- Foro
- Foros sobre Micología de fungipedia
- Microscopía
- En agradecimiento a A. Couceiro: (8) Peziza michelii = Paragalactinia michelii
En agradecimiento a A. Couceiro: (8) Peziza michelii = Paragalactinia michelii
- Josep Torres
-
Autor del tema
- Fuera de línea
- Moderador
-
Menos
Más
- Mensajes: 8746
- Gracias recibidas: 8379
2 años 4 meses antes #109611
por Josep Torres
En agradecimiento a A. Couceiro: (8) Peziza michelii = Paragalactinia michelii Publicado por Josep Torres
Hola a tod@s.
Un pezizal más obsequio de Antonio Couceiro.
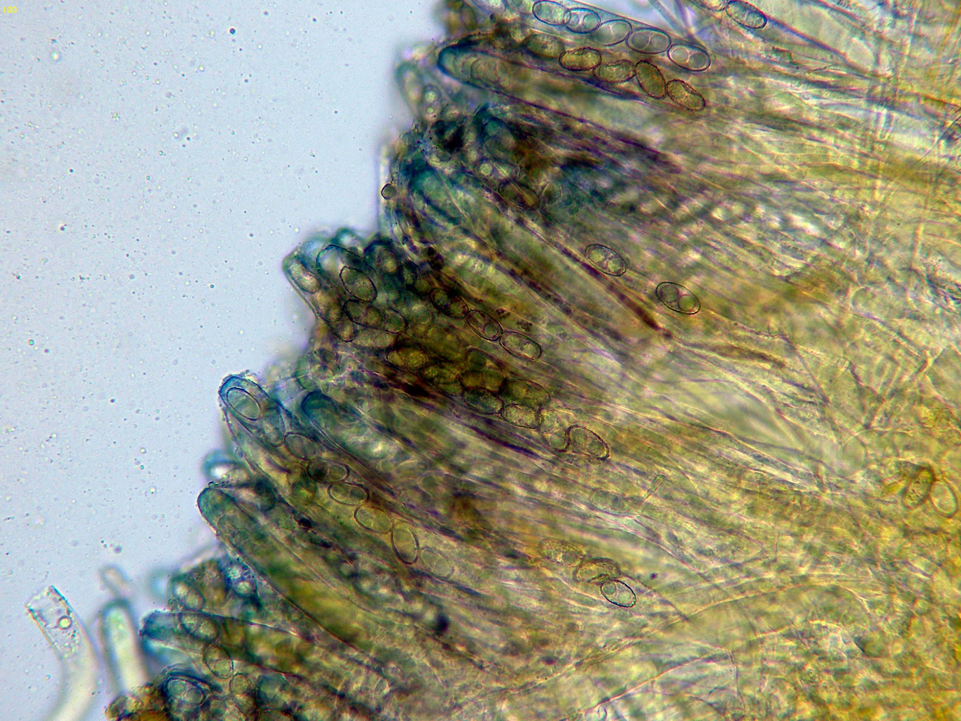
Paragalactinia michelii (Boud.) Van Vooren
Excípulo medular en agua a 400 aumentos.
Excípulo externo en agua a 400 aumentos.
Los ascos en agua a 400 aumentos.
Los ascos en Rojo Congo a 600 aumentos.
Ascos en agua a 1000 aumentos.
Ascos en Reactivo de Melzer a 400 aumentos, con reacción amiloide.
Ascos en Reactivo de Melzer a 1000 aumentos.
Las paráfisis en Rojo Congo a 600 aumentos.
Las paráfisis en agua.
Las paráfisis en Reactivo de Melzer.
Las esporas obtenidas por esporulación natural y en agua.
Y por último las esporas en solución de Azul de Lactofenol, para destacar la ornamentación.
Las esporas obtenidas por esporulación natural y en agua con unas medias de:
(14.4) 15.7 - 17.5 (17.8) × (7.9) 8.3 - 9.4 (10) µm
Q = (1.6) 1.7 - 2 (2.1) ; N = 40
Me = 16.6 × 8.9 µm ; Qe = 1.9
Estudio contrastado con el trabajo del maestro Enrique Rubio, con el que coincide a la perfección.
www.centrodeestudiosmicologicosasturianos.org/?p=33065
Saludos a tod@s.
Un pezizal más obsequio de Antonio Couceiro.
Paragalactinia michelii (Boud.) Van Vooren
Excípulo medular en agua a 400 aumentos.
Excípulo externo en agua a 400 aumentos.
Los ascos en agua a 400 aumentos.
Los ascos en Rojo Congo a 600 aumentos.
Ascos en agua a 1000 aumentos.
Ascos en Reactivo de Melzer a 400 aumentos, con reacción amiloide.
Ascos en Reactivo de Melzer a 1000 aumentos.
Las paráfisis en Rojo Congo a 600 aumentos.
Las paráfisis en agua.
Las paráfisis en Reactivo de Melzer.
Las esporas obtenidas por esporulación natural y en agua.
Y por último las esporas en solución de Azul de Lactofenol, para destacar la ornamentación.
Las esporas obtenidas por esporulación natural y en agua con unas medias de:
(14.4) 15.7 - 17.5 (17.8) × (7.9) 8.3 - 9.4 (10) µm
Q = (1.6) 1.7 - 2 (2.1) ; N = 40
Me = 16.6 × 8.9 µm ; Qe = 1.9
Estudio contrastado con el trabajo del maestro Enrique Rubio, con el que coincide a la perfección.
www.centrodeestudiosmicologicosasturianos.org/?p=33065
Saludos a tod@s.
Adjuntos:
El siguiente usuario dijo gracias: Juan Andrés Román, Juan
Por favor, Identificarse para unirse a la conversación.
- Juan Andrés Román
-
- Fuera de línea
- Spammer
-
Menos
Más
- Mensajes: 2558
- Gracias recibidas: 2756
2 años 4 meses antes #109627
por Juan Andrés Román
Respuesta de Juan Andrés Román sobre el tema En agradecimiento a A. Couceiro: (8) Peziza michelii = Paragalactinia michelii
El siguiente usuario dijo gracias: Josep Torres, Juan
Por favor, Identificarse para unirse a la conversación.
- Juan
-
- Fuera de línea
- Moderador
-
Menos
Más
- Mensajes: 553
- Gracias recibidas: 608
2 años 1 mes antes #109850
por Juan
Respuesta de Juan sobre el tema En agradecimiento a A. Couceiro: (8) Peziza michelii = Paragalactinia michelii
Muy buenas capturas las del micro Josep como siempre
El siguiente usuario dijo gracias: Josep Torres
Por favor, Identificarse para unirse a la conversación.
- Foro
- Foros sobre Micología de fungipedia
- Microscopía
- En agradecimiento a A. Couceiro: (8) Peziza michelii = Paragalactinia michelii
Tiempo de carga de la página: 0.158 segundos



Foro de micología