Tres hongos sobre cono de Pinus halepensis
- Josep Torres
-
Autor del tema
- Fuera de línea
- Moderador
-
Menos
Más
- Mensajes: 8746
- Gracias recibidas: 8379
4 años 3 meses antes - 4 años 3 meses antes #106972
por Josep Torres
Tres hongos sobre cono de Pinus halepensis Publicado por Josep Torres
Hola a tod@s.
Sobre unos restos de piñas de Pinus halepensis recogidos el 29 de Octubre del pasado 2021.
El primero un Corticial, al no poder llegar a ninguna conclusión acerca de su identidad, opté por el análisis molecular, la secuenciación ITS ha determinado que se trata con una coincidencia del 100% de Lyomyces sp. JX857807
De color blanco crema, algo más claro en los bordes, de pequeño grosor (apenas 0,5 mm.), superficie algo resquebrajada por la sequía y el borde ligeramente hiloso.
Sistema hifal monomítico con hifas generativas hialinas y fibuladas, sin ensanchamientos apreciables, con ramificaciones en ángulo recto y con una anchura de entre 2,2 a 3 micras.
Con numerosos cristales observados en las muestras.
Himenio con basidios tetraspóricos y aunque no se observan cistidios claramente diferenciados, si hay presentes bastantes terminaciones hifoides más estrechas que los basidios y terminando en formas más o menos fusiformes o cilíndricas.
Basidios tetraspóricos:
Himenio en Reactivo de Melzer:
Esporas de pared fina, elipsoides, con apícula lateral, una o dos grandes gotas lípidas en su interior y unas medidas en agua de:
(5.6) 5.9 - 6.7 (6.9) × (3.3) 3.5 - 3.8 (4.5) µm
Q = (1.5) 1.6 - 1.9 (2) ; N = 40
Me = 6.4 × 3.7 µm ; Qe = 1.7
Esporas obtenidas por esporulación natural y en agua:
Al Melzer presentan una reacción inamiloide o en todo caso muy ligeramente amiloide.
Observaciones: Atendiendo a las Claves del documento "Towards a Natural Classification of Hyphodontia Sensu Lato and the Trait Evolution of Basidiocarps within Hymenochaetales (Basidiomycota)" revisado en Junio de 2021, con himenóforo liso, cistidios no capitados, esporas con una anchura por debajo de las 5,5 μm., y cistidios entre fusiformes y cilíndricos me conducen al Lyomyces organensis, como no encuentro ninguna información de la especie, quizás lo más sensato sería dejarlo abierto como Lyomyces cf. organensis
Y por la parte superior un Pleosporal, Agradecer a Hermann Voglmayr de la Universidad de Viena su ayuda en privado para la determinación de la especie:
Curreya conorum (Fuckel) Sacc.
Sinonimias: Pleospora conorum
El epíteto conorum hace referencia al sustrato (piñas de coníferas)
Una ampliación a 40 aumentos:
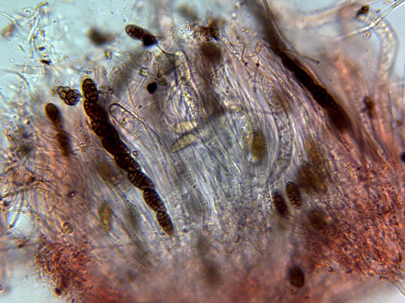
Himenio a 400 aumentos:
Ascos octospóricos, uniseriados, sin croziers observados en su base.
Paráfisis filiformes, hialinas y algunas ramificadas, sobresaliendo por encima del nivel de los ascos.
Ascosporas moriformes de color marrón, con un constreñimiento en su parte central y con entre 5 y 7 septos transversales.
Las medidas de las ascosporas de:
(19.4) 20.5 - 25.9 (28.5) × (7.3) 8.2 - 10.8 (11.2) µm
Q = (2.1) 2.2 - 2.9 (3.1) ; N = 31
Me = 22.8 × 9.2 µm ; Qe = 2.5
Y como no hay dos sin tres, un poco escondidos y por la parte de debajo tenemos la:
Coniochaeta aff. obliquata = Rosellinia aff. obliquata
Muy diminutos peritecios de color negro y de entre 0,15 a 0,20 mm.
Peritecios a 40 aumentos:
El aspecto y morfología esporal llevan a Coniochaeta/Rosellinia, pocos elementos a observar, con solo un colapso de esporas en las muestras:
Las esporas con unas medidas de:
(19.4) 20.5 - 25.9 (28.5) × (7.3) 8.2 - 10.8 (11.2) µm
Q = (2.1) 2.2 - 2.9 (3.1) ; N = 31
Me = 22.8 × 9.2 µm ; Qe = 2.5
Especie con muy poca información en la red, dejo el enlace de un trabajo del maestro Enrique Rubio de la especie sobre el mismo sustrato:
www.ascofrance.fr/recolte/5016/sordariom...oniochaeta-obliquata
En el presente estudio las esporas con unas medidas ligeramente por encima de las del enlace, por lo que lo mejor es dejarlo como lo más parecido es decir Rosellinia aff. obliquata
Saludos a tod@s.
Sobre unos restos de piñas de Pinus halepensis recogidos el 29 de Octubre del pasado 2021.
El primero un Corticial, al no poder llegar a ninguna conclusión acerca de su identidad, opté por el análisis molecular, la secuenciación ITS ha determinado que se trata con una coincidencia del 100% de Lyomyces sp. JX857807
De color blanco crema, algo más claro en los bordes, de pequeño grosor (apenas 0,5 mm.), superficie algo resquebrajada por la sequía y el borde ligeramente hiloso.
Sistema hifal monomítico con hifas generativas hialinas y fibuladas, sin ensanchamientos apreciables, con ramificaciones en ángulo recto y con una anchura de entre 2,2 a 3 micras.
Con numerosos cristales observados en las muestras.
Himenio con basidios tetraspóricos y aunque no se observan cistidios claramente diferenciados, si hay presentes bastantes terminaciones hifoides más estrechas que los basidios y terminando en formas más o menos fusiformes o cilíndricas.
Basidios tetraspóricos:
Himenio en Reactivo de Melzer:
Esporas de pared fina, elipsoides, con apícula lateral, una o dos grandes gotas lípidas en su interior y unas medidas en agua de:
(5.6) 5.9 - 6.7 (6.9) × (3.3) 3.5 - 3.8 (4.5) µm
Q = (1.5) 1.6 - 1.9 (2) ; N = 40
Me = 6.4 × 3.7 µm ; Qe = 1.7
Esporas obtenidas por esporulación natural y en agua:
Al Melzer presentan una reacción inamiloide o en todo caso muy ligeramente amiloide.
Observaciones: Atendiendo a las Claves del documento "Towards a Natural Classification of Hyphodontia Sensu Lato and the Trait Evolution of Basidiocarps within Hymenochaetales (Basidiomycota)" revisado en Junio de 2021, con himenóforo liso, cistidios no capitados, esporas con una anchura por debajo de las 5,5 μm., y cistidios entre fusiformes y cilíndricos me conducen al Lyomyces organensis, como no encuentro ninguna información de la especie, quizás lo más sensato sería dejarlo abierto como Lyomyces cf. organensis
Y por la parte superior un Pleosporal, Agradecer a Hermann Voglmayr de la Universidad de Viena su ayuda en privado para la determinación de la especie:
Curreya conorum (Fuckel) Sacc.
Sinonimias: Pleospora conorum
El epíteto conorum hace referencia al sustrato (piñas de coníferas)
Una ampliación a 40 aumentos:
Himenio a 400 aumentos:
Ascos octospóricos, uniseriados, sin croziers observados en su base.
Paráfisis filiformes, hialinas y algunas ramificadas, sobresaliendo por encima del nivel de los ascos.
Ascosporas moriformes de color marrón, con un constreñimiento en su parte central y con entre 5 y 7 septos transversales.
Las medidas de las ascosporas de:
(19.4) 20.5 - 25.9 (28.5) × (7.3) 8.2 - 10.8 (11.2) µm
Q = (2.1) 2.2 - 2.9 (3.1) ; N = 31
Me = 22.8 × 9.2 µm ; Qe = 2.5
Y como no hay dos sin tres, un poco escondidos y por la parte de debajo tenemos la:
Coniochaeta aff. obliquata = Rosellinia aff. obliquata
Muy diminutos peritecios de color negro y de entre 0,15 a 0,20 mm.
Peritecios a 40 aumentos:
El aspecto y morfología esporal llevan a Coniochaeta/Rosellinia, pocos elementos a observar, con solo un colapso de esporas en las muestras:
Las esporas con unas medidas de:
(19.4) 20.5 - 25.9 (28.5) × (7.3) 8.2 - 10.8 (11.2) µm
Q = (2.1) 2.2 - 2.9 (3.1) ; N = 31
Me = 22.8 × 9.2 µm ; Qe = 2.5
Especie con muy poca información en la red, dejo el enlace de un trabajo del maestro Enrique Rubio de la especie sobre el mismo sustrato:
www.ascofrance.fr/recolte/5016/sordariom...oniochaeta-obliquata
En el presente estudio las esporas con unas medidas ligeramente por encima de las del enlace, por lo que lo mejor es dejarlo como lo más parecido es decir Rosellinia aff. obliquata
Saludos a tod@s.
Adjuntos:
Última Edición: 4 años 3 meses antes por Josep Torres. Razón: Editar los saltos de línea
El siguiente usuario dijo gracias: Juan Andrés Román
Por favor, Identificarse para unirse a la conversación.
- Juan Andrés Román
-
- Fuera de línea
- Spammer
-
Menos
Más
- Mensajes: 2558
- Gracias recibidas: 2756
4 años 2 meses antes #106974
por Juan Andrés Román
Respuesta de Juan Andrés Román sobre el tema Tres hongos sobre cono de Pinus halepensis
Bueno Josep pues otros 3 mas de piñas...................
Saludos.
Saludos.
El siguiente usuario dijo gracias: Josep Torres
Por favor, Identificarse para unirse a la conversación.
- Josep Torres
-
Autor del tema
- Fuera de línea
- Moderador
-
Menos
Más
- Mensajes: 8746
- Gracias recibidas: 8379
4 años 2 meses antes #106978
por Josep Torres
Respuesta de Josep Torres sobre el tema Tres hongos sobre cono de Pinus halepensis
El siguiente usuario dijo gracias: Juan Andrés Román
Por favor, Identificarse para unirse a la conversación.
Tiempo de carga de la página: 0.269 segundos



Foro de micología