Un resto del domingo 5 de mayo. Microscopía.
- Josep Torres
-
Autor del tema
- Fuera de línea
- Moderador
-
Menos
Más
- Mensajes: 8746
- Gracias recibidas: 8379
1 año 10 meses antes #109968
por Josep Torres
Un resto del domingo 5 de mayo. Microscopía. Publicado por Josep Torres
Hola a tod@s.
Muy retrasado voy en lo que respecta a presentar temas, dejo aquí un resto pendiente del domingo 5 de mayo.
Una que se deja ver todos los años en los pinares en primavera, la Sarcosphaera coronaria.
El excípulo a 400 aumentos en agua.
Ascos en agua a 400 aumentos.
El himenio a 400 aumentos en Reactivo de Melzer, con reacción amiloide.
Asco en agua a 1000 aumentos.
Ascos en Reactivo de Melzer.
Las paráfisis en agua.
Y un par de esporas con sus medidas.
Un Tulostoma bastante común, el Tulostoma brumale.
Detalle del peristoma con el borde oscuro.
Un par de imágenes del capilicio.
Y las esporas, ni me molesté en medirlas.
Un Mixomiceto, segunda vez que me lo encuentro, la Cribraria vulgaris.
Un par de imágenes a 40 aumentos.
Membrana a 400 aumentos.
Mallas en forma de red a 1000 aumentos, típico de Cribraria.
Una de las características que definen a la Cribraria vulgaris, son sus esporas que colapsan en forma de estrella.
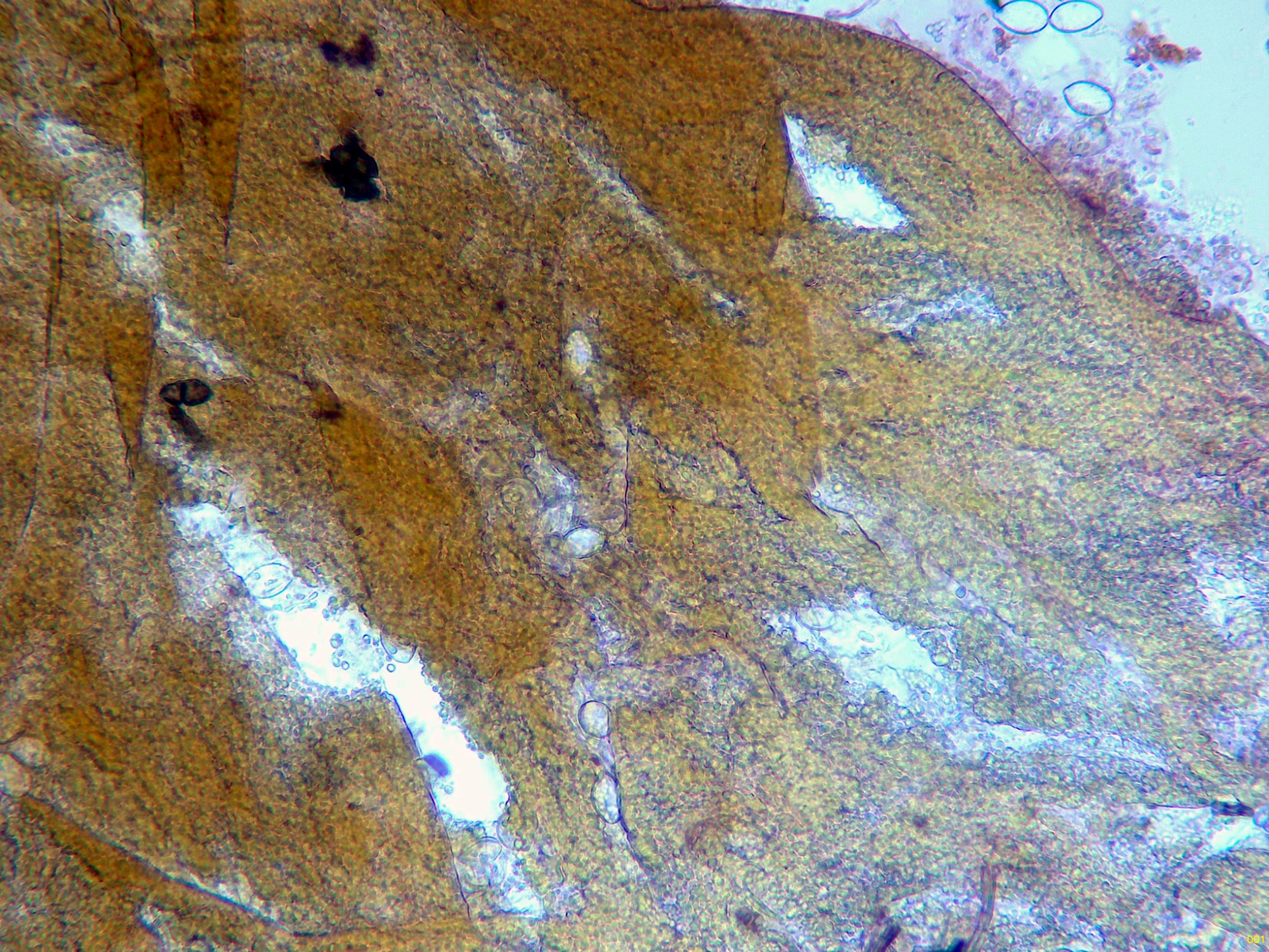
Y para terminar un líquen, como la anterior, es el segundo estudio que realizo a la especie, la Physcia aipolia.
El ascomiceto simbionte a 40 aumentos.
Algas a 1000 aumentos.
Himenio en Reactivo de Melzer a 400 aumentos.
Asco en agua.
Ascos en Reactivo de Melzer.
Ascos en KOH.
Las paráfisis en KOH.
Las esporas en agua.
Estas esporas obtenidas por esporulación natural ye en agua con unas medidas de:
(19.1) 19.7 - 21.8 (22.8) × (8.5) 9.3 - 10 (10.5) µm
Q = 2 - 2.3 (2.4) ; N = 30
Me = 20.7 × 9.6 µm ; Qe = 2.2
Saludos a tod@s.
Muy retrasado voy en lo que respecta a presentar temas, dejo aquí un resto pendiente del domingo 5 de mayo.
Una que se deja ver todos los años en los pinares en primavera, la Sarcosphaera coronaria.
El excípulo a 400 aumentos en agua.
Ascos en agua a 400 aumentos.
El himenio a 400 aumentos en Reactivo de Melzer, con reacción amiloide.
Asco en agua a 1000 aumentos.
Ascos en Reactivo de Melzer.
Las paráfisis en agua.
Y un par de esporas con sus medidas.
Un Tulostoma bastante común, el Tulostoma brumale.
Detalle del peristoma con el borde oscuro.
Un par de imágenes del capilicio.
Y las esporas, ni me molesté en medirlas.
Un Mixomiceto, segunda vez que me lo encuentro, la Cribraria vulgaris.
Un par de imágenes a 40 aumentos.
Membrana a 400 aumentos.
Mallas en forma de red a 1000 aumentos, típico de Cribraria.
Una de las características que definen a la Cribraria vulgaris, son sus esporas que colapsan en forma de estrella.
Y para terminar un líquen, como la anterior, es el segundo estudio que realizo a la especie, la Physcia aipolia.
El ascomiceto simbionte a 40 aumentos.
Algas a 1000 aumentos.
Himenio en Reactivo de Melzer a 400 aumentos.
Asco en agua.
Ascos en Reactivo de Melzer.
Ascos en KOH.
Las paráfisis en KOH.
Las esporas en agua.
Estas esporas obtenidas por esporulación natural ye en agua con unas medidas de:
(19.1) 19.7 - 21.8 (22.8) × (8.5) 9.3 - 10 (10.5) µm
Q = 2 - 2.3 (2.4) ; N = 30
Me = 20.7 × 9.6 µm ; Qe = 2.2
Saludos a tod@s.
Adjuntos:
El siguiente usuario dijo gracias: Juan Andrés Román
Por favor, Identificarse para unirse a la conversación.
- Juan Andrés Román
-
- Fuera de línea
- Spammer
-
Menos
Más
- Mensajes: 2558
- Gracias recibidas: 2756
1 año 10 meses antes #109985
por Juan Andrés Román
Respuesta de Juan Andrés Román sobre el tema Un resto del domingo 5 de mayo. Microscopía.
Buena tacada Josep..............................Saludos.
El siguiente usuario dijo gracias: Josep Torres
Por favor, Identificarse para unirse a la conversación.
Tiempo de carga de la página: 0.298 segundos



Foro de micología