- Foro
- Foros sobre Micología de fungipedia
- Microscopía
- Unilacryma aff. bispora y un líquen. Microscopía.
Unilacryma aff. bispora y un líquen. Microscopía.
- Josep Torres
-
Autor del tema
- Conectado
- Moderador
-
Menos
Más
- Mensajes: 8746
- Gracias recibidas: 8379
4 años 11 meses antes #105814
por Josep Torres
Hola a tod@s.
Un par de especies nuevas más de lo que dió de si la recogida de muestras del domingo día 9 de Mayo en el "Sabinar de la Retuerta" (Pina de Ebro) bajo un oásis de Juniperus thurifera en medio del desierto der Los Monegros.
La primera me despistó por completo su aspecto ya que parecía un pequeño pirenomiceto negro sobre un diminuto
tronco.
Unilacryma aff. bispora JC Zamora & S. Ekman (2020)
Al hidratar el tronco ya cambió por completo su aspecto, un par de imágenes a 20 aumentos:
Y otro par de imágenes ya a 40 aumentos, unos pequeños apotecios de tan solo entre 0,8 a 1,5 mm. de diámetro:
Hifas del contexto con fíbulas e inmersas dentro de una matriz gelatinizada:
Hifas terminales ramificadas:
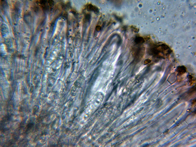
Basidios bispóricos con largos esterigmas:
Esporas libres en las muestras:
Esporas obtenidas por esporulación natural:
Las medidas de las esporas de:
(15.2) 17.1 - 19.7 (20.6) × (9) 9.8 - 10.8 (11.3) µm
Q = (1.5) 1.7 - 1.9 (2.2) ; N = 43
Me = 18.5 × 10.2 µm ; Qe = 1.8
Nota: Al comprobar su microscopía ya tenía muy claro que se trataba de un Dacrymyceto, depués de buscar entre las Claves de Dacrymyces de "Taxonomic studies in the dacrymycetaceae VIII. Dacrymyces Nees ex Fries (1973)" y también en las Claves de Dacrymyces de "After McNabb" al no encontrar ninguna especie de Dacrymyces que encajara con mi propuesta, tuve que contrastar mi estudio con la última revisión del género, publicada en el documento "Phylogeny and character evolution in the Dacrymycetes, and systematics of Unilacrymaceae and Dacryonaemataceae fam. nov." de 2020.
La morfología esporal con esporas ovoides a elipsoides e hifidios ramificados me llevan a una Unilacrymaceae, con un solo género "Unilacryma" y solo dos especies descitas, la Unilacryma unispora con basidios de solo una espora y esporas más estrechas y la Unilacryma bispora con basidios bispóricos y esporas según el documento con unas medidas de (10.4–)12.4–18.2(–19.7) × (7.2–)8.2–10.4(–12.4) μm, estas medidas se corresponderían perfectamente con las de mi estudio, al igual que el cociente Q., según el estudio de Q = (1.2–)1.4–1.9(–2.2), también encajarían el aspecto y las medidas de los basidiomas, según el documento de entre 0,3 a 1,5 mm. y su color entre ámbar a parduzco. Lo que ya no se corresponde tanto sería el hábitat ya que si bien a la Unilacryma unispora la sitúan sobre Juniperus spp., a la Unilacryma bispora se considera mas propia de Pinus sylvestris, tampoco parece encajar los tres septos que presentan mayoritariamente las esporas (la presencia de 3 septos en el género Unilacryma se considera rara), por este detalle he tenido que considerar además una posible Cerinomyces, sin ninguna especie del género que encaje minimamente con mi propuesta. La conclusión es que si bien no se trata de la Unilacryma bispora, ya tiene que tratarse dado lo exclusivo del Huésped "Juniperus thuretiana" de alguna nueva especie no descrita hasta la fecha y eso sí muy cercana ya a la Unilacryma bispora.
Y sobre el suelo calcáreo un líquen:
Gyalolechia fulgida (Nyl.) Søchting, Frödén y Arup
También conocido como Fulgensia fulgida.
Agradecer a Francis Maggi y a Jennifer Fiorentino su ayuda en la determinación de la especie (con los líquenes soy un desastre)
Ascos octospóricos, con esporas cilíndricas con un extemo mas ensanchado y mayoritariamente con un consteñimiento en el centro, sin septos y con unas medidas de las esporas libres de (12.9) 14.1 - 17.1 (18.1) × (4.5) 4.6 - 5.9 (6.5) µm y las obtenidas por esporulación narural de (12.6) 14.1 - 16.3 (17.2) × (4.5) 5.1 - 6.5 (6.6) µm.
Práfisis con múltiples septos, sin ramificaciones observadas y con un ensanchamiento en el ápice. Himenio cubierto por una sustancia amorfa con pigmento anaranjado.
Al aplicar KOH la parte superior del himenio al igual que el talo se tiñen de un color violáceo.
Un par de imágenes tomadas en el sitio:
Apotecios ampliados a 40 aumentos:
Ascos a 1000 aumentos:
Himenio a 400 aumentos en KOH:
Y a 1000 aumentos:
Las paráfisis:
Composición de las esporas libres observadas en las muestras preparadas:
Y por último las esporas obtenidas por esporulación natural:
Saludos a tod@s.
Un par de especies nuevas más de lo que dió de si la recogida de muestras del domingo día 9 de Mayo en el "Sabinar de la Retuerta" (Pina de Ebro) bajo un oásis de Juniperus thurifera en medio del desierto der Los Monegros.
La primera me despistó por completo su aspecto ya que parecía un pequeño pirenomiceto negro sobre un diminuto
tronco.
Unilacryma aff. bispora JC Zamora & S. Ekman (2020)
Al hidratar el tronco ya cambió por completo su aspecto, un par de imágenes a 20 aumentos:
Y otro par de imágenes ya a 40 aumentos, unos pequeños apotecios de tan solo entre 0,8 a 1,5 mm. de diámetro:
Hifas del contexto con fíbulas e inmersas dentro de una matriz gelatinizada:
Hifas terminales ramificadas:
Basidios bispóricos con largos esterigmas:
Esporas libres en las muestras:
Esporas obtenidas por esporulación natural:
Las medidas de las esporas de:
(15.2) 17.1 - 19.7 (20.6) × (9) 9.8 - 10.8 (11.3) µm
Q = (1.5) 1.7 - 1.9 (2.2) ; N = 43
Me = 18.5 × 10.2 µm ; Qe = 1.8
Nota: Al comprobar su microscopía ya tenía muy claro que se trataba de un Dacrymyceto, depués de buscar entre las Claves de Dacrymyces de "Taxonomic studies in the dacrymycetaceae VIII. Dacrymyces Nees ex Fries (1973)" y también en las Claves de Dacrymyces de "After McNabb" al no encontrar ninguna especie de Dacrymyces que encajara con mi propuesta, tuve que contrastar mi estudio con la última revisión del género, publicada en el documento "Phylogeny and character evolution in the Dacrymycetes, and systematics of Unilacrymaceae and Dacryonaemataceae fam. nov." de 2020.
La morfología esporal con esporas ovoides a elipsoides e hifidios ramificados me llevan a una Unilacrymaceae, con un solo género "Unilacryma" y solo dos especies descitas, la Unilacryma unispora con basidios de solo una espora y esporas más estrechas y la Unilacryma bispora con basidios bispóricos y esporas según el documento con unas medidas de (10.4–)12.4–18.2(–19.7) × (7.2–)8.2–10.4(–12.4) μm, estas medidas se corresponderían perfectamente con las de mi estudio, al igual que el cociente Q., según el estudio de Q = (1.2–)1.4–1.9(–2.2), también encajarían el aspecto y las medidas de los basidiomas, según el documento de entre 0,3 a 1,5 mm. y su color entre ámbar a parduzco. Lo que ya no se corresponde tanto sería el hábitat ya que si bien a la Unilacryma unispora la sitúan sobre Juniperus spp., a la Unilacryma bispora se considera mas propia de Pinus sylvestris, tampoco parece encajar los tres septos que presentan mayoritariamente las esporas (la presencia de 3 septos en el género Unilacryma se considera rara), por este detalle he tenido que considerar además una posible Cerinomyces, sin ninguna especie del género que encaje minimamente con mi propuesta. La conclusión es que si bien no se trata de la Unilacryma bispora, ya tiene que tratarse dado lo exclusivo del Huésped "Juniperus thuretiana" de alguna nueva especie no descrita hasta la fecha y eso sí muy cercana ya a la Unilacryma bispora.
Y sobre el suelo calcáreo un líquen:
Gyalolechia fulgida (Nyl.) Søchting, Frödén y Arup
También conocido como Fulgensia fulgida.
Agradecer a Francis Maggi y a Jennifer Fiorentino su ayuda en la determinación de la especie (con los líquenes soy un desastre)
Ascos octospóricos, con esporas cilíndricas con un extemo mas ensanchado y mayoritariamente con un consteñimiento en el centro, sin septos y con unas medidas de las esporas libres de (12.9) 14.1 - 17.1 (18.1) × (4.5) 4.6 - 5.9 (6.5) µm y las obtenidas por esporulación narural de (12.6) 14.1 - 16.3 (17.2) × (4.5) 5.1 - 6.5 (6.6) µm.
Práfisis con múltiples septos, sin ramificaciones observadas y con un ensanchamiento en el ápice. Himenio cubierto por una sustancia amorfa con pigmento anaranjado.
Al aplicar KOH la parte superior del himenio al igual que el talo se tiñen de un color violáceo.
Un par de imágenes tomadas en el sitio:
Apotecios ampliados a 40 aumentos:
Ascos a 1000 aumentos:
Himenio a 400 aumentos en KOH:
Y a 1000 aumentos:
Las paráfisis:
Composición de las esporas libres observadas en las muestras preparadas:
Y por último las esporas obtenidas por esporulación natural:
Saludos a tod@s.
Adjuntos:
El siguiente usuario dijo gracias: Juan Andrés Román
Por favor, Identificarse para unirse a la conversación.
- Juan Andrés Román
-
- Fuera de línea
- Spammer
-
Menos
Más
- Mensajes: 2558
- Gracias recibidas: 2756
4 años 10 meses antes #105815
por Juan Andrés Román
Respuesta de Juan Andrés Román sobre el tema Unilacryma aff. bispora y un líquen. Microscopía.
El siguiente usuario dijo gracias: Josep Torres
Por favor, Identificarse para unirse a la conversación.
- Josep Torres
-
Autor del tema
- Conectado
- Moderador
-
Menos
Más
- Mensajes: 8746
- Gracias recibidas: 8379
4 años 10 meses antes #105820
por Josep Torres
Respuesta de Josep Torres sobre el tema Unilacryma aff. bispora y un líquen. Microscopía.
El siguiente usuario dijo gracias: Juan Andrés Román
Por favor, Identificarse para unirse a la conversación.
- Foro
- Foros sobre Micología de fungipedia
- Microscopía
- Unilacryma aff. bispora y un líquen. Microscopía.
Tiempo de carga de la página: 0.233 segundos



Foro de micología