- Foro
- Foros sobre Micología de fungipedia
- Microscopía
- Mycena olivaceomarginata (Massee) Massee. Microscopía.
Mycena olivaceomarginata (Massee) Massee. Microscopía.
- Josep Torres
-
Autor del tema
- Fuera de línea
- Moderador
-
Menos
Más
- Mensajes: 8746
- Gracias recibidas: 8379
3 años 2 meses antes #108554
por Josep Torres
Hola a tod@s.
Una Mycena aparentemente brotando del suelo, del pasado día 1 de Enero, en soto fluvial en una zona donde predominaban los robles y las encinas.
Agradecer a Luís Abadía (Koldobika), su ayuda en la determinación de la especie.
Mycena olivaceomarginata (Massee) Massee
Sombrero de poco más de 1 cm., convexo, de color blanquecino con el centro de color pardo, láminas gruesas, adnatas, ventrudas, bastante anchas y con abundantes lamélulas intercaladas.
Pie muy largo, cilíndrico, liso, sin ensanchamientos en la base, concoloro con el sombrero con tenues tonos pardos en el centro quizás provocados por la presión al arrancar el ejemplar.
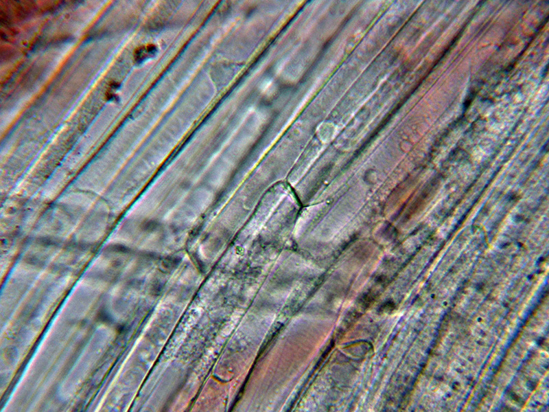
Suprapellis con una capa de hifas globosas inmersas en una sustancia amorfa con muy numerosas digitaciones, algunas de ellas ramificadas, también pude observar algunas hifas vesiculosas con digitaciones.
Capa corticial del estípite con numerosas digitaciones cortas, sin caulocistidios claramente observados
Hifas del estípite.
Queilocistidios muy abundantes con una base ancha y un largo cuello sinuoso, con pigmento en su interior. alguno de estos queilocistidios ramificado
Los basidios observados mayoritariamente tetraspóricos, aunque pude observar alguno de bispórico.
Imagen de un basidio bispórico.
Esporas muy alargadas, en forma de pepita, de pared fina, con contenido granuloso en su interior y unas medidas en agua de:
(10) 10.6 - 12.7 (14.1) × (4.6) 4.8 - 5.6 (5.9) µm
Q = (2) 2.1 - 2.37 (2.4) ; N = 30
Me = 11.6 × 5.1 µm ; Qe = 2.3
Observaciones: Aunque a pie de campo no observé la arista de sus láminas coloreada, este detalle según Aronsen en el caso de la Mycena oliveceomarginata puede no ser evidente y hasta incluso inapreciable, por el dato del pigmento intracelular en los queilocistidios la sitúan dentro de las Rubromarginatae, y aunque las medidas de las esporas estarían por encima de las indicadas por Aronsen de 9.5-11.5 x 4.5-6.5 µm., esta diferencia en la longitud de algunas de mis esporas podría ser debida a que estas procederían de basidios bispóricos, además todo el resto de parámetros coinciden perfectamente con el trabajo del mismo autor.
No obstante el mismo A. Aronsen en las Claves de Funga Nordica indica para la Mycena olivaceomarginata unas medidas esporales de (8-)10-13(-14) x 5-7 μm, en este caso completamente concordantes con las de mi estudio.
Muy parecida a su hermana la Mycena citrinomarginata, esta última con un color más pálido y amarillento, sin tonos pardos.
Saludos a tod@s.
Una Mycena aparentemente brotando del suelo, del pasado día 1 de Enero, en soto fluvial en una zona donde predominaban los robles y las encinas.
Agradecer a Luís Abadía (Koldobika), su ayuda en la determinación de la especie.
Mycena olivaceomarginata (Massee) Massee
Sombrero de poco más de 1 cm., convexo, de color blanquecino con el centro de color pardo, láminas gruesas, adnatas, ventrudas, bastante anchas y con abundantes lamélulas intercaladas.
Pie muy largo, cilíndrico, liso, sin ensanchamientos en la base, concoloro con el sombrero con tenues tonos pardos en el centro quizás provocados por la presión al arrancar el ejemplar.
Suprapellis con una capa de hifas globosas inmersas en una sustancia amorfa con muy numerosas digitaciones, algunas de ellas ramificadas, también pude observar algunas hifas vesiculosas con digitaciones.
Capa corticial del estípite con numerosas digitaciones cortas, sin caulocistidios claramente observados
Hifas del estípite.
Queilocistidios muy abundantes con una base ancha y un largo cuello sinuoso, con pigmento en su interior. alguno de estos queilocistidios ramificado
Los basidios observados mayoritariamente tetraspóricos, aunque pude observar alguno de bispórico.
Imagen de un basidio bispórico.
Esporas muy alargadas, en forma de pepita, de pared fina, con contenido granuloso en su interior y unas medidas en agua de:
(10) 10.6 - 12.7 (14.1) × (4.6) 4.8 - 5.6 (5.9) µm
Q = (2) 2.1 - 2.37 (2.4) ; N = 30
Me = 11.6 × 5.1 µm ; Qe = 2.3
Observaciones: Aunque a pie de campo no observé la arista de sus láminas coloreada, este detalle según Aronsen en el caso de la Mycena oliveceomarginata puede no ser evidente y hasta incluso inapreciable, por el dato del pigmento intracelular en los queilocistidios la sitúan dentro de las Rubromarginatae, y aunque las medidas de las esporas estarían por encima de las indicadas por Aronsen de 9.5-11.5 x 4.5-6.5 µm., esta diferencia en la longitud de algunas de mis esporas podría ser debida a que estas procederían de basidios bispóricos, además todo el resto de parámetros coinciden perfectamente con el trabajo del mismo autor.
No obstante el mismo A. Aronsen en las Claves de Funga Nordica indica para la Mycena olivaceomarginata unas medidas esporales de (8-)10-13(-14) x 5-7 μm, en este caso completamente concordantes con las de mi estudio.
Muy parecida a su hermana la Mycena citrinomarginata, esta última con un color más pálido y amarillento, sin tonos pardos.
Saludos a tod@s.
Adjuntos:
El siguiente usuario dijo gracias: Juan Andrés Román, Juan
Por favor, Identificarse para unirse a la conversación.
- Juan Andrés Román
-
- Fuera de línea
- Spammer
-
Menos
Más
- Mensajes: 2558
- Gracias recibidas: 2756
3 años 2 meses antes #108579
por Juan Andrés Román
Respuesta de Juan Andrés Román sobre el tema Mycena olivaceomarginata (Massee) Massee. Microscopía.
Buen aporte Josep...............................Saludos.
El siguiente usuario dijo gracias: Josep Torres, Juan
Por favor, Identificarse para unirse a la conversación.
- Josep Torres
-
Autor del tema
- Fuera de línea
- Moderador
-
Menos
Más
- Mensajes: 8746
- Gracias recibidas: 8379
3 años 2 meses antes #108589
por Josep Torres
Respuesta de Josep Torres sobre el tema Mycena olivaceomarginata (Massee) Massee. Microscopía.
El siguiente usuario dijo gracias: Juan Andrés Román, Juan
Por favor, Identificarse para unirse a la conversación.
- Juan
-
- Fuera de línea
- Moderador
-
Menos
Más
- Mensajes: 553
- Gracias recibidas: 608
3 años 2 meses antes #108601
por Juan
Respuesta de Juan sobre el tema Mycena olivaceomarginata (Massee) Massee. Microscopía.
Que ejemplar mas simpático Josep, y si es verdad se parece mucho a mycena citrinomarginata
El siguiente usuario dijo gracias: Juan Andrés Román, Josep Torres
Por favor, Identificarse para unirse a la conversación.
- Josep Torres
-
Autor del tema
- Fuera de línea
- Moderador
-
Menos
Más
- Mensajes: 8746
- Gracias recibidas: 8379
3 años 2 meses antes #108605
por Josep Torres
Respuesta de Josep Torres sobre el tema Mycena olivaceomarginata (Massee) Massee. Microscopía.
Gracias Juan, ambas están dentro de la secta Rubromarginatae.
Saludos.
Saludos.
El siguiente usuario dijo gracias: Juan Andrés Román, Juan
Por favor, Identificarse para unirse a la conversación.
- Foro
- Foros sobre Micología de fungipedia
- Microscopía
- Mycena olivaceomarginata (Massee) Massee. Microscopía.
Tiempo de carga de la página: 0.175 segundos



Foro de micología