- Foro
- Foros sobre Micología de fungipedia
- Microscopía
- Gracilistilbella clavulata (Mont.) Seifert. Microscopía
Gracilistilbella clavulata (Mont.) Seifert. Microscopía
- Josep Torres
-
Autor del tema
- Fuera de línea
- Moderador
-
Menos
Más
- Mensajes: 8746
- Gracias recibidas: 8379
3 años 8 meses antes - 3 años 8 meses antes #107530
por Josep Torres
Hola a tod@s.
Un hongo fotografiado el pasado 12 de Julio en la República Dominicana.
Unos synnemata brotando de manera muy abundante sobre la superficie de un tronco de planifolio tropical indeterminado:
Gracilistilbella clavulata (Mont.) Seifert
Algunos con el pie ramificado, unas ampliaciones a 20 aumentos:
Un par de ampliaciones con luz indirecta a 40 aumentos:
Ya con luz directa y a 40 aumentos:
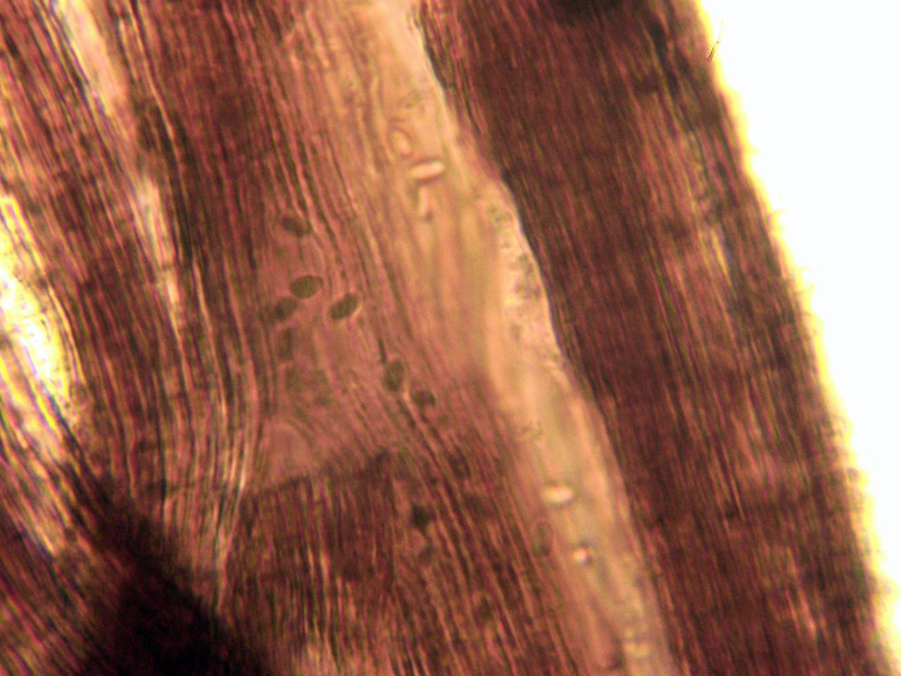
Hifas del pie a 1000 aumentos:
Hifas del pie en KOH, en este medio adquieren un color rojizo:
Hifas cortas de la superficie de la parte alta del pie, con su superficie cubierta de finas verrugas difíciles de observar:
Conidióforos en solución de Rojo Congo diluído:
Conidióforos en agua:
Conidios en agua:
Conidios en KOH:
Los conidios en agua con unas medidas de:
(3.5) 3.7 - 4.3 (4.7) × (2) 2.4 - 2.8 (3.1) µm
Q = (1.3) 1.4 - 1.8 (2) ; N = 40
Me = 4 × 2.5 µm ; Qe = 1.6
En Rojo Congo con unas medidas de:
(4.3) 4.5 - 5 (5.2) × (2.2) 2.4 - 2.8 (2.9) µm
Q = (1.6) 1.8 - 2 (2.1) ; N = 30
Me = 4.8 × 2.6 µm ; Qe = 1.9
Y en KOH con unas medidas de:
(4.5) 4.8 - 5.8 (6) × (2.3) 2.4 - 2.8 (3) µm
Q = (1.7) 1.8 - 2.2 (2.3) ; N = 30
Me = 5.2 × 2.6 µm ; Qe = 2
Observaciones: la Gracilistilbella clavulata se considera un hongo eminentemente tropical, del que no hay mucha información al respecto, este trabajo lo he contrastado con la información que he podido encontrar en el siguiente enlace:
www.pilzforum.eu/board/thread/53072-grac...ID=517747#post517747
Curiosamente se trata de un estudio de unos especímenes recogidos en Alemania, de clima mas bien templado.
Las medidas de los conidios de mi estudio estarían por debajo de las citadas en el trabajo de Thorben,
Si bien en index Fungorum se separan la Gracilistilbella clavulata de la Stilbocrea gracilipes, según el criterio de Mycobank se trataría de sinónimos:
www.mycobank.org/page/Name%20details%20p...lbocrea%20gracilipes
En su opinión su nombre actual sería el de Gracilistilbella clavulata.
Según el trabajo de Jackes Fournier y Christian Lechat de Diciembre de 2019, con el título de "New insights into Stilbocrea (Hypocreales, Bionectriaceae): recognition of S. colubrensis, a new species from Martinique (French West Indies), and observations on lifestyle and synnematous asexual morphs of S. gracilipes and S. macrostoma" se indican unas medidas para los conidios de Stilbocrea gracilipes de 4-7 x 2-3 µm. bastante acordes con las medidas de los conidios en KOH.
Estas medidas también están acordes con el documento de "Maharachchikumburaetal (2022) Brunneosporopsis yunnanensis gen. et sp. nov. and Allocryptovalsa xishuangbanica sp. nov. New Terrestrial Sordariomycetes from Southwest China".
Añado una imágen de Mycobank con las características de la Gracilistilbella clavulata:
En la imágen se pueden apreciar dos medidas distintas de los conidios, los del círculo al igual que el aspecto macro totalmente acordes con el presente estudio.
Saludos a tod@s.
Un hongo fotografiado el pasado 12 de Julio en la República Dominicana.
Unos synnemata brotando de manera muy abundante sobre la superficie de un tronco de planifolio tropical indeterminado:
Gracilistilbella clavulata (Mont.) Seifert
Algunos con el pie ramificado, unas ampliaciones a 20 aumentos:
Un par de ampliaciones con luz indirecta a 40 aumentos:
Ya con luz directa y a 40 aumentos:
Hifas del pie a 1000 aumentos:
Hifas del pie en KOH, en este medio adquieren un color rojizo:
Hifas cortas de la superficie de la parte alta del pie, con su superficie cubierta de finas verrugas difíciles de observar:
Conidióforos en solución de Rojo Congo diluído:
Conidióforos en agua:
Conidios en agua:
Conidios en KOH:
Los conidios en agua con unas medidas de:
(3.5) 3.7 - 4.3 (4.7) × (2) 2.4 - 2.8 (3.1) µm
Q = (1.3) 1.4 - 1.8 (2) ; N = 40
Me = 4 × 2.5 µm ; Qe = 1.6
En Rojo Congo con unas medidas de:
(4.3) 4.5 - 5 (5.2) × (2.2) 2.4 - 2.8 (2.9) µm
Q = (1.6) 1.8 - 2 (2.1) ; N = 30
Me = 4.8 × 2.6 µm ; Qe = 1.9
Y en KOH con unas medidas de:
(4.5) 4.8 - 5.8 (6) × (2.3) 2.4 - 2.8 (3) µm
Q = (1.7) 1.8 - 2.2 (2.3) ; N = 30
Me = 5.2 × 2.6 µm ; Qe = 2
Observaciones: la Gracilistilbella clavulata se considera un hongo eminentemente tropical, del que no hay mucha información al respecto, este trabajo lo he contrastado con la información que he podido encontrar en el siguiente enlace:
www.pilzforum.eu/board/thread/53072-grac...ID=517747#post517747
Curiosamente se trata de un estudio de unos especímenes recogidos en Alemania, de clima mas bien templado.
Las medidas de los conidios de mi estudio estarían por debajo de las citadas en el trabajo de Thorben,
Si bien en index Fungorum se separan la Gracilistilbella clavulata de la Stilbocrea gracilipes, según el criterio de Mycobank se trataría de sinónimos:
www.mycobank.org/page/Name%20details%20p...lbocrea%20gracilipes
En su opinión su nombre actual sería el de Gracilistilbella clavulata.
Según el trabajo de Jackes Fournier y Christian Lechat de Diciembre de 2019, con el título de "New insights into Stilbocrea (Hypocreales, Bionectriaceae): recognition of S. colubrensis, a new species from Martinique (French West Indies), and observations on lifestyle and synnematous asexual morphs of S. gracilipes and S. macrostoma" se indican unas medidas para los conidios de Stilbocrea gracilipes de 4-7 x 2-3 µm. bastante acordes con las medidas de los conidios en KOH.
Estas medidas también están acordes con el documento de "Maharachchikumburaetal (2022) Brunneosporopsis yunnanensis gen. et sp. nov. and Allocryptovalsa xishuangbanica sp. nov. New Terrestrial Sordariomycetes from Southwest China".
Añado una imágen de Mycobank con las características de la Gracilistilbella clavulata:
En la imágen se pueden apreciar dos medidas distintas de los conidios, los del círculo al igual que el aspecto macro totalmente acordes con el presente estudio.
Saludos a tod@s.
Adjuntos:
Última Edición: 3 años 8 meses antes por Josep Torres. Razón: Una falta de ortografía
El siguiente usuario dijo gracias: Juan Andrés Román
Por favor, Identificarse para unirse a la conversación.
- Juan Andrés Román
-
- Fuera de línea
- Spammer
-
Menos
Más
- Mensajes: 2558
- Gracias recibidas: 2756
3 años 8 meses antes #107543
por Juan Andrés Román
Respuesta de Juan Andrés Román sobre el tema Gracilistilbella clavulata (Mont.) Seifert. Microscopía
El siguiente usuario dijo gracias: Josep Torres
Por favor, Identificarse para unirse a la conversación.
- Foro
- Foros sobre Micología de fungipedia
- Microscopía
- Gracilistilbella clavulata (Mont.) Seifert. Microscopía
Tiempo de carga de la página: 0.203 segundos



Foro de micología