- Foro
- Foros sobre Micología de fungipedia
- Microscopía
- Gyalolechia fulgens (Sw.) Søchting, Frödén & Arup. Microscopía
Gyalolechia fulgens (Sw.) Søchting, Frödén & Arup. Microscopía
- Josep Torres
-
Autor del tema
- Fuera de línea
- Moderador
-
Menos
Más
- Mensajes: 8746
- Gracias recibidas: 8379
3 años 4 meses antes #108394
por Josep Torres
Hola a tod@s.
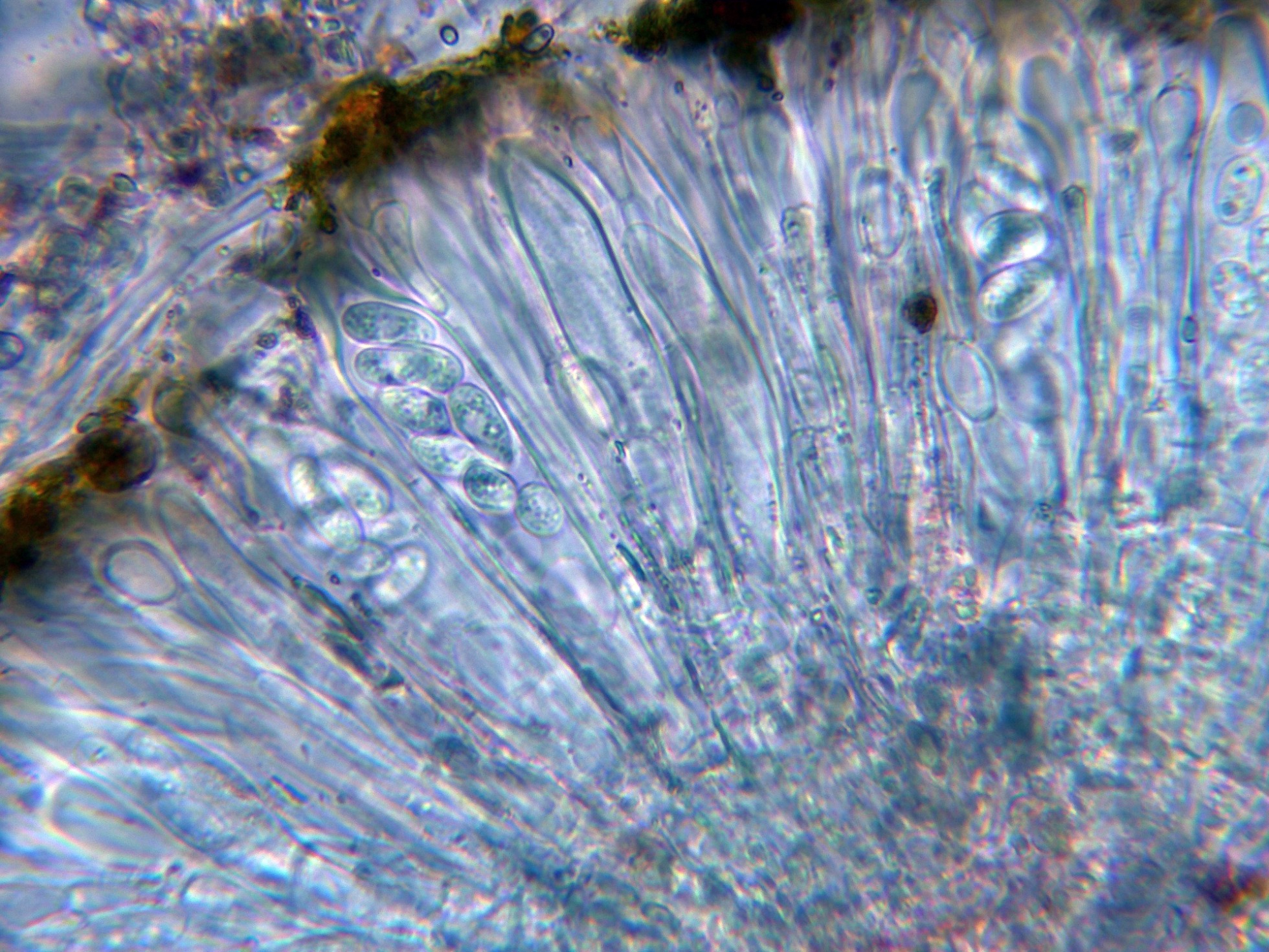
Un liquen fotografiado el pasado 6 de Diciembre, en soto fluvial, en una zona arenosa e inundable brotando sobre el musgo del suelo.
Gyalolechia fulgens (Sw.) Søchting, Frödén & Arup.
Syn: Fulgensia fulgens
Talo de color amarillento con el borde lobulado bien delimitado, con reacción a púrpura oscuro con el Hidróxido de potasio.
Apotecios de poco más de 1 mm., de color anaranjado.
Los apotecios a 20 aumentos:
Himenio en Rojo Congo diluido a 400 aumentos:
Himenio en KOH, con reacción a púrpura a 400 aumentos:
Los ascos en Rojo Congo diluido a 1000 aumentos:
Himenio en KOH a 1000 aumentos:
Las paráfisis, filiformes septadas y con ensanchamientos en el ápice.
Las ascosporas obtenidas por esporulación natural y en agua:
Estas esporas con unas medidas de:
(9) 9.7 - 12.5 (13.7) × (3.6) 4 - 5 (5.4) µm
Q = (1.9) 2 - 2.9 (3.4) ; N = 30
Me = 11.1 × 4.5 µm ; Qe = 2.5
Aunque no suelo fijarme en los líquenes, ya tan solo por su complejidad a la hora de ponerles nombre y apellido, admito que suelen ser bastante agradecidos al micro, y en estos momentos cualquier cosa sirve para poder tachar un cromo.
Saludos a tod@s.
Un liquen fotografiado el pasado 6 de Diciembre, en soto fluvial, en una zona arenosa e inundable brotando sobre el musgo del suelo.
Gyalolechia fulgens (Sw.) Søchting, Frödén & Arup.
Syn: Fulgensia fulgens
Talo de color amarillento con el borde lobulado bien delimitado, con reacción a púrpura oscuro con el Hidróxido de potasio.
Apotecios de poco más de 1 mm., de color anaranjado.
Los apotecios a 20 aumentos:
Himenio en Rojo Congo diluido a 400 aumentos:
Himenio en KOH, con reacción a púrpura a 400 aumentos:
Los ascos en Rojo Congo diluido a 1000 aumentos:
Himenio en KOH a 1000 aumentos:
Las paráfisis, filiformes septadas y con ensanchamientos en el ápice.
Las ascosporas obtenidas por esporulación natural y en agua:
Estas esporas con unas medidas de:
(9) 9.7 - 12.5 (13.7) × (3.6) 4 - 5 (5.4) µm
Q = (1.9) 2 - 2.9 (3.4) ; N = 30
Me = 11.1 × 4.5 µm ; Qe = 2.5
Aunque no suelo fijarme en los líquenes, ya tan solo por su complejidad a la hora de ponerles nombre y apellido, admito que suelen ser bastante agradecidos al micro, y en estos momentos cualquier cosa sirve para poder tachar un cromo.
Saludos a tod@s.
Adjuntos:
El siguiente usuario dijo gracias: Juan Andrés Román, Juan
Por favor, Identificarse para unirse a la conversación.
- Juan Andrés Román
-
- Fuera de línea
- Spammer
-
Menos
Más
- Mensajes: 2558
- Gracias recibidas: 2756
3 años 4 meses antes #108404
por Juan Andrés Román
Respuesta de Juan Andrés Román sobre el tema Gyalolechia fulgens (Sw.) Søchting, Frödén & Arup. Microscopía
Muy chulo este liquen..................... Un abrazo.
El siguiente usuario dijo gracias: Josep Torres, Juan
Por favor, Identificarse para unirse a la conversación.
- Juan
-
- Fuera de línea
- Moderador
-
Menos
Más
- Mensajes: 553
- Gracias recibidas: 608
3 años 4 meses antes #108406
por Juan
Respuesta de Juan sobre el tema Gyalolechia fulgens (Sw.) Søchting, Frödén & Arup. Microscopía
Hermoso trabajo Josep como siempre
El siguiente usuario dijo gracias: Josep Torres
Por favor, Identificarse para unirse a la conversación.
- Josep Torres
-
Autor del tema
- Fuera de línea
- Moderador
-
Menos
Más
- Mensajes: 8746
- Gracias recibidas: 8379
3 años 4 meses antes #108414
por Josep Torres
Respuesta de Josep Torres sobre el tema Gyalolechia fulgens (Sw.) Søchting, Frödén & Arup. Microscopía
El siguiente usuario dijo gracias: Juan
Por favor, Identificarse para unirse a la conversación.
- Foro
- Foros sobre Micología de fungipedia
- Microscopía
- Gyalolechia fulgens (Sw.) Søchting, Frödén & Arup. Microscopía
Tiempo de carga de la página: 0.198 segundos



Foro de micología