Probablemente: Inocybe grammata. Microscopía
- Josep Torres
-
Autor del tema
- Fuera de línea
- Moderador
-
Menos
Más
- Mensajes: 8746
- Gracias recibidas: 8379
3 años 6 meses antes #107818
por Josep Torres
Probablemente: Inocybe grammata. Microscopía Publicado por Josep Torres
Hola a tod@s.
Un siempre comlicado Inocybe fotografiado este pasado domingo en un bosque de Pinus pinaster.
Sombrero con fibrillas radiales de color marrón ocráceo con el centro algo más claro.
Láminas adnatas, algo escotadas, medianamente espaciadas, y con un pie con una base provista de un bulbo bien diferenciado y prominente.
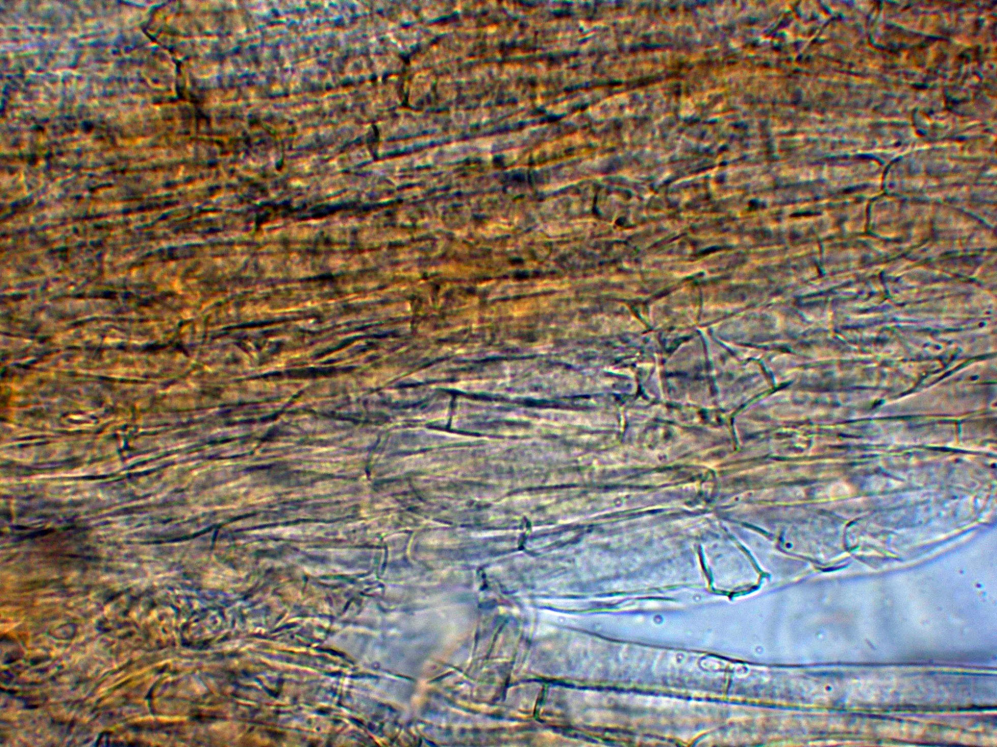
Suprapellis formada por hifas filamentosas con pigmento ocráceo:
Subpellis con hifas ya mas anchas e hialinas:
Hifas de la estipitipellis con alguna fíbula:
Caulocistidios abundantes por toda la superficie del pie.
Caulocistidios de la parte alta:
Caulocistidios de la parte baja del pie justo por encima del bulbo:
Queilocistidios fusiformes de paredes gruesas, con cristalizaciones en el ápice, mezclados con otros queilocistidios más cortos y piriformes, con unas medidas de (40) 41.2 - 52.1 (55.6) × (12.2) 12.3 - 17 (17.2) µm.
Los queilocistidios en solución de Rojo Congo diluído:
Pleurocistidios con una morfología parecida a los queilocistidios y unas medidas algo por encima, de (55.5) 55.51 - 57.9 × (19.4) 19.43 - 20.9 µm.
Los pleurocistidios:
Los cistidios en Reactivo de Melzer:
Los cistidios en KOH, donde se observa mejor el detalle de su pared gruesa:
Un par de imágenes de sus basidios tetraspóricos:
Las esporas con 4 o 5 protuberancias obtusas bajas, algunas de ellas que sugieren formas casi rectangulares.
Las esporas en agua:
Estas esporas obtenidas por esporulación natural con unas medidas de:
(6.9) 7.5 - 8.9 (9.2) × (4.3) 4.5 - 5.4 (6.2) µm
Q = (1.4) 1.42 - 1.8 (2) ; N = 40
Me = 8.1 × 5 µm ; Qe = 1.6
Observaciones: Determinación hecha siguiendo las Claves de Les Champignons de Suisse, que con esporas nodulosas (Subgénero Inocybe), pie bulboso, con caulocistidios en toda su superficie, esporas oblongas y bajo Pinus conducen a la Inocybe grammata propuesta.
Las medidas de los queilocistidios entran bien dentro de las indicadas por la misma fuente, y las medidas esporales que atribuyen a la Inocybe grammata de 7.5-10 x 4,7-6,1 µm; con un cociente Q = 1,3-1,8; parecen coincidir bastante bien con mi propuesta.
La única duda me surge con el centro del sombrero que debería ser blanquecino y en mi estudio solo era ligeramente más claro.
Saludos a tod@s.
Un siempre comlicado Inocybe fotografiado este pasado domingo en un bosque de Pinus pinaster.
Sombrero con fibrillas radiales de color marrón ocráceo con el centro algo más claro.
Láminas adnatas, algo escotadas, medianamente espaciadas, y con un pie con una base provista de un bulbo bien diferenciado y prominente.
Suprapellis formada por hifas filamentosas con pigmento ocráceo:
Subpellis con hifas ya mas anchas e hialinas:
Hifas de la estipitipellis con alguna fíbula:
Caulocistidios abundantes por toda la superficie del pie.
Caulocistidios de la parte alta:
Caulocistidios de la parte baja del pie justo por encima del bulbo:
Queilocistidios fusiformes de paredes gruesas, con cristalizaciones en el ápice, mezclados con otros queilocistidios más cortos y piriformes, con unas medidas de (40) 41.2 - 52.1 (55.6) × (12.2) 12.3 - 17 (17.2) µm.
Los queilocistidios en solución de Rojo Congo diluído:
Pleurocistidios con una morfología parecida a los queilocistidios y unas medidas algo por encima, de (55.5) 55.51 - 57.9 × (19.4) 19.43 - 20.9 µm.
Los pleurocistidios:
Los cistidios en Reactivo de Melzer:
Los cistidios en KOH, donde se observa mejor el detalle de su pared gruesa:
Un par de imágenes de sus basidios tetraspóricos:
Las esporas con 4 o 5 protuberancias obtusas bajas, algunas de ellas que sugieren formas casi rectangulares.
Las esporas en agua:
Estas esporas obtenidas por esporulación natural con unas medidas de:
(6.9) 7.5 - 8.9 (9.2) × (4.3) 4.5 - 5.4 (6.2) µm
Q = (1.4) 1.42 - 1.8 (2) ; N = 40
Me = 8.1 × 5 µm ; Qe = 1.6
Observaciones: Determinación hecha siguiendo las Claves de Les Champignons de Suisse, que con esporas nodulosas (Subgénero Inocybe), pie bulboso, con caulocistidios en toda su superficie, esporas oblongas y bajo Pinus conducen a la Inocybe grammata propuesta.
Las medidas de los queilocistidios entran bien dentro de las indicadas por la misma fuente, y las medidas esporales que atribuyen a la Inocybe grammata de 7.5-10 x 4,7-6,1 µm; con un cociente Q = 1,3-1,8; parecen coincidir bastante bien con mi propuesta.
La única duda me surge con el centro del sombrero que debería ser blanquecino y en mi estudio solo era ligeramente más claro.
Saludos a tod@s.
Adjuntos:
El siguiente usuario dijo gracias: Juan Andrés Román, Juan
Por favor, Identificarse para unirse a la conversación.
- Juan
-
- Fuera de línea
- Moderador
-
Menos
Más
- Mensajes: 553
- Gracias recibidas: 608
3 años 6 meses antes #107822
por Juan
Respuesta de Juan sobre el tema Probablemente: Inocybe grammata. Microscopía
Maravilloso trabajo a como nos tienes acostumbrado Josep muchas gracias por compartir
El siguiente usuario dijo gracias: Juan Andrés Román, Josep Torres
Por favor, Identificarse para unirse a la conversación.
- Juan Andrés Román
-
- Fuera de línea
- Spammer
-
Menos
Más
- Mensajes: 2558
- Gracias recibidas: 2756
3 años 6 meses antes #107836
por Juan Andrés Román
Respuesta de Juan Andrés Román sobre el tema Probablemente: Inocybe grammata. Microscopía
Estupendo aporte Josep..........
Saludos.
Saludos.
El siguiente usuario dijo gracias: Josep Torres, Juan
Por favor, Identificarse para unirse a la conversación.
- Josep Torres
-
Autor del tema
- Fuera de línea
- Moderador
-
Menos
Más
- Mensajes: 8746
- Gracias recibidas: 8379
3 años 6 meses antes #107846
por Josep Torres
Respuesta de Josep Torres sobre el tema Probablemente: Inocybe grammata. Microscopía
El siguiente usuario dijo gracias: Juan Andrés Román
Por favor, Identificarse para unirse a la conversación.
Tiempo de carga de la página: 0.285 segundos



Foro de micología