- Foro
- Foros sobre Micología de fungipedia
- Microscopía
- Opegrapha varia = Alyxoria varia (Pers.) Ertz & Tehler. Microscopía.
Opegrapha varia = Alyxoria varia (Pers.) Ertz & Tehler. Microscopía.
- Josep Torres
-
Autor del tema
- Fuera de línea
- Moderador
-
Menos
Más
- Mensajes: 8746
- Gracias recibidas: 8379
2 años 2 semanas antes - 2 años 2 semanas antes #109907
por Josep Torres
Hola a tod@s.
Un liquen fotografiado el 17 de marzo pasado, en una zona de pinos que 3 años atrás fue víctima de un devastador incendio, a 37 Km. en línea recta de la costa del mar Mediterráneo, en un punto cercano a la pequeña localidad de Bellprat (Barcelona) a 621 msnm.
Agradecer a Marta González García y a Javier Ángel Etayo Salazar su ayuda en la identificación de la especie.
Alyxoria varia (Pers.) Ertz & Tehler
El liquen apareciendo sobre la corteza de un tronco de pino quemado del suelo.
Una ampliación de su superficie a 20 aumentos.
La misma superficie a 40 aumentos.
Sección de los apotecios a 100 aumentos.
La sección de los apotecios con ya luz directa y a 400 aumentos, donde se puede apreciar su borde carbonoso, este detalle lo separa de su posible confusión, la Arthonia reniformis, que carece de este borde carbonoso.
Un par de imágenes del alga fotobionte (Trentepohlia) con carotenos naranjas.
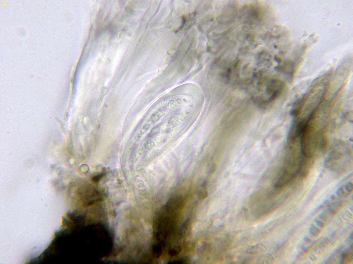
Los ascos en agua a 400 aumentos.
Asco en agua a 1000 aumentos.
Los ascos en solución de Rojo Congo diluido.
El himenio en reactivo de Melzer, sin ninguna aparente reacción destacable.
El himenio en solución de KOH, al igual que con el Melzer sin ninguna reacción.
Sin embargo si aplicamos Lugol, previo tratamiento por espacio de 6 horas con KOH, el himenio adquiere un color rojizo, característica bastante común dentro de los Arthoniomycetes.
Himenio con KOH + Lugol.
Paráfisis filiformes, ramificadas con una masa amorfa oscura en el ápice, como la mayoría de los líquenes.
Las esporas libres en agua.
Y una ampliación de estas esporas en solución de Rojo Congo.
Ascosporas fusiformes, mayoritariamente con 5 septos (según bibliografía de 4 a 6) con constreñimiento en los mismos, y con una vaina mucilaginosa muy regular en toda su superficie, con unas medidas de las esporas libres sin contar esta vaina de:
(20.8) 21.1 - 24.5 (27.4) × (5) 5.4 - 6.4 (6.6) µm
Q = (3.4) 3.5 - 4.3 (4.4) ; N = 21
Me = 22.9 × 5.9 µm ; Qe = 3.9
Saludos a tod@s.
Un liquen fotografiado el 17 de marzo pasado, en una zona de pinos que 3 años atrás fue víctima de un devastador incendio, a 37 Km. en línea recta de la costa del mar Mediterráneo, en un punto cercano a la pequeña localidad de Bellprat (Barcelona) a 621 msnm.
Agradecer a Marta González García y a Javier Ángel Etayo Salazar su ayuda en la identificación de la especie.
Alyxoria varia (Pers.) Ertz & Tehler
El liquen apareciendo sobre la corteza de un tronco de pino quemado del suelo.
Una ampliación de su superficie a 20 aumentos.
La misma superficie a 40 aumentos.
Sección de los apotecios a 100 aumentos.
La sección de los apotecios con ya luz directa y a 400 aumentos, donde se puede apreciar su borde carbonoso, este detalle lo separa de su posible confusión, la Arthonia reniformis, que carece de este borde carbonoso.
Un par de imágenes del alga fotobionte (Trentepohlia) con carotenos naranjas.
Los ascos en agua a 400 aumentos.
Asco en agua a 1000 aumentos.
Los ascos en solución de Rojo Congo diluido.
El himenio en reactivo de Melzer, sin ninguna aparente reacción destacable.
El himenio en solución de KOH, al igual que con el Melzer sin ninguna reacción.
Sin embargo si aplicamos Lugol, previo tratamiento por espacio de 6 horas con KOH, el himenio adquiere un color rojizo, característica bastante común dentro de los Arthoniomycetes.
Himenio con KOH + Lugol.
Paráfisis filiformes, ramificadas con una masa amorfa oscura en el ápice, como la mayoría de los líquenes.
Las esporas libres en agua.
Y una ampliación de estas esporas en solución de Rojo Congo.
Ascosporas fusiformes, mayoritariamente con 5 septos (según bibliografía de 4 a 6) con constreñimiento en los mismos, y con una vaina mucilaginosa muy regular en toda su superficie, con unas medidas de las esporas libres sin contar esta vaina de:
(20.8) 21.1 - 24.5 (27.4) × (5) 5.4 - 6.4 (6.6) µm
Q = (3.4) 3.5 - 4.3 (4.4) ; N = 21
Me = 22.9 × 5.9 µm ; Qe = 3.9
Saludos a tod@s.
Adjuntos:
Última Edición: 2 años 2 semanas antes por Josep Torres. Razón: Editar un salto de línea
El siguiente usuario dijo gracias: Juan Andrés Román, Juan
Por favor, Identificarse para unirse a la conversación.
- Juan
-
- Fuera de línea
- Moderador
-
Menos
Más
- Mensajes: 553
- Gracias recibidas: 608
2 años 1 semana antes #109915
por Juan
Respuesta de Juan sobre el tema Opegrapha varia = Alyxoria varia (Pers.) Ertz & Tehler. Microscopía.
Muy buena las tomas de los apotecios aumentados y de las esporas
El siguiente usuario dijo gracias: Josep Torres
Por favor, Identificarse para unirse a la conversación.
- Foro
- Foros sobre Micología de fungipedia
- Microscopía
- Opegrapha varia = Alyxoria varia (Pers.) Ertz & Tehler. Microscopía.
Tiempo de carga de la página: 0.205 segundos



Foro de micología