Un resto del pasado 14 de abril. Microscopía.
- Josep Torres
-
Autor del tema
- Fuera de línea
- Moderador
-
Menos
Más
- Mensajes: 8746
- Gracias recibidas: 8379
1 año 10 meses antes #109998
por Josep Torres
Un resto del pasado 14 de abril. Microscopía. Publicado por Josep Torres
Hola a tod@s.
Muy retrasado voy en cuanto a presentación de temas, pongo un resto de lo que dio de sí la recogida de muestras del domingo 14 de abril, todas ellas de especies que ya había estudiado anteriormente.
Aunque un poco reseca, sobre la corteza de un tronco tumbado del suelo, vistosa como siempre tenemos la Terana coerulea.
Las hifas subiculares en agua, fuertemente pigmentadas de azul.
Los basidios en agua, muy hundidos en el himenio.
Las esporas en agua.
Estas esporas obtenidas por esporulación natural y en agua con unas medidas de:
(7.1) 8.2 - 10.2 (11.6) × (5.3) 5.9 - 7.7 (9.1) µm
Q = (1.1) 1.3 - 1.6 (1.8) ; N = 30
Me = 9.3 × 6.6 µm ; Qe = 1.4
En el mismo tronco que la anterior y compartiendo espacio con la Terana caerulea, tenemos una Capronia, por sus características, las Claves del género me conducen a la Capronia fusispora.
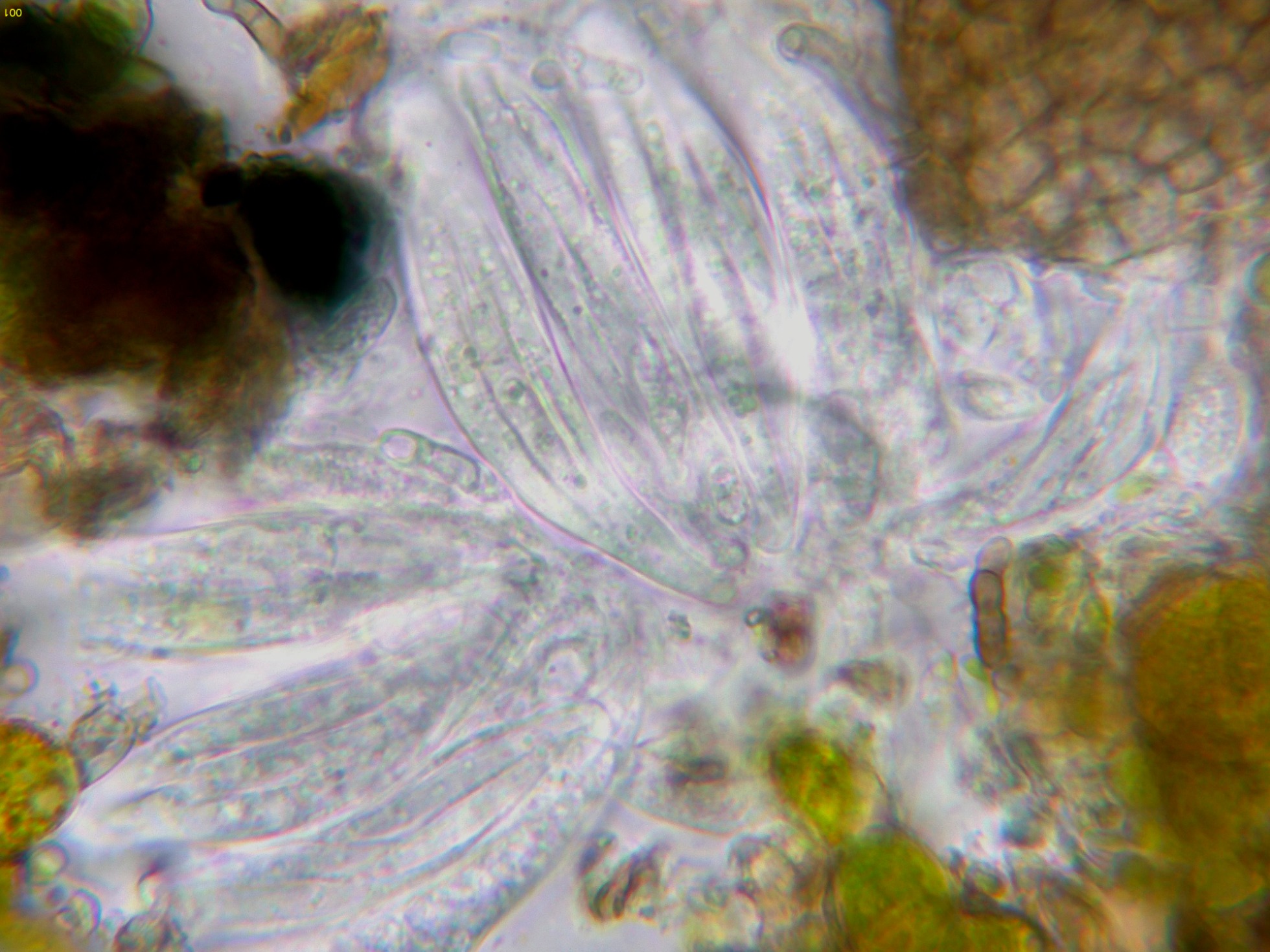
Los pelos en agua.
Las hifas del peridio en agua.
Los ascos en agua.
Y una composición de las esporas libres en agua.
Estas esporas libres con unas medidas de:
(12.9) 14.1 - 17.5 (18.7) × (3.7) 3.8 - 4.6 (4.8) µm
Q = (3.1) 3.4 - 4.2 (4.6) ; N = 22
Me = 15.8 × 4.2 µm ; Qe = 3.8
Un Phellinus completamente resupinado, muy probablemente Phellinus ferruginosus.
Superficie poroide que reacciona a negro al aplicar KOH.
Los poros a 20 aumentos.
Las hifas subiculares en Rojo Congo diluido.
Las hifas subiculares en KOH, en este medio oscurecen a marrón.
Las setas himeniales en Rojo Congo diluido.
Las setas himeniales en solución de KOH.
Basidios muy hundidos en el himenio y de difícil observación.
Al estar los basidiomas muy resecos, no pude obtener esporas por esporulación natural y me tuve que conformar con las esporas libres en las muestras.
Una ampliación de estas esporas libres.
Estas esporas libres en Rojo Congo diluido con unas medidas de:
(4.3) 4.7 - 5.4 (5.7) × (2.9) 3.2 - 3.9 (4.2) µm
Q = (1.2) 1.25 - 1.5 (1.6) ; N = 24
Me = 5 × 3.6 µm ; Qe = 1.4
Un Lachnum, al igual que los anteriores completamente reseco, aunque al hidratarlo ya mejoró notablemente su aspecto. Por los datos obtenidos apunta claramente a Lachnum fasciculare.
Los apotecios resecos a 20 aumentos.
Y ya hidratados a 40 aumentos.
Los pelos marginales en agua.
Las hifas del excípulo medular.
Las hifas del excípulo ectal en agua.
Ascos y paráfisis en Rojo Congo diluido. Los ascos con unas medidas de (40.9) 43.8 - 47.2 (50.2) × (3.8) 4.3 - 4.8 (6) µm.
Base de los ascos en agua.
Y una composición de las esporas libres observaadas.
Estas esporas libres con unas medidas de:
(4.9) 5.6 - 8 (8.7) × (1.6) 1.8 - 2.4 (2.5) µm
Q = (2.1) 2.7 - 3.7 (5.2) ; N = 28
Me = 6.7 × 2.1 µm ; Qe = 3.2
Y por último y ya sin microscopía, unas imágenes de una que ya llevaba cierto tiempo sin ver, muy fotogénica, la Cytospora chrysosperma.
Unas ampliaciones a 20 aumentos.
Saludos a tod@s.
Muy retrasado voy en cuanto a presentación de temas, pongo un resto de lo que dio de sí la recogida de muestras del domingo 14 de abril, todas ellas de especies que ya había estudiado anteriormente.
Aunque un poco reseca, sobre la corteza de un tronco tumbado del suelo, vistosa como siempre tenemos la Terana coerulea.
Las hifas subiculares en agua, fuertemente pigmentadas de azul.
Los basidios en agua, muy hundidos en el himenio.
Las esporas en agua.
Estas esporas obtenidas por esporulación natural y en agua con unas medidas de:
(7.1) 8.2 - 10.2 (11.6) × (5.3) 5.9 - 7.7 (9.1) µm
Q = (1.1) 1.3 - 1.6 (1.8) ; N = 30
Me = 9.3 × 6.6 µm ; Qe = 1.4
En el mismo tronco que la anterior y compartiendo espacio con la Terana caerulea, tenemos una Capronia, por sus características, las Claves del género me conducen a la Capronia fusispora.
Los pelos en agua.
Las hifas del peridio en agua.
Los ascos en agua.
Y una composición de las esporas libres en agua.
Estas esporas libres con unas medidas de:
(12.9) 14.1 - 17.5 (18.7) × (3.7) 3.8 - 4.6 (4.8) µm
Q = (3.1) 3.4 - 4.2 (4.6) ; N = 22
Me = 15.8 × 4.2 µm ; Qe = 3.8
Un Phellinus completamente resupinado, muy probablemente Phellinus ferruginosus.
Superficie poroide que reacciona a negro al aplicar KOH.
Los poros a 20 aumentos.
Las hifas subiculares en Rojo Congo diluido.
Las hifas subiculares en KOH, en este medio oscurecen a marrón.
Las setas himeniales en Rojo Congo diluido.
Las setas himeniales en solución de KOH.
Basidios muy hundidos en el himenio y de difícil observación.
Al estar los basidiomas muy resecos, no pude obtener esporas por esporulación natural y me tuve que conformar con las esporas libres en las muestras.
Una ampliación de estas esporas libres.
Estas esporas libres en Rojo Congo diluido con unas medidas de:
(4.3) 4.7 - 5.4 (5.7) × (2.9) 3.2 - 3.9 (4.2) µm
Q = (1.2) 1.25 - 1.5 (1.6) ; N = 24
Me = 5 × 3.6 µm ; Qe = 1.4
Un Lachnum, al igual que los anteriores completamente reseco, aunque al hidratarlo ya mejoró notablemente su aspecto. Por los datos obtenidos apunta claramente a Lachnum fasciculare.
Los apotecios resecos a 20 aumentos.
Y ya hidratados a 40 aumentos.
Los pelos marginales en agua.
Las hifas del excípulo medular.
Las hifas del excípulo ectal en agua.
Ascos y paráfisis en Rojo Congo diluido. Los ascos con unas medidas de (40.9) 43.8 - 47.2 (50.2) × (3.8) 4.3 - 4.8 (6) µm.
Base de los ascos en agua.
Y una composición de las esporas libres observaadas.
Estas esporas libres con unas medidas de:
(4.9) 5.6 - 8 (8.7) × (1.6) 1.8 - 2.4 (2.5) µm
Q = (2.1) 2.7 - 3.7 (5.2) ; N = 28
Me = 6.7 × 2.1 µm ; Qe = 3.2
Y por último y ya sin microscopía, unas imágenes de una que ya llevaba cierto tiempo sin ver, muy fotogénica, la Cytospora chrysosperma.
Unas ampliaciones a 20 aumentos.
Saludos a tod@s.
Adjuntos:
El siguiente usuario dijo gracias: Juan Andrés Román
Por favor, Identificarse para unirse a la conversación.
- Juan Andrés Román
-
- Fuera de línea
- Spammer
-
Menos
Más
- Mensajes: 2558
- Gracias recibidas: 2756
1 año 9 meses antes #110006
por Juan Andrés Román
Respuesta de Juan Andrés Román sobre el tema Un resto del pasado 14 de abril. Microscopía.
El siguiente usuario dijo gracias: Josep Torres
Por favor, Identificarse para unirse a la conversación.
Tiempo de carga de la página: 0.337 segundos



Foro de micología