- Foro
- Foros sobre Micología de fungipedia
- Microscopía
- Rhodophana nitellina (Fr.) Papetti . Microscopía.
Rhodophana nitellina (Fr.) Papetti . Microscopía.
- Josep Torres
-
Autor del tema
- Fuera de línea
- Moderador
-
Menos
Más
- Mensajes: 8746
- Gracias recibidas: 8379
3 años 11 meses antes - 3 años 11 meses antes #107371
por Josep Torres
Hola a tod@s.
Una pequeña seta fotografiada el 18 de Octubre de 2020 (Otoño), bajo pinos y a 1050 msnm. Agradecer a Plácido Iglesias su ayuda en la identificación de la especie.
Rhodophana nitellina (Fr.) Papetti
Sombrero de menos de 2 cm., entre convexo deprimido y umbilicado, de color marrón crema más oscuro en el centro para ir decolorándose al acercarnos al borde, con transparencia radial de las láminas.
Láminas blanquecinas o tan solo de un color crema más claro que el sombrero (entre 25 y 30 que llegan a alcanzar el pie), bastante espaciadas, con abundantes lamélulas intercaladas, ventrudas, escotadas y decurrentes por un diente.
Pie de 2 a 3 veces más largo que el diámetro del sombrero, liso, de color crema uniforme, cilíndrico, sin ensanchamientos apreciables, con una pruína blanquecina en la parte media y rizomorfos blanquecinos adheridos a su base.
Olor y sabor poco pronunciados, con fondo harinoso.
Esporada blanquecina que en masa adquiere tonos rosados.
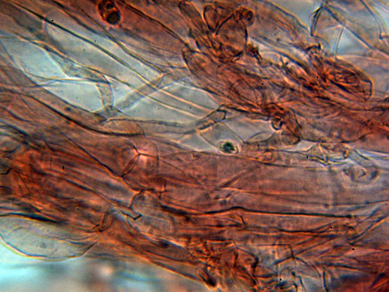
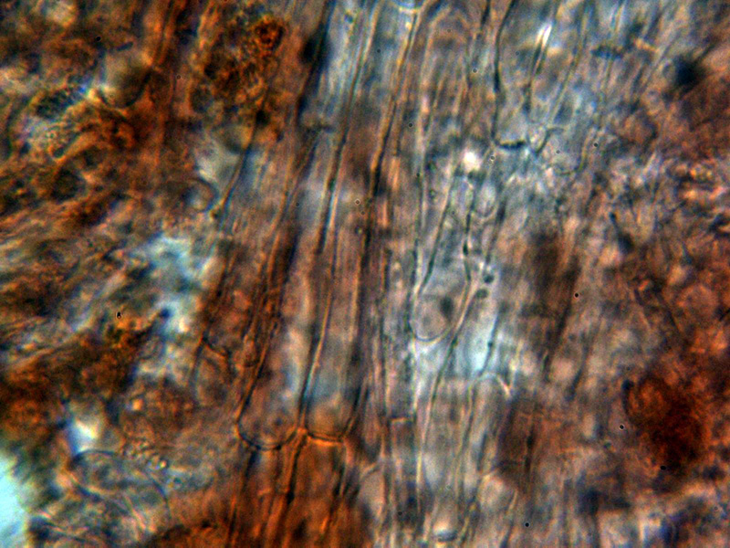
Microscopía:
Pileipellis filamentosa, con hifas hialinas fibuladas dispuestas más o menos paralelamente, con una anchura muy desigual de entre 3,3 a 15 micras.
Algunos pequeños caulocistidios aislados y dispersos en el pie, entre cilíndricos y piriformes y de hasta solo 19 micras.
Hifas del estípite fibuladas.
La parte más alta del pie actuaba a modo de himenio completamente cubierta de basidios y basidiolos.
Arista laminar homomorfa, sin elementos diferenciados de los basidios y basidiolos.
Trama laminar paralela y basidios tetraspóricos con unas medidas de 22 – 28.4 × 7.1 - 8.6 µm.
Esporas elipsoidales con un extremo apuntado, de pared algo verrucosa, con una gran gota lípida en su interior, apícula lateral, inamiloides al Melzer, en este medio se observa un contenido granuloso en su interior y con unas medidas de las esporas obtenidas por esporulación natural y en agua destilada de:
(5.9) 6.4 - 8.4 (9.8) × (3.5) 4.1 - 4.7 (5.1) µm
Q = (1.4) 1.5 - 1.9 (2.2) ; N = 40
Me = 7.5 × 4.4 µm ; Qe = 1.7
Las esporas en agua:
Las esporas en Reactivo de Melzer, inamiloides.
Saludos a tod@s.
Una pequeña seta fotografiada el 18 de Octubre de 2020 (Otoño), bajo pinos y a 1050 msnm. Agradecer a Plácido Iglesias su ayuda en la identificación de la especie.
Rhodophana nitellina (Fr.) Papetti
Sombrero de menos de 2 cm., entre convexo deprimido y umbilicado, de color marrón crema más oscuro en el centro para ir decolorándose al acercarnos al borde, con transparencia radial de las láminas.
Láminas blanquecinas o tan solo de un color crema más claro que el sombrero (entre 25 y 30 que llegan a alcanzar el pie), bastante espaciadas, con abundantes lamélulas intercaladas, ventrudas, escotadas y decurrentes por un diente.
Pie de 2 a 3 veces más largo que el diámetro del sombrero, liso, de color crema uniforme, cilíndrico, sin ensanchamientos apreciables, con una pruína blanquecina en la parte media y rizomorfos blanquecinos adheridos a su base.
Olor y sabor poco pronunciados, con fondo harinoso.
Esporada blanquecina que en masa adquiere tonos rosados.
Microscopía:
Pileipellis filamentosa, con hifas hialinas fibuladas dispuestas más o menos paralelamente, con una anchura muy desigual de entre 3,3 a 15 micras.
Algunos pequeños caulocistidios aislados y dispersos en el pie, entre cilíndricos y piriformes y de hasta solo 19 micras.
Hifas del estípite fibuladas.
La parte más alta del pie actuaba a modo de himenio completamente cubierta de basidios y basidiolos.
Arista laminar homomorfa, sin elementos diferenciados de los basidios y basidiolos.
Trama laminar paralela y basidios tetraspóricos con unas medidas de 22 – 28.4 × 7.1 - 8.6 µm.
Esporas elipsoidales con un extremo apuntado, de pared algo verrucosa, con una gran gota lípida en su interior, apícula lateral, inamiloides al Melzer, en este medio se observa un contenido granuloso en su interior y con unas medidas de las esporas obtenidas por esporulación natural y en agua destilada de:
(5.9) 6.4 - 8.4 (9.8) × (3.5) 4.1 - 4.7 (5.1) µm
Q = (1.4) 1.5 - 1.9 (2.2) ; N = 40
Me = 7.5 × 4.4 µm ; Qe = 1.7
Las esporas en agua:
Las esporas en Reactivo de Melzer, inamiloides.
Saludos a tod@s.
Adjuntos:
Última Edición: 3 años 11 meses antes por Josep Torres. Razón: Editar los saltos de línea
El siguiente usuario dijo gracias: Juan Andrés Román, Juan
Por favor, Identificarse para unirse a la conversación.
- Javi Calvo
-
- Fuera de línea
- Spammer
-
Menos
Más
- Mensajes: 7009
- Gracias recibidas: 2955
3 años 11 meses antes #107377
por Javi Calvo
Respuesta de Javi Calvo sobre el tema Rhodophana nitellina (Fr.) Papetti . Microscopía.
Una de las habituales que solemos ver en el pueblo, lástima que cuando estuvimos no estaba la cosa muy bien....
Por favor, Identificarse para unirse a la conversación.
- Josep Torres
-
Autor del tema
- Fuera de línea
- Moderador
-
Menos
Más
- Mensajes: 8746
- Gracias recibidas: 8379
3 años 11 meses antes #107378
por Josep Torres
Respuesta de Josep Torres sobre el tema Rhodophana nitellina (Fr.) Papetti . Microscopía.
El siguiente usuario dijo gracias: Juan Andrés Román, Juan
Por favor, Identificarse para unirse a la conversación.
- Foro
- Foros sobre Micología de fungipedia
- Microscopía
- Rhodophana nitellina (Fr.) Papetti . Microscopía.
Tiempo de carga de la página: 0.148 segundos



Foro de micología