- Foro
- Foros sobre Micología de fungipedia
- Microscopía
- Probablemente: Cortinarius ionochlorus Maire . Microscopía.
Probablemente: Cortinarius ionochlorus Maire . Microscopía.
- Josep Torres
-
Autor del tema
- Fuera de línea
- Moderador
-
Menos
Más
- Mensajes: 8746
- Gracias recibidas: 8379
3 años 4 meses antes - 3 años 4 meses antes #108352
por Josep Torres
Hola a tod@s.
Un Cortinarius del pasado domingo fotografiado en un bosque mixto de Pinus pinaster y Quercus faginea.
Agradecer a Juan Carlos Campos y a Cándido Sos de "La Usonera", por su ayuda en la identificación de la especie.
Con sombrero amarillo verdoso intenso muy viscoso:
Láminas con tonos rosado violáceos y pie bulboso.
Carne al corte de color amarillo verdoso, más acusado en su base:
Con reacción de la superficie del sombrero a negro con KOH:
Hifas de la suprapellis estrechas y fuertemente separadas por gelificación:
La suprapellis a 400 aumentos:
La suprapellis a 1000 aumentos, hifas con pigmento intracelular verdoso y fibuladas:
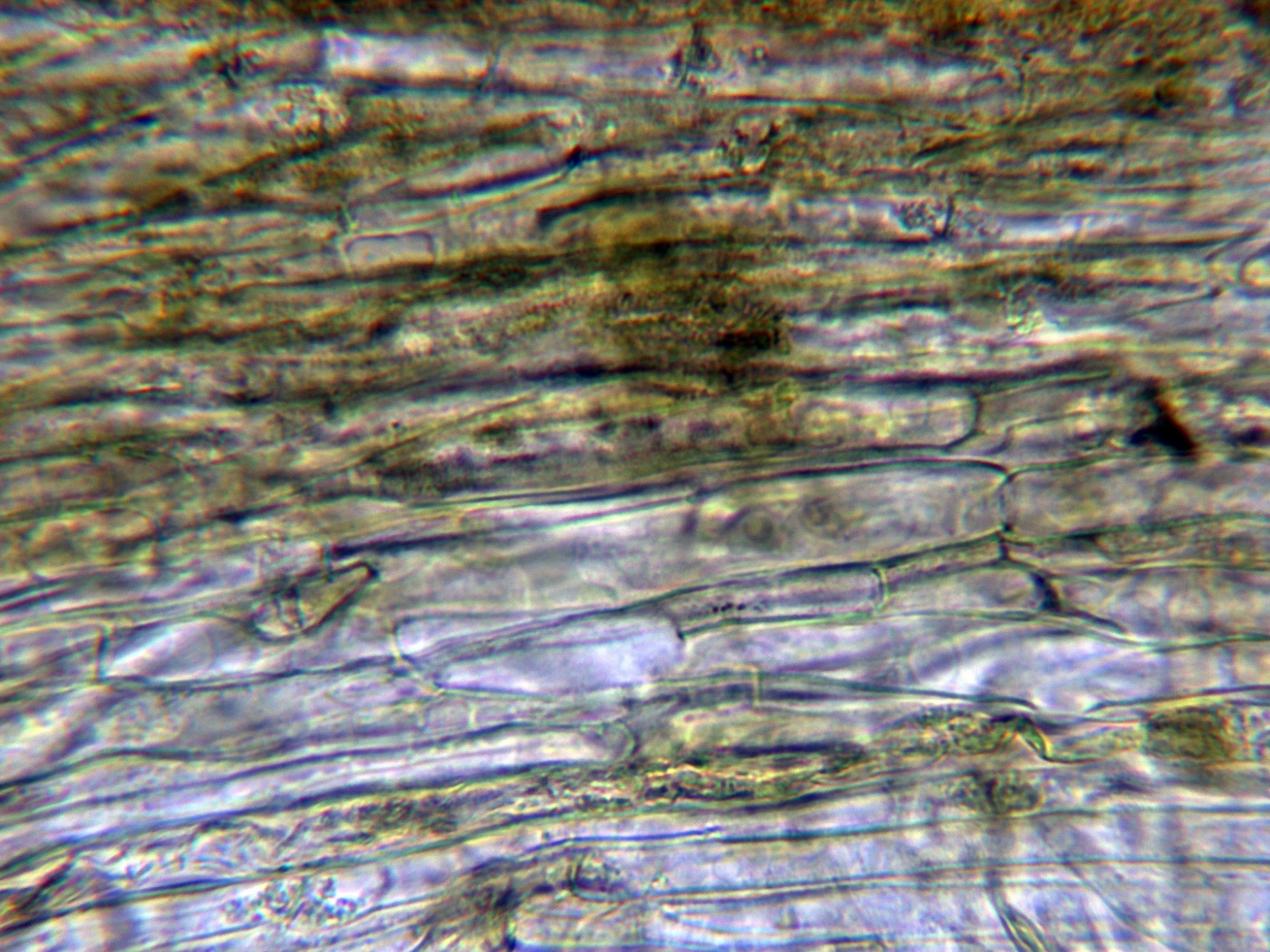
Hifas de la subpellis ya algo más anchas, dispuestas más o menos paralelamente y con fíbulas:
Arista laminar homomorfa sin elementos diferenciados de los basidios o basidiolos, por lo que debo considerar que la especie carece de cistidios:
Dado que con Rojo Congo diluido no conseguía ver bien los elementos de la arista laminar, decidí probar con amoníaco.
La arista laminar a 1000 aumentos:
Los basidios observados tetraspóricos:
Basidios de la cara laminar.
Las esporas obtenidas por esporulación natural y en agua:
Y las esporas en Reactivo de Melzer, con solo una muy ligera (casi inapreciable) reacción dextrinoide:
Las esporas en agua con unas medidas de:
(8.2) 9 - 11.1 (11.4) × (5.5) 5.9 - 6.6 (6.9) µm
Q = (1.3) 1.4 - 1.7 (1.9) ; N = 40
Me = 10 × 6.2 µm ; Qe = 1.6
Observaciones: Estudio contrastado con las Claves de Funga Nordica, en las que se indican unas medidas para el Cortinarius ionochlorus de 9,5-11 x 5,5-6,5 μm, el resto de características también parecen encajar con la especie propuesta.
Saludos a tod@s.
Un Cortinarius del pasado domingo fotografiado en un bosque mixto de Pinus pinaster y Quercus faginea.
Agradecer a Juan Carlos Campos y a Cándido Sos de "La Usonera", por su ayuda en la identificación de la especie.
Con sombrero amarillo verdoso intenso muy viscoso:
Láminas con tonos rosado violáceos y pie bulboso.
Carne al corte de color amarillo verdoso, más acusado en su base:
Con reacción de la superficie del sombrero a negro con KOH:
Hifas de la suprapellis estrechas y fuertemente separadas por gelificación:
La suprapellis a 400 aumentos:
La suprapellis a 1000 aumentos, hifas con pigmento intracelular verdoso y fibuladas:
Hifas de la subpellis ya algo más anchas, dispuestas más o menos paralelamente y con fíbulas:
Arista laminar homomorfa sin elementos diferenciados de los basidios o basidiolos, por lo que debo considerar que la especie carece de cistidios:
Dado que con Rojo Congo diluido no conseguía ver bien los elementos de la arista laminar, decidí probar con amoníaco.
La arista laminar a 1000 aumentos:
Los basidios observados tetraspóricos:
Basidios de la cara laminar.
Las esporas obtenidas por esporulación natural y en agua:
Y las esporas en Reactivo de Melzer, con solo una muy ligera (casi inapreciable) reacción dextrinoide:
Las esporas en agua con unas medidas de:
(8.2) 9 - 11.1 (11.4) × (5.5) 5.9 - 6.6 (6.9) µm
Q = (1.3) 1.4 - 1.7 (1.9) ; N = 40
Me = 10 × 6.2 µm ; Qe = 1.6
Observaciones: Estudio contrastado con las Claves de Funga Nordica, en las que se indican unas medidas para el Cortinarius ionochlorus de 9,5-11 x 5,5-6,5 μm, el resto de características también parecen encajar con la especie propuesta.
Saludos a tod@s.
Adjuntos:
Última Edición: 3 años 4 meses antes por Josep Torres. Razón: Añadir información
El siguiente usuario dijo gracias: Juan Andrés Román, Juan
Por favor, Identificarse para unirse a la conversación.
- Juan
-
- Fuera de línea
- Moderador
-
Menos
Más
- Mensajes: 553
- Gracias recibidas: 608
3 años 4 meses antes #108353
por Juan
Respuesta de Juan sobre el tema Probablemente: Cortinarius ionochlorus Maire . Microscopía.
Que ejemplar tan extraño :O
Muy buen tema y muy completo genio Josep
Muy buen tema y muy completo genio Josep
El siguiente usuario dijo gracias: Josep Torres
Por favor, Identificarse para unirse a la conversación.
- Juan Andrés Román
-
- Fuera de línea
- Spammer
-
Menos
Más
- Mensajes: 2558
- Gracias recibidas: 2756
3 años 4 meses antes #108399
por Juan Andrés Román
Respuesta de Juan Andrés Román sobre el tema Probablemente: Cortinarius ionochlorus Maire . Microscopía.
El siguiente usuario dijo gracias: Josep Torres, Juan
Por favor, Identificarse para unirse a la conversación.
- Josep Torres
-
Autor del tema
- Fuera de línea
- Moderador
-
Menos
Más
- Mensajes: 8746
- Gracias recibidas: 8379
3 años 4 meses antes #108410
por Josep Torres
Respuesta de Josep Torres sobre el tema Probablemente: Cortinarius ionochlorus Maire . Microscopía.
Muchas gracias a los dos, generalmente acostumbro a no fijarme en los Cortinarius (ya que tengo que terminar siempre secuenciando), pero con este aspecto tan especial decidí recurrir al grupo de "La Usonera", ya en el mismo lugar de la recogida Cándido Sos le puso nombre y apellido, la micro no hizo nada más que confirmar la especie.
Un abrazo a los dos
Un abrazo a los dos
El siguiente usuario dijo gracias: Juan
Por favor, Identificarse para unirse a la conversación.
- Foro
- Foros sobre Micología de fungipedia
- Microscopía
- Probablemente: Cortinarius ionochlorus Maire . Microscopía.
Tiempo de carga de la página: 0.164 segundos



Foro de micología