- Foro
- Foros sobre Micología de fungipedia
- Microscopía
- Scolecofusarium ciliatum (Alb. & Schwein.) L. Lombard, Sand.-Den. & Crous
Scolecofusarium ciliatum (Alb. & Schwein.) L. Lombard, Sand.-Den. & Crous
- Josep Torres
-
Autor del tema
- Fuera de línea
- Moderador
-
Menos
Más
- Mensajes: 8746
- Gracias recibidas: 8379
1 año 5 días antes #110504
por Josep Torres
Scolecofusarium ciliatum (Alb. & Schwein.) L. Lombard, Sand.-Den. & Crous Publicado por Josep Torres
Hola.
Un diminuto ascomiceto recolectado el pasado 6 de abril, brotando sobre la superficie de un tronco del suelo:
Scolecofusarium ciliatum (Alb. & Schwein.) L. Lombard, Sand.-Den. & Crous
Syn: Volutella ciliata
Ascomas poco adheridos al sustrato, y con los esporodoquios con largos pelos:
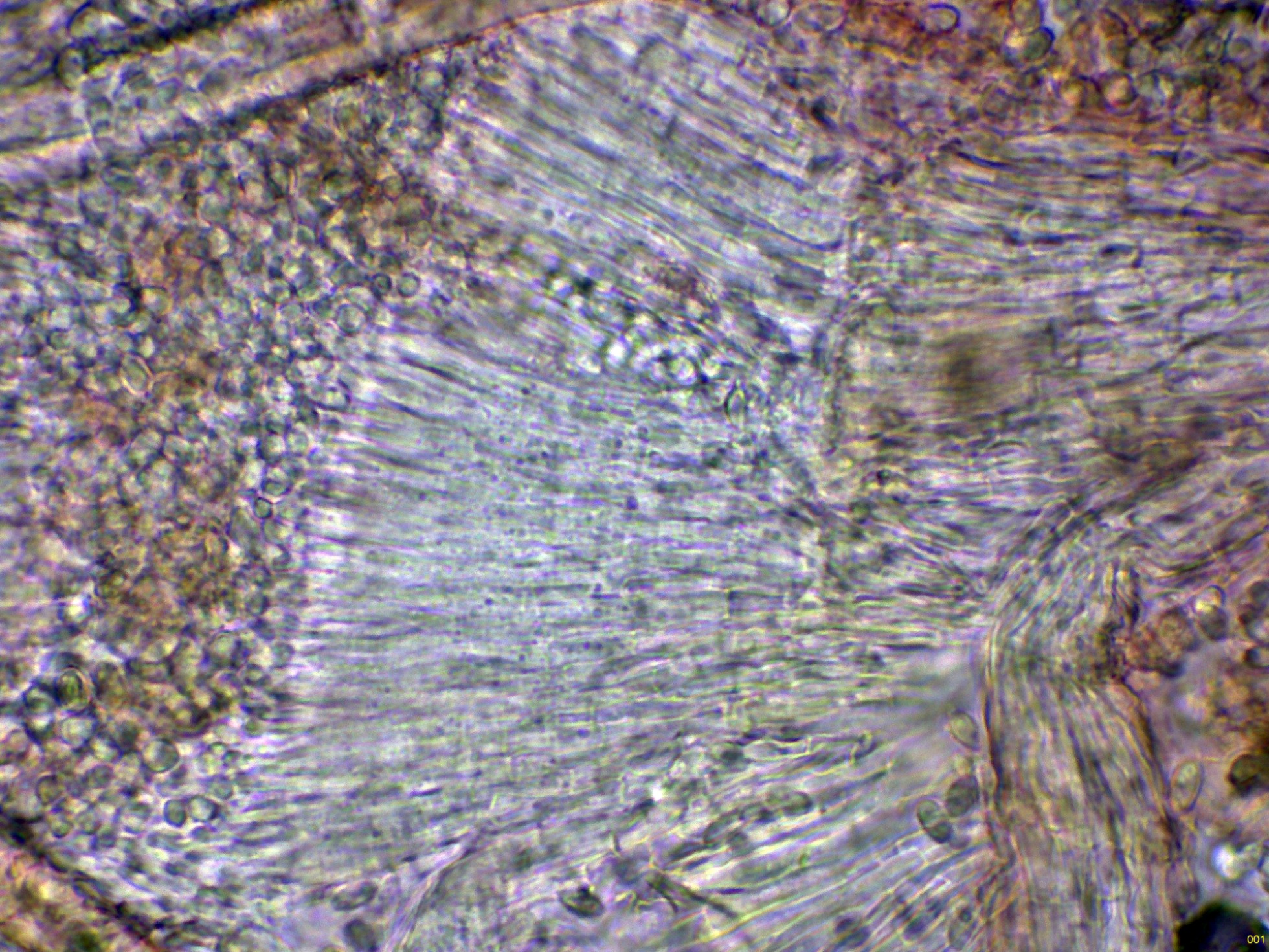
Los ascomas a 20 aumentos:
Unas imágenes ya a 40 aumentos, utilizando el microscopio de sobremesa y con luz indirecta:
Margen de los esporodoquios a 100 aumentos:
La base de los pelos en solución de Rojo Congo:
Base de los pelos en Reactivo de Melzer:
Los pelos en solución de Rojo Congo:
Las hifas conidiógenas en solución de Rojo Congo:
Las hifas conidiógenas en Reactivo de Melzer:
Unas imágenes donde se puede observar la conidiogénesis:
Una ampliación de la conidiogénesis:
Los conidios en agua:
Los conidios en Reactivo de Melzer:
Y por último los conidios en solución de Rojo Congo diluido:
Estos conidios en agua con unas medidas de:
(4.5) 5.1 - 5.7 (6) × (2.5) 2.7 - 3.1 (3.2) µm
Q = (1.6) 1.7 - 2 (2.2) ; N = 40
Me = 5.4 × 2.9 µm ; Qe = 1.9
Estudio contrastado con el trabajo de mi maestro y mejor amigo Enrique Rubio realizado a la especie, dejo el enlace de su trabajo donde aparece como Volutella ciliata:
www.centrodeestudiosmicologicosasturianos.org/?p=29615
Atendiendo al criterio de Index Fungorum a partir de 2021 a la Volutella ciliata la debemos denominar como Scolecofusarium ciliatum.
Saludos.
Un diminuto ascomiceto recolectado el pasado 6 de abril, brotando sobre la superficie de un tronco del suelo:
Scolecofusarium ciliatum (Alb. & Schwein.) L. Lombard, Sand.-Den. & Crous
Syn: Volutella ciliata
Ascomas poco adheridos al sustrato, y con los esporodoquios con largos pelos:
Los ascomas a 20 aumentos:
Unas imágenes ya a 40 aumentos, utilizando el microscopio de sobremesa y con luz indirecta:
Margen de los esporodoquios a 100 aumentos:
La base de los pelos en solución de Rojo Congo:
Base de los pelos en Reactivo de Melzer:
Los pelos en solución de Rojo Congo:
Las hifas conidiógenas en solución de Rojo Congo:
Las hifas conidiógenas en Reactivo de Melzer:
Unas imágenes donde se puede observar la conidiogénesis:
Una ampliación de la conidiogénesis:
Los conidios en agua:
Los conidios en Reactivo de Melzer:
Y por último los conidios en solución de Rojo Congo diluido:
Estos conidios en agua con unas medidas de:
(4.5) 5.1 - 5.7 (6) × (2.5) 2.7 - 3.1 (3.2) µm
Q = (1.6) 1.7 - 2 (2.2) ; N = 40
Me = 5.4 × 2.9 µm ; Qe = 1.9
Estudio contrastado con el trabajo de mi maestro y mejor amigo Enrique Rubio realizado a la especie, dejo el enlace de su trabajo donde aparece como Volutella ciliata:
www.centrodeestudiosmicologicosasturianos.org/?p=29615
Atendiendo al criterio de Index Fungorum a partir de 2021 a la Volutella ciliata la debemos denominar como Scolecofusarium ciliatum.
Saludos.
Adjuntos:
El siguiente usuario dijo gracias: Juan Andrés Román
Por favor, Identificarse para unirse a la conversación.
- Foro
- Foros sobre Micología de fungipedia
- Microscopía
- Scolecofusarium ciliatum (Alb. & Schwein.) L. Lombard, Sand.-Den. & Crous
Tiempo de carga de la página: 0.198 segundos



Foro de micología