espacio Natural de "Ojos Indígenas" (República Dominicana).
Al igual que con las anteriores especies que he presentado, como en lo que se refiere a su identidad ni tan siquiera podía apuntar claramente a un género determinado, opté por el análisis molecular, la secuenciación del gen ITS, apuntó claramente a la:
Limacella aff. subtropicana Izhar, Niazi, Asif, Haqnawaz, H. Bashir & Khalid
Un solo ejemplar brotando entre la hojarasca del suelo:
Detalle del pie con un anillo persistente en el tercio superior:
Las láminas y la base del pie bulbosa:
Hifas de la suprapellis en solución de Rojo Congo diluido:
Las hifas de la suprapellis en Reactivo de Melzer:
Hifas de la estipitipellis en solución de Rojo Congo, sin caulocistidios observados:
Arista laminar sin cistidios diferenciados:
La arista laminar en Reactivo de Melzer:
Los basidios de la cara laminar en solución de Rojo Congo:
Las esporas en Reactivo de Melzer, con un comportamiento dextrinoide:
Y por último unas imágenes de las esporas en agua:
Estas esporas obtenidas por esporulación natural y en agua con unas medidas de:
(4.8) 5.1 - 6.3 (6.5) × (4.4) 4.6 - 5.5 (5.8) µm
Q = 1 - 1.2 (1.3) ; N = 40
Me = 5.6 × 5 µm ; Qe = 1.1
Añado una imágen con el árbol filogenético, para su elaboración he utilizado 23 secuencias de las especies más próximas a mi propuesta, entre ellas la secuencia tipo de la Limacella subtropicana:
En el árbol mi especie la "Limacella_JTP_5-3-25", aunque bien alineada dentro del Clado de lo que se podría considerar como Limacella subtropicana, se encuentra un poco alejada de la secuencia del material tipo, y compartiendo espacio con un par de Limacellas sp., de ahí que haya preferido archivar el tema como lo más parecido, es decir Limacella aff. subtropicana.
Como especies más próximas a nivel molecular, tenemos la Limacella furnacea, la Limacella subfurnacea y la Limacella glioderma.
Saludos.
Adjuntos:
Por favor, Identificarse para unirse a la conversación.
- Foro
- Foros sobre Micología de fungipedia
- Microscopía
- Caribe 2025: Limacella aff. subtropicana Izhar, Niazi, Asif, Haqnawaz, H.Bashir
Tiempo de carga de la página: 0.180 segundos



Foro de micología