Crinipellis tucumanensis Singer. Microscopía.
- Josep Torres
-
Autor del tema
- Fuera de línea
- Moderador
-
Menos
Más
- Mensajes: 8746
- Gracias recibidas: 8379
1 año 2 meses antes - 1 año 2 meses antes #110446
por Josep Torres
Crinipellis tucumanensis Singer. Microscopía. Publicado por Josep Torres
Hola.
Una Crinipellis localizada y recolectada el 8 de febrero pasado en la pequeña Isla de Virgin Gorda (Mar Caribe).
Crinipellis tucumanensis Singer
Un par de ejemplares brotando uno directamente de la madera y otro sobre restos de tallos herbáceos en descomposición del suelo.
Sombrero de apenas 1 cm.
Una ampliación de la superficie del sombrero a 20 aumentos:
Las láminas a 20 aumentos:
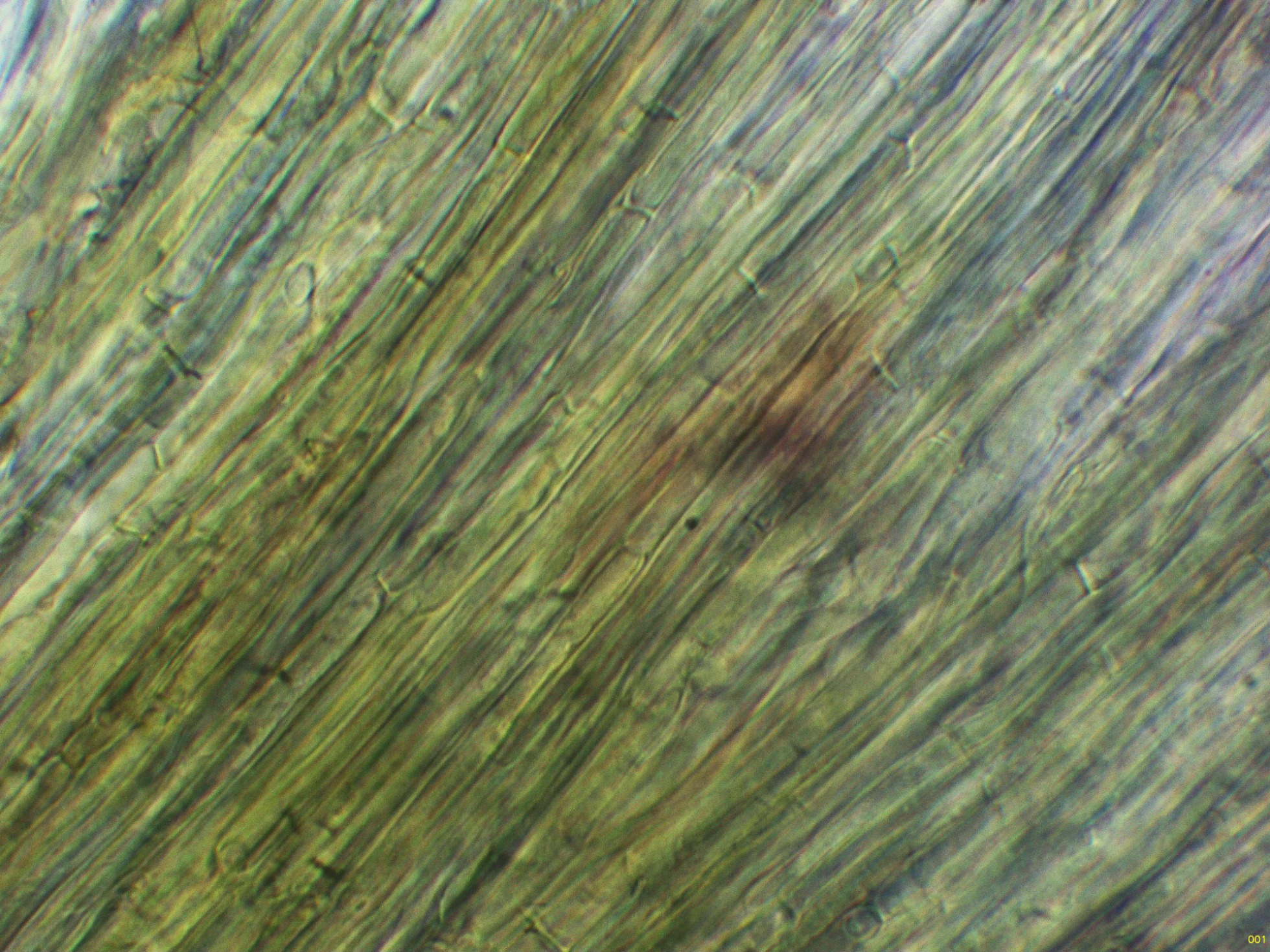
Superficie del pie a 20 aumentos:
Terminaciones de los elementos setiformes del píleo en agua:
Elementos setiformes del píleo en Reactivo de Melzer:
La base de estos elementos con fíbulas a modo de espolón.
Una de estas fíbulas en solución de KOH:
Superficie del estípite a 100 aumentos en solución de Rojo Congo:
Superficie del estípite a 400 aumentos:
Elementos terminales del estípite a 1000 aumentos en solución de Rojo Congo:
Una de las características que definen a la Crinipellis tucumanensis, es el comportamiento de las hifas del estípite al aplicar KOH, estas hifas reaccionan a un color verdoso muy intenso:
Las hifas de la trama laminar en solución de Rojo Congo:
Los queilocistidios, estos queilocistidios con unas medidas de (21.7) 23.6 - 32.7 (39.6) × (5.2) 5.5 - 6.8 (8.6) µm.
Los queilocistidios en reactivo de Melzer:
Pleurocistidios dispersos con unas medidas de (28.5) 28.54 - 32.25 (32.3) × (5.6) 5.62 - 6.59 (6.6) µm.
Los pleurocistidios en Reactivo de Melzer:
Los basidios en solución de Rojo Congo:
Los basidios en Reactivo de Melzer:
Las esporas en Reactivo de Melzer, inamiloides:
Una composición de las esporas libres en solución de Rojo Congo:
Estas esporas libres con unas medidas de:
(7) 7.4 - 9.5 (10.2) × (3.4) 3.5 - 4.3 (4.7) µm
Q = (1.6) 1.8 - 2.5 (2.7) ; N = 32
Me = 8.5 × 4 µm ; Qe = 2.2
Y por último un par de imágenes de las esporas en agua:
Estas esporas obtenidas por esporulación natural y en agua con unas medidas de:
(7.5) 8.3 - 9.4 (9.6) × (3.6) 3.65 - 4.3 (4.6) µm
Q = (1.9) 2 - 2.4 (2.5) ; N = 40
Me = 8.8 × 4 µm ; Qe = 2.2
Observaciones: Estudio contrastado con la información del documento de febrero de 2012 "New species and new records of Crinipellis from tropical and subtropical forests of the east coast of Mexico" que atribuye a la Crinipellis tucumanensis unas medidas para los queilocistidios de (11–)15–36(–38) 3 5–7(–9) µm, unas medidas para los pleurocistidios de (20–)21–36 3 4–8(–9) µm, y unas medidas esporales de 7–10 x 3.5–4.5 (–5) µm. con un cociente Q con una media de Qe = 2.29–2.30.
Las características que definen a la Crinipellis tucumanensis, son la morfología de sus queilocistidios, la morfología y medidas de sus esporas y en especial el comportamiento de las hifas del estípite al aplicar KOH.
Añado una imágen con el dibujo de la microscopía de la Crinipellis tucumanenis extraída del mismo documento:
Al parecer la Crinipellis tucumanensis estaría bien extendida por la zona del Caribe.
Saludos.
Una Crinipellis localizada y recolectada el 8 de febrero pasado en la pequeña Isla de Virgin Gorda (Mar Caribe).
Crinipellis tucumanensis Singer
Un par de ejemplares brotando uno directamente de la madera y otro sobre restos de tallos herbáceos en descomposición del suelo.
Sombrero de apenas 1 cm.
Una ampliación de la superficie del sombrero a 20 aumentos:
Las láminas a 20 aumentos:
Superficie del pie a 20 aumentos:
Terminaciones de los elementos setiformes del píleo en agua:
Elementos setiformes del píleo en Reactivo de Melzer:
La base de estos elementos con fíbulas a modo de espolón.
Una de estas fíbulas en solución de KOH:
Superficie del estípite a 100 aumentos en solución de Rojo Congo:
Superficie del estípite a 400 aumentos:
Elementos terminales del estípite a 1000 aumentos en solución de Rojo Congo:
Una de las características que definen a la Crinipellis tucumanensis, es el comportamiento de las hifas del estípite al aplicar KOH, estas hifas reaccionan a un color verdoso muy intenso:
Las hifas de la trama laminar en solución de Rojo Congo:
Los queilocistidios, estos queilocistidios con unas medidas de (21.7) 23.6 - 32.7 (39.6) × (5.2) 5.5 - 6.8 (8.6) µm.
Los queilocistidios en reactivo de Melzer:
Pleurocistidios dispersos con unas medidas de (28.5) 28.54 - 32.25 (32.3) × (5.6) 5.62 - 6.59 (6.6) µm.
Los pleurocistidios en Reactivo de Melzer:
Los basidios en solución de Rojo Congo:
Los basidios en Reactivo de Melzer:
Las esporas en Reactivo de Melzer, inamiloides:
Una composición de las esporas libres en solución de Rojo Congo:
Estas esporas libres con unas medidas de:
(7) 7.4 - 9.5 (10.2) × (3.4) 3.5 - 4.3 (4.7) µm
Q = (1.6) 1.8 - 2.5 (2.7) ; N = 32
Me = 8.5 × 4 µm ; Qe = 2.2
Y por último un par de imágenes de las esporas en agua:
Estas esporas obtenidas por esporulación natural y en agua con unas medidas de:
(7.5) 8.3 - 9.4 (9.6) × (3.6) 3.65 - 4.3 (4.6) µm
Q = (1.9) 2 - 2.4 (2.5) ; N = 40
Me = 8.8 × 4 µm ; Qe = 2.2
Observaciones: Estudio contrastado con la información del documento de febrero de 2012 "New species and new records of Crinipellis from tropical and subtropical forests of the east coast of Mexico" que atribuye a la Crinipellis tucumanensis unas medidas para los queilocistidios de (11–)15–36(–38) 3 5–7(–9) µm, unas medidas para los pleurocistidios de (20–)21–36 3 4–8(–9) µm, y unas medidas esporales de 7–10 x 3.5–4.5 (–5) µm. con un cociente Q con una media de Qe = 2.29–2.30.
Las características que definen a la Crinipellis tucumanensis, son la morfología de sus queilocistidios, la morfología y medidas de sus esporas y en especial el comportamiento de las hifas del estípite al aplicar KOH.
Añado una imágen con el dibujo de la microscopía de la Crinipellis tucumanenis extraída del mismo documento:
Al parecer la Crinipellis tucumanensis estaría bien extendida por la zona del Caribe.
Saludos.
Adjuntos:
Última Edición: 1 año 2 meses antes por Josep Torres. Razón: Una falta de ortografía
El siguiente usuario dijo gracias: Juan Andrés Román
Por favor, Identificarse para unirse a la conversación.
Tiempo de carga de la página: 0.317 segundos



Foro de micología