- Foro
- Foros sobre Micología de fungipedia
- Microscopía
- Entoloma clandestinum (Fr.) Noordel. Microscopía.
Entoloma clandestinum (Fr.) Noordel. Microscopía.
- Josep Torres
-
Autor del tema
- Fuera de línea
- Moderador
-
Menos
Más
- Mensajes: 8746
- Gracias recibidas: 8379
3 años 4 meses antes #108420
por Josep Torres
Hola a tod@s.
Un Entoloma localizado el pasado 4 de Diciembre bajo Pinus pinaster y algún quejigo (Quercus faginea), de color marrón rojizo, cutícula brillante y transparencia radial de las láminas.
Agradecer a Plácido Iglesias y a Sabino Arauzo, por su ayuda en la identificación de la especie.
Entoloma clandestinum (Fr.) Noordel.
Láminas muy anchas y ventrudas de color rosado por el efecto de la esporulación.
A destacar como dato importante el pie muy marcadamente excéntrico de los dos ejemplares recogidos.
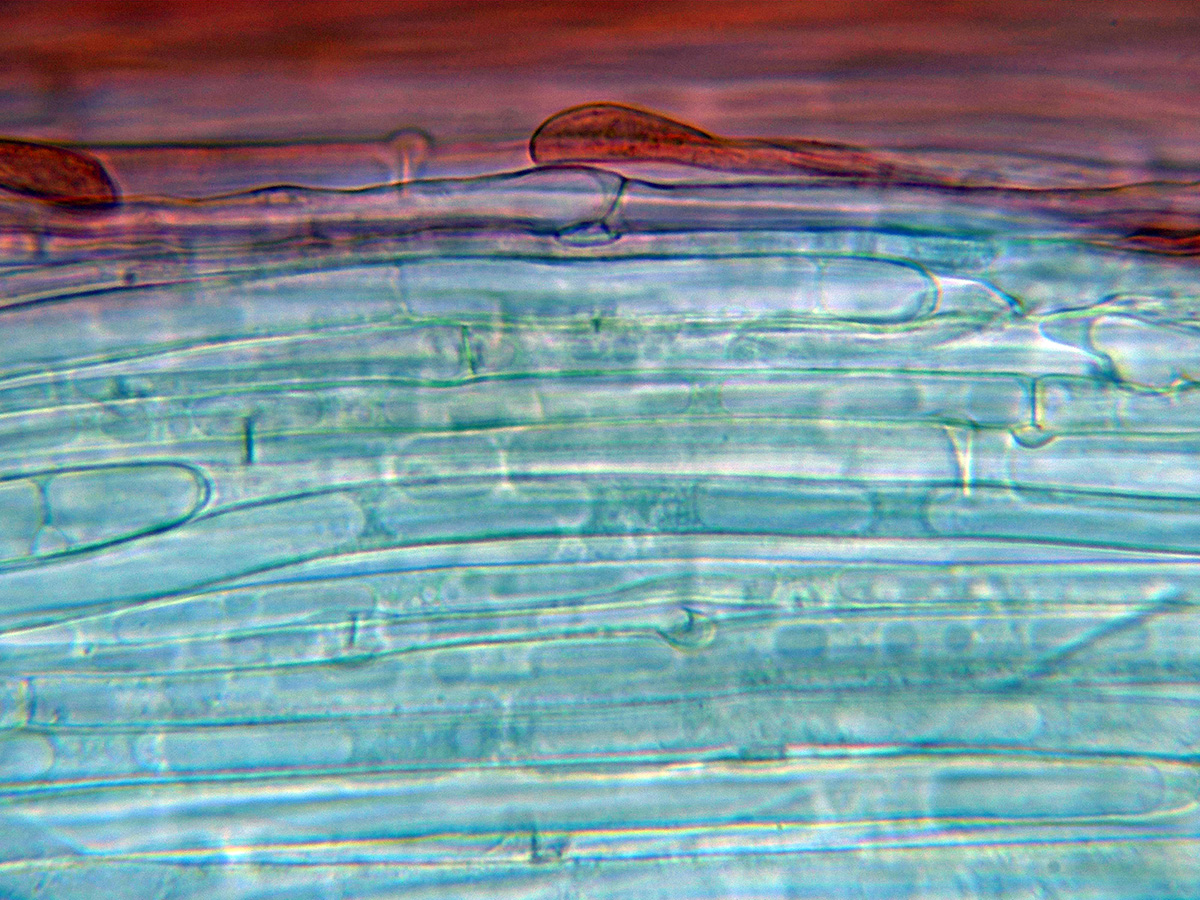
Pileipellis con hifas filamentosas dispuestas mas o menos paralelamente con los tabiques provistos de fíbulas y algunas hifas terminales anchas, cilíndricas e hialinas a modo de pelos.
La pileipellis en agua:
Estipitipellis sin caulocistidios observados y con hifas fibuladas.
Arista de las láminas solo con basidios y basidiolos, sin cistidios diferenciados.
Basidios mayoritariamente tetraspóricos, con algún basidio bispórico y hasta incluso algunos dispersos de monospóricos.
Un basidio bisporico:
Un basidio monosporico:
Esporas de gran tamaño, con el borde ondulado (sin ángulos definidos), una muy marcada apícula y unas medidas de las esporas obtenidas por esporulación natural y en agua de:
(9.8) 10.6 - 14.2 (15.8) × (5.3) 5.6 - 6.5 (7.2) µm
Q = (1.6) 1.7 - 2.3 (2.8) ; N = 36
Me = 12.3 × 6.1 µm ; Qe = 2
Y las mismas esporas en Rojo Congo con unas medidas de:
(10.2) 11 - 14 (16.6) × (5.2) 5.8 - 7 (7.1) µm
Q = (1.6) 1.7 - 2.2 (2.4) ; N = 36
Me = 12.4 × 6.4 µm ; Qe = 1.9
Observaciones: Dado que las medidas esporales obtenidas no se correspondían con ninguna especie de Entoloma descrita hasta el momento, es por lo que decidí el pedir consejo a los expertos, estos opinaron que las medidas aberrantes de mis esporas se debían a que procedían de basidios bispóricos y monospóricos y que las esporas que se veían entre las imágenes de los basidios eran mas isodiamétricas y que probara de hacer una medición con ellas, después de probar con las 21 esporas observadas y útiles para su medición, el resultado fue de 7 - 10.8 (11.1) × 5.7 - 7.8 (8,7) µm.
Estas medidas ya coincidirían con las que se indican en Funga Nordica para el Entoloma clandestinum de 8-10(-11) x 5,5-7,5 μm,
Lo realmente curioso es que las esporas obtenidas por esporulación natural procedieran mayoritariamente de basidios mono y bispóricos, sin casi ni rastro de esporas producidas en basidios tetraspóricos, la naturaleza nunca deja de sorprenderme.
Especie muy parecida al Entoloma papillatum ,este último con una mayor densidad laminar y esporas de mayor tamaño.
Saludos a tod@s.
Un Entoloma localizado el pasado 4 de Diciembre bajo Pinus pinaster y algún quejigo (Quercus faginea), de color marrón rojizo, cutícula brillante y transparencia radial de las láminas.
Agradecer a Plácido Iglesias y a Sabino Arauzo, por su ayuda en la identificación de la especie.
Entoloma clandestinum (Fr.) Noordel.
Láminas muy anchas y ventrudas de color rosado por el efecto de la esporulación.
A destacar como dato importante el pie muy marcadamente excéntrico de los dos ejemplares recogidos.
Pileipellis con hifas filamentosas dispuestas mas o menos paralelamente con los tabiques provistos de fíbulas y algunas hifas terminales anchas, cilíndricas e hialinas a modo de pelos.
La pileipellis en agua:
Estipitipellis sin caulocistidios observados y con hifas fibuladas.
Arista de las láminas solo con basidios y basidiolos, sin cistidios diferenciados.
Basidios mayoritariamente tetraspóricos, con algún basidio bispórico y hasta incluso algunos dispersos de monospóricos.
Un basidio bisporico:
Un basidio monosporico:
Esporas de gran tamaño, con el borde ondulado (sin ángulos definidos), una muy marcada apícula y unas medidas de las esporas obtenidas por esporulación natural y en agua de:
(9.8) 10.6 - 14.2 (15.8) × (5.3) 5.6 - 6.5 (7.2) µm
Q = (1.6) 1.7 - 2.3 (2.8) ; N = 36
Me = 12.3 × 6.1 µm ; Qe = 2
Y las mismas esporas en Rojo Congo con unas medidas de:
(10.2) 11 - 14 (16.6) × (5.2) 5.8 - 7 (7.1) µm
Q = (1.6) 1.7 - 2.2 (2.4) ; N = 36
Me = 12.4 × 6.4 µm ; Qe = 1.9
Observaciones: Dado que las medidas esporales obtenidas no se correspondían con ninguna especie de Entoloma descrita hasta el momento, es por lo que decidí el pedir consejo a los expertos, estos opinaron que las medidas aberrantes de mis esporas se debían a que procedían de basidios bispóricos y monospóricos y que las esporas que se veían entre las imágenes de los basidios eran mas isodiamétricas y que probara de hacer una medición con ellas, después de probar con las 21 esporas observadas y útiles para su medición, el resultado fue de 7 - 10.8 (11.1) × 5.7 - 7.8 (8,7) µm.
Estas medidas ya coincidirían con las que se indican en Funga Nordica para el Entoloma clandestinum de 8-10(-11) x 5,5-7,5 μm,
Lo realmente curioso es que las esporas obtenidas por esporulación natural procedieran mayoritariamente de basidios mono y bispóricos, sin casi ni rastro de esporas producidas en basidios tetraspóricos, la naturaleza nunca deja de sorprenderme.
Especie muy parecida al Entoloma papillatum ,este último con una mayor densidad laminar y esporas de mayor tamaño.
Saludos a tod@s.
Adjuntos:
El siguiente usuario dijo gracias: Juan Andrés Román, Juan
Por favor, Identificarse para unirse a la conversación.
- Juan
-
- Fuera de línea
- Moderador
-
Menos
Más
- Mensajes: 553
- Gracias recibidas: 608
3 años 4 meses antes #108427
por Juan
Respuesta de Juan sobre el tema Entoloma clandestinum (Fr.) Noordel. Microscopía.
Por favor, Identificarse para unirse a la conversación.
- Josep Torres
-
Autor del tema
- Fuera de línea
- Moderador
-
Menos
Más
- Mensajes: 8746
- Gracias recibidas: 8379
3 años 4 meses antes - 3 años 4 meses antes #108431
por Josep Torres
Respuesta de Josep Torres sobre el tema Entoloma clandestinum (Fr.) Noordel. Microscopía.
Hola Juan hay muchas especies que aún considerándose tetraspóricas, en su estudio se pueden observar algunos basidios bispóricos y hasta incluso alguno de monospórics, estos basidios son los responsables de producir esporas aberrantes que pueden dar al traste con la identificación, lo curioso es que en las muestras preparadas parece ser que todas las basidiosporas observadas se producirían en basidios tetraspóricos ya que son mucho más isodiamétricas, luego al intentar obtener las esporas por esporulación natural, por alguna razón que desconozco las esporas que soltaron procedían mayoritariamente de basidios mono o bispóricos, aunque admito que en el proceso obtuve pocas esporas, prácticamente las de las dos imágenes, las imágenes se corresponden con una composición de hasta 40 fotos.
Cuando en una imagen de esporas hay solo unas pocas que por sus medidas se salen de madre, ya consideramos que pueden originarse en basidios mono o bispóricos, y ya no las tenemos como válidas para las mediciones, lo curioso en este caso es que había muchas.
Saludos
Cuando en una imagen de esporas hay solo unas pocas que por sus medidas se salen de madre, ya consideramos que pueden originarse en basidios mono o bispóricos, y ya no las tenemos como válidas para las mediciones, lo curioso en este caso es que había muchas.
Saludos
Última Edición: 3 años 4 meses antes por Josep Torres. Razón: Una falta de ortografía
El siguiente usuario dijo gracias: Juan
Por favor, Identificarse para unirse a la conversación.
- Juan
-
- Fuera de línea
- Moderador
-
Menos
Más
- Mensajes: 553
- Gracias recibidas: 608
3 años 4 meses antes #108433
por Juan
Respuesta de Juan sobre el tema Entoloma clandestinum (Fr.) Noordel. Microscopía.
ooohhhhhh ya entendí, ahora me quedo muchísimo mas claro, la naturaleza es maravillosa realmente 
Gracias por la explicación!
Gracias por la explicación!
El siguiente usuario dijo gracias: Josep Torres
Por favor, Identificarse para unirse a la conversación.
- Foro
- Foros sobre Micología de fungipedia
- Microscopía
- Entoloma clandestinum (Fr.) Noordel. Microscopía.
Tiempo de carga de la página: 0.236 segundos



Foro de micología