- Foro
- Foros sobre Micología de fungipedia
- Microscopía
- Candanchú 2024: Amylocorticium subincarnatum (Peck) Pouzar
Candanchú 2024: Amylocorticium subincarnatum (Peck) Pouzar
- Josep Torres
-
Autor del tema
- Fuera de línea
- Moderador
-
Menos
Más
- Mensajes: 8746
- Gracias recibidas: 8379
1 año 7 meses antes - 1 año 7 meses antes #110123
por Josep Torres
Hola a tod@s.
El pasado 14 de agosto tuve el privilegio de poder asistir a una jornada micológica con salida desde Candanchú, por el Pirineo Francés, invitado por mi amigo Cándido Sos Escudero, para el va mi más sincero agradecimiento.
En la salida tuve el placer de poder conocer en persona a Javier Marcos, además en la salida nos acompañaron Joseba Castillo e Yves Cestac en calidad de guías , y otros tantos como Francisco (Paco) Villalonga, Pablo Chacón con su perrita "Tundra", Miguel Pitarque, Andrés García, Francisco Serrano y Alfonso de Zaragoza del que no se su apellido.
Aunque estuvo lloviendo todo el día, algunas cosillas interesantes cayeron, a todos ellos MUCHAS GRACIAS, por las atenciones recibidas.
El primero un Corticial bajo sequoias, en un punto relativamente cercano a la pequeña localidad francesa de Lurbe-Saint-Christau.
Amylocorticium subincarnatum (Peck) Pouzar
Superficie de la fructificación completamente resupinada a 20 aumentos:
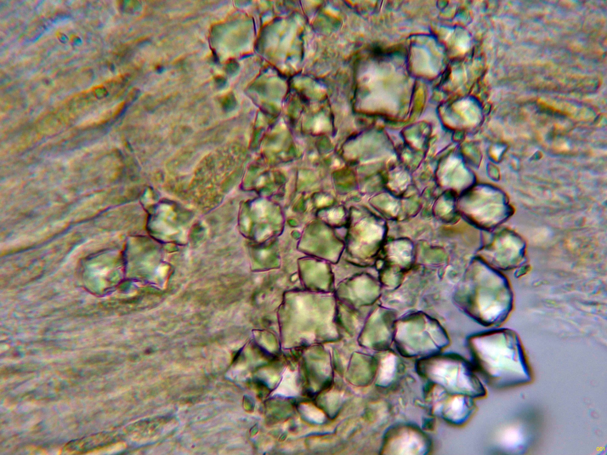
Abundantes cristales en el subhimenio:
Abundantes cistidios hifoideos que en algunos casos llegan a sobresalir por encima del himenio:
Los cistidios hifoideos:
Como que en algunos de estos cistidios me pareció observar un tenue contenido en su interior, intenté el colorearlos con la Sulfovainillina, en este medio se mostraron de un color amarillento claro y uniforme:
Los cistidios hifoideos en agua:
Los basidios en solución de Rojo Congo:
Los basidios en agua:
Los basidios y en la parte baja de la imágen un cistidio que sobresale de la superficie:
Las esporas en Reactivo de Melzer, con una reacción marcadamente amiloide:
Y por último las esporas en agua:
Estas esporas obtenidas por esporulación natural y en agua con unas medidas de:
(4.2) 4.4 - 5.1 (5.5) × (2.3) 2.5 - 2.8 (3) µm
Q = (1.5) 1.6 - 2 (2.2) ; N = 40
Me = 4.8 × 2.6 µm ; Qe = 1.8
Observaciones: Determinación hecha siguiendo las Claves del trabajo de Ryvarden "The Corticiaceae of North Europe" que con esporas de 4.5 a 5.5 µm. de largo nos llevan al Amylocorticium subincarnatum propuesto.
En la descripción de la especie (Vol 2, pag. 87) cita unas medidas esporales para el Amylocorticium subincarnatum de 4.5-5 x 2-2.5 µm., si bien las medidas en anchura de las esporas de mi estudio se encuentran ligeramente por encima, si que coinciden con las medidas del dibujo ilustrado de Velká Niva, que cita unas medidas esporales para el Amylocorticium subincarnatum de 4-5 x 2.25-2.75 µm. ya mucho más acordes con este estudio.
Muy parecida a su congénere, el Amylocorticiun subsulphureum, con esporas más largas según Ryvarden (2021) de 6-8 x 2-2.5 µm.
Saludos a tod@s.
El pasado 14 de agosto tuve el privilegio de poder asistir a una jornada micológica con salida desde Candanchú, por el Pirineo Francés, invitado por mi amigo Cándido Sos Escudero, para el va mi más sincero agradecimiento.
En la salida tuve el placer de poder conocer en persona a Javier Marcos, además en la salida nos acompañaron Joseba Castillo e Yves Cestac en calidad de guías , y otros tantos como Francisco (Paco) Villalonga, Pablo Chacón con su perrita "Tundra", Miguel Pitarque, Andrés García, Francisco Serrano y Alfonso de Zaragoza del que no se su apellido.
Aunque estuvo lloviendo todo el día, algunas cosillas interesantes cayeron, a todos ellos MUCHAS GRACIAS, por las atenciones recibidas.
El primero un Corticial bajo sequoias, en un punto relativamente cercano a la pequeña localidad francesa de Lurbe-Saint-Christau.
Amylocorticium subincarnatum (Peck) Pouzar
Superficie de la fructificación completamente resupinada a 20 aumentos:
Abundantes cristales en el subhimenio:
Abundantes cistidios hifoideos que en algunos casos llegan a sobresalir por encima del himenio:
Los cistidios hifoideos:
Como que en algunos de estos cistidios me pareció observar un tenue contenido en su interior, intenté el colorearlos con la Sulfovainillina, en este medio se mostraron de un color amarillento claro y uniforme:
Los cistidios hifoideos en agua:
Los basidios en solución de Rojo Congo:
Los basidios en agua:
Los basidios y en la parte baja de la imágen un cistidio que sobresale de la superficie:
Las esporas en Reactivo de Melzer, con una reacción marcadamente amiloide:
Y por último las esporas en agua:
Estas esporas obtenidas por esporulación natural y en agua con unas medidas de:
(4.2) 4.4 - 5.1 (5.5) × (2.3) 2.5 - 2.8 (3) µm
Q = (1.5) 1.6 - 2 (2.2) ; N = 40
Me = 4.8 × 2.6 µm ; Qe = 1.8
Observaciones: Determinación hecha siguiendo las Claves del trabajo de Ryvarden "The Corticiaceae of North Europe" que con esporas de 4.5 a 5.5 µm. de largo nos llevan al Amylocorticium subincarnatum propuesto.
En la descripción de la especie (Vol 2, pag. 87) cita unas medidas esporales para el Amylocorticium subincarnatum de 4.5-5 x 2-2.5 µm., si bien las medidas en anchura de las esporas de mi estudio se encuentran ligeramente por encima, si que coinciden con las medidas del dibujo ilustrado de Velká Niva, que cita unas medidas esporales para el Amylocorticium subincarnatum de 4-5 x 2.25-2.75 µm. ya mucho más acordes con este estudio.
Muy parecida a su congénere, el Amylocorticiun subsulphureum, con esporas más largas según Ryvarden (2021) de 6-8 x 2-2.5 µm.
Saludos a tod@s.
Adjuntos:
Última Edición: 1 año 7 meses antes por Josep Torres. Razón: Añadir información
Por favor, Identificarse para unirse a la conversación.
- Foro
- Foros sobre Micología de fungipedia
- Microscopía
- Candanchú 2024: Amylocorticium subincarnatum (Peck) Pouzar
Tiempo de carga de la página: 0.046 segundos



Foro de micología