- Foro
- Foros sobre Micología de fungipedia
- Microscopía
- Alerta seteros: Mycena dura Maas Geest. & Hauskn. (1994)
Alerta seteros: Mycena dura Maas Geest. & Hauskn. (1994)
- Josep Torres
-
Autor del tema
- Conectado
- Moderador
-
Menos
Más
- Mensajes: 8746
- Gracias recibidas: 8379
5 años 2 meses antes - 5 años 2 meses antes #105448
por Josep Torres
Hola a tod@s.
Este tema es para advertir de la presencia en nuestra Península de una Mycena muy tóxica que los seteros poco experimentados, pueden confundir fácilmente con las senderuelas (Marasmius oreades), ya que comparte hábitat con ellas, además esta Mycena se caracteriza por la dureza y tenacidad de su pie, el cuál aguanta perfectamente hasta 3 vueltas de torsión. Dada la importancia de este hallazgo, para poder confirmar con seguridad su identidad opté por el análisis molecular, la secuenciación ITS determinó que coincidía molecularmente con la: Mycena dura Maas Geest. & Hauskn. (1994)Empezamos con un poco de historia:
Nos situamos a finales de Otoño de 1991 en Austria, después de que tres personas ingirieran un hongo que confundieron con Marasmius oreades, y que sufrieran síntomas de intoxicación, requiriendo el ingreso hospitalario, se determinó que el hongo causante de la misma pertenecía al género Mycena, después de varios estudios y ya en 1994 surgió un nuevo taxón del género, registrado como Mycena dura por Maas Geesteranus & Hausknecht.En la etimología el término "durus" (en latín) hace referencia a la consistencia del pie.Sus diferencias a nivel macro con la Mycena pura tipo, son la ausencia de colores morados y rosados del basidioma especialmente en estado adulto, la tenacidad de su pie, su modo de crecimiento fasciculado y su preferencia por pastizales, siendo prácticamente este el único hábitat exclusivo.
Ejemplares fotografiados el 11 de Octubre (principios de Otoño). Las imágenes fueron tomadas en una campa frecuentada por ganado vacuno, en el Prepirineo Catalán y a 1600 msnm., en un lugar cercano al pequeño pueblo ahora ya abandonado de Larén (Lleida), los únicos árboles de cierta envergadura que había por la zona eran el Crataegus monogyna y unos Juniperus (no recuerdo si communis u oxycedrus).
Sombrero pequeño, no más de 2 o a lo sumo 3 cm.,(aunque según la literatura puede llegar a los 6 cm.), muy frágil (se puede apreciar en la primera de las imágenes con un trozo de sombrero roto), de forma campanulada para pasar a convexa con el desarrollo, aplanándose y en algunos ejemplares más desarrollados manteniendo un discreto umbón en el centro, de color pardo crema claro bastante uniforme en tiempo húmedo, más oscuro en los ejemplares jóvenes, en tiempo seco con tintes grisáceos, decolorándose con la edad permaneciendo algo más oscuro en el centro, higrófano, al desecarse de decolora a tonos más blanquecinos con tintes grisáceos, aunque no se aprecia una clara transparencia radial de las láminas, si que puede apreciarse esta transparencia en el borde del sombrero adoptando un aspecto rugoso por el efecto de las láminas, esto se nota especialmente en los ejemplares adultos.
Láminas escotadas que algunas parece que llegan a alcanzar el pie (adnatas), aunque sin llegar a decurrir por un diente, bastante ventrudas, medianamente espaciadas con un número superior a 30 (según la diagnosis original 35) y con abundantes lamélulas y sublamélulas, de color blanco a tímidamente crema-rosado, más claras que el sombrero y con la arista concolora.
Pie 2 veces y en algunos ejemplares hasta 3 veces más largo que el diámetro del sombrero, hueco y fibrado longitudinalmente, que aguanta hasta 2 o 3 vueltas de torsión sobre sí mismo, pie cilíndrico algo irregular con tímidos ensanchamientos especialmente en el centro, con surcos longitudinales y de un color blanco crema más claro que el sombrero, superficie glabra, algo pruinosa bajo el sombrero y con la base de color blanco, tomentosa, con tímidos y discretos restos miceliales adheridos a su base, sin ningún bulbo y tampoco ensanchamiento observado, con un modo de crecimiento fasciculado, los 5 ejemplares de la primera imagen estaban unidos por el pie, detalle que se observa bien en los dos ejemplares de la tercera imagen.
Olor fúngico suave, no sabría explicarlo como a tierra mojada aunque muy discreto, no ciánico, y un sabor muy insípido, como a patata cruda y que al rato largo de masticación dejaba un fondo ligeramente amargo.
Carne escasa de color blanquecino.
Esporada en masa de color blanco.
Y la microscopía:
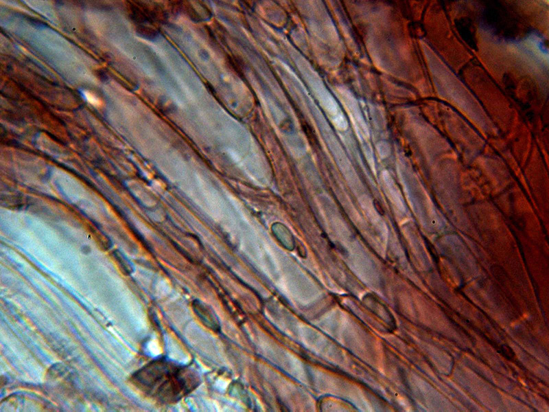
Suprapellis con hifas de subcilíndricas a fusiformes, con inflamientos hasta 17 µm.
Suprapellis en agua a 400 aumentos:
Suprapellis a 1000 aumentos con fíbulas:
Hifas corticiales de la estipitipellis de hasta 4 µm. de ancho, al igual que la pileipellis con fíbulas presentes en todos los tejidos.
Caulocistidios presentes, subcilindricos, con fíbulas en su base y con una anchura de hasta las 10 µm.
Caulocistidios a 400 aumentos:
Una imagen de los caulocistidios a 1000 aumentos, con uno de excepcional con una anchura de 14 µm.
Basidios mayoritariamente tetraspóricos y con unas medidas de (30.7) 32.5 - 34.9 (36.9) × (5.9) 6.6 - 9.6 (9.7) µm., estos basidios con unas medidas por encima de los de la Mycena pura (27-30 x 6-8 µm.)
Aunque no lo cita la bibliografía de la especie, debido a que encontré alguna espora con un tamaño considerablemente por encima de las demás, seguí buscando hasta dar con el posible causante, al parecer (aunque muy escasos) esta especie puede presentar algún basidio bispórico.
La diferencia principal con la Mycena pura esta en la disposición de los queilocistidios, si bien en la Mycena pura ocupan toda la arista laminar dejándola totalmente estéril, en el caso de la Mycena dura, aunque son muy abundantes, van alternando los espacios con zonas fértiles de basidios y basidiolos, las medidas de los queilocistidios de (43.6) 48.7 - 62.3 (80.9) × (12.1) 14.4 - 17.8 (20.3) µm. medidas muy parecidas a las de la Mycena pura.
Los queilocistidios a 400 aumentos:
Queilocistidios a 1000 aumentos
:Una imágen de la arista laminar sin queilocistidios, a destacar el pedúnculo del queilocistidio suelto que se puede ver tumbado en la imagen:
Pleurocistidios apareciendo de forma más dispersa, con una morfología parecida a los queilocistidios y unas medidas de 50.1 - 62.05 (62.1) × 16.3 - 21.3 µm.
Y las esporas ampliamente elipsoidales, algunas algo alantoides, de pared fina, con apícula lateral y con unas medidas de:
(7,8) 8.5 - 10.8 (12.1) × (4.4) 4.5 - 5.5 (5.7) µm
Q = (1.7) 1.73 - 2 (2.3) ; N = 30
Me = 9.5 × 5 µm ; Qe = 1.9
Estas medidas se encuentran considerablemente por encima de las que suele presentar la Mycena pura tipo (6-9.5 x 4-5.2 µm.), en los cinco estudios que he realizado a la Mycena pura las medidas esporales se encontraban todas dentro del rango entre las 6,3 y las 9,4 µm., en esta ocasión con una media ya de 9,5 µm., con alguna espora superando las 12 µm.
Esporas en Rojo Congo diluido:
Un par de imágenes de las esporas en agua, donde he remarcado con un círculo las esporas con unas medidas muy superiores al resto:
Y las esporas en Reactivo de Melzer, al igual que sus congéneres con una reacción amiloide:
Según la descripción de la Mycena dura del documento de "The Mycenas of Northern Europe" está citado en Austria y también conocido en Suiza, Italia y los Países Bajos (Arnolds et al. 2015). También hay secuencias coincidentes de Suecia y Dinamarca (Olariaga et al. 2015).Aunque en el documento no se cita su presencia en Nuestra Península, si que he encontrado una imágen de una supuesta Mycena dura tomada en el año 2006 en el pueblo Burgalés de Galbarros, esta imágen sirvió de base para la elaboración de la ficha de MycoDb.
Ningun autor cita a la Mycena dura como posible confusión con las senderuelas, intuyo por la poca o casi nula presencia de esta, aunque deberemos estar atentos a partir de ahora por si se va extendiendo ya que la prueba de aplicar torsión al pie ya no nos va a servir para librarnos de una intoxicación.
Saludos a tod@s.
Este tema es para advertir de la presencia en nuestra Península de una Mycena muy tóxica que los seteros poco experimentados, pueden confundir fácilmente con las senderuelas (Marasmius oreades), ya que comparte hábitat con ellas, además esta Mycena se caracteriza por la dureza y tenacidad de su pie, el cuál aguanta perfectamente hasta 3 vueltas de torsión. Dada la importancia de este hallazgo, para poder confirmar con seguridad su identidad opté por el análisis molecular, la secuenciación ITS determinó que coincidía molecularmente con la: Mycena dura Maas Geest. & Hauskn. (1994)Empezamos con un poco de historia:
Nos situamos a finales de Otoño de 1991 en Austria, después de que tres personas ingirieran un hongo que confundieron con Marasmius oreades, y que sufrieran síntomas de intoxicación, requiriendo el ingreso hospitalario, se determinó que el hongo causante de la misma pertenecía al género Mycena, después de varios estudios y ya en 1994 surgió un nuevo taxón del género, registrado como Mycena dura por Maas Geesteranus & Hausknecht.En la etimología el término "durus" (en latín) hace referencia a la consistencia del pie.Sus diferencias a nivel macro con la Mycena pura tipo, son la ausencia de colores morados y rosados del basidioma especialmente en estado adulto, la tenacidad de su pie, su modo de crecimiento fasciculado y su preferencia por pastizales, siendo prácticamente este el único hábitat exclusivo.
Ejemplares fotografiados el 11 de Octubre (principios de Otoño). Las imágenes fueron tomadas en una campa frecuentada por ganado vacuno, en el Prepirineo Catalán y a 1600 msnm., en un lugar cercano al pequeño pueblo ahora ya abandonado de Larén (Lleida), los únicos árboles de cierta envergadura que había por la zona eran el Crataegus monogyna y unos Juniperus (no recuerdo si communis u oxycedrus).
Sombrero pequeño, no más de 2 o a lo sumo 3 cm.,(aunque según la literatura puede llegar a los 6 cm.), muy frágil (se puede apreciar en la primera de las imágenes con un trozo de sombrero roto), de forma campanulada para pasar a convexa con el desarrollo, aplanándose y en algunos ejemplares más desarrollados manteniendo un discreto umbón en el centro, de color pardo crema claro bastante uniforme en tiempo húmedo, más oscuro en los ejemplares jóvenes, en tiempo seco con tintes grisáceos, decolorándose con la edad permaneciendo algo más oscuro en el centro, higrófano, al desecarse de decolora a tonos más blanquecinos con tintes grisáceos, aunque no se aprecia una clara transparencia radial de las láminas, si que puede apreciarse esta transparencia en el borde del sombrero adoptando un aspecto rugoso por el efecto de las láminas, esto se nota especialmente en los ejemplares adultos.
Láminas escotadas que algunas parece que llegan a alcanzar el pie (adnatas), aunque sin llegar a decurrir por un diente, bastante ventrudas, medianamente espaciadas con un número superior a 30 (según la diagnosis original 35) y con abundantes lamélulas y sublamélulas, de color blanco a tímidamente crema-rosado, más claras que el sombrero y con la arista concolora.
Pie 2 veces y en algunos ejemplares hasta 3 veces más largo que el diámetro del sombrero, hueco y fibrado longitudinalmente, que aguanta hasta 2 o 3 vueltas de torsión sobre sí mismo, pie cilíndrico algo irregular con tímidos ensanchamientos especialmente en el centro, con surcos longitudinales y de un color blanco crema más claro que el sombrero, superficie glabra, algo pruinosa bajo el sombrero y con la base de color blanco, tomentosa, con tímidos y discretos restos miceliales adheridos a su base, sin ningún bulbo y tampoco ensanchamiento observado, con un modo de crecimiento fasciculado, los 5 ejemplares de la primera imagen estaban unidos por el pie, detalle que se observa bien en los dos ejemplares de la tercera imagen.
Olor fúngico suave, no sabría explicarlo como a tierra mojada aunque muy discreto, no ciánico, y un sabor muy insípido, como a patata cruda y que al rato largo de masticación dejaba un fondo ligeramente amargo.
Carne escasa de color blanquecino.
Esporada en masa de color blanco.
Y la microscopía:
Suprapellis con hifas de subcilíndricas a fusiformes, con inflamientos hasta 17 µm.
Suprapellis en agua a 400 aumentos:
Suprapellis a 1000 aumentos con fíbulas:
Hifas corticiales de la estipitipellis de hasta 4 µm. de ancho, al igual que la pileipellis con fíbulas presentes en todos los tejidos.
Caulocistidios presentes, subcilindricos, con fíbulas en su base y con una anchura de hasta las 10 µm.
Caulocistidios a 400 aumentos:
Una imagen de los caulocistidios a 1000 aumentos, con uno de excepcional con una anchura de 14 µm.
Basidios mayoritariamente tetraspóricos y con unas medidas de (30.7) 32.5 - 34.9 (36.9) × (5.9) 6.6 - 9.6 (9.7) µm., estos basidios con unas medidas por encima de los de la Mycena pura (27-30 x 6-8 µm.)
Aunque no lo cita la bibliografía de la especie, debido a que encontré alguna espora con un tamaño considerablemente por encima de las demás, seguí buscando hasta dar con el posible causante, al parecer (aunque muy escasos) esta especie puede presentar algún basidio bispórico.
La diferencia principal con la Mycena pura esta en la disposición de los queilocistidios, si bien en la Mycena pura ocupan toda la arista laminar dejándola totalmente estéril, en el caso de la Mycena dura, aunque son muy abundantes, van alternando los espacios con zonas fértiles de basidios y basidiolos, las medidas de los queilocistidios de (43.6) 48.7 - 62.3 (80.9) × (12.1) 14.4 - 17.8 (20.3) µm. medidas muy parecidas a las de la Mycena pura.
Los queilocistidios a 400 aumentos:
Queilocistidios a 1000 aumentos
:Una imágen de la arista laminar sin queilocistidios, a destacar el pedúnculo del queilocistidio suelto que se puede ver tumbado en la imagen:
Pleurocistidios apareciendo de forma más dispersa, con una morfología parecida a los queilocistidios y unas medidas de 50.1 - 62.05 (62.1) × 16.3 - 21.3 µm.
Y las esporas ampliamente elipsoidales, algunas algo alantoides, de pared fina, con apícula lateral y con unas medidas de:
(7,8) 8.5 - 10.8 (12.1) × (4.4) 4.5 - 5.5 (5.7) µm
Q = (1.7) 1.73 - 2 (2.3) ; N = 30
Me = 9.5 × 5 µm ; Qe = 1.9
Estas medidas se encuentran considerablemente por encima de las que suele presentar la Mycena pura tipo (6-9.5 x 4-5.2 µm.), en los cinco estudios que he realizado a la Mycena pura las medidas esporales se encontraban todas dentro del rango entre las 6,3 y las 9,4 µm., en esta ocasión con una media ya de 9,5 µm., con alguna espora superando las 12 µm.
Esporas en Rojo Congo diluido:
Un par de imágenes de las esporas en agua, donde he remarcado con un círculo las esporas con unas medidas muy superiores al resto:
Y las esporas en Reactivo de Melzer, al igual que sus congéneres con una reacción amiloide:
Según la descripción de la Mycena dura del documento de "The Mycenas of Northern Europe" está citado en Austria y también conocido en Suiza, Italia y los Países Bajos (Arnolds et al. 2015). También hay secuencias coincidentes de Suecia y Dinamarca (Olariaga et al. 2015).Aunque en el documento no se cita su presencia en Nuestra Península, si que he encontrado una imágen de una supuesta Mycena dura tomada en el año 2006 en el pueblo Burgalés de Galbarros, esta imágen sirvió de base para la elaboración de la ficha de MycoDb.
Ningun autor cita a la Mycena dura como posible confusión con las senderuelas, intuyo por la poca o casi nula presencia de esta, aunque deberemos estar atentos a partir de ahora por si se va extendiendo ya que la prueba de aplicar torsión al pie ya no nos va a servir para librarnos de una intoxicación.
Saludos a tod@s.
Adjuntos:
Última Edición: 5 años 2 meses antes por Josep Torres. Razón: Una falta de ortografía
El siguiente usuario dijo gracias: Juan Andrés Román
Por favor, Identificarse para unirse a la conversación.
- Juan Andrés Román
-
- Fuera de línea
- Spammer
-
Menos
Más
- Mensajes: 2558
- Gracias recibidas: 2756
5 años 2 meses antes #105480
por Juan Andrés Román
Respuesta de Juan Andrés Román sobre el tema Alerta seteros: Mycena dura Maas Geest. & Hauskn. (1994)
Un trabajo exquisito Josep
de esta Mycen dura. Podemos añadirla como comentas a las confusiones de Marasmiellus maas-geesterani, Marasmiellus carneopallidus, Marasmius collinus, y Gymnopus dryophilus, esta
última es la que mas veces pregunta el personal si es un Marasmius oreades (senderuela, carrerilla).
Saludos.
última es la que mas veces pregunta el personal si es un Marasmius oreades (senderuela, carrerilla).
Saludos.
El siguiente usuario dijo gracias: Josep Torres
Por favor, Identificarse para unirse a la conversación.
- Josep Torres
-
Autor del tema
- Conectado
- Moderador
-
Menos
Más
- Mensajes: 8746
- Gracias recibidas: 8379
5 años 2 meses antes #105482
por Josep Torres
Respuesta de Josep Torres sobre el tema Alerta seteros: Mycena dura Maas Geest. & Hauskn. (1994)
Gracias Juan Andrés, dado que ya ha aparecido en Nuestra Península, y teniedo en cuenta su historial delictivo me parece perfecto que se añada a las posibles confusiones del Marasmius oreades, ya tan solo para evitar ingresos hospitalarios. Aunque cuando la encontré trenía claro que no se trataba de Marasmius oreades, por el dato de que aguantaba muy bien la torsión, se me originaron dudas, fué solo hasta ver la arista laminar y sus grandes queilocistidios, que sospeché de Mycena.
Un abrazo
Un abrazo
Por favor, Identificarse para unirse a la conversación.
- Foro
- Foros sobre Micología de fungipedia
- Microscopía
- Alerta seteros: Mycena dura Maas Geest. & Hauskn. (1994)
Tiempo de carga de la página: 0.207 segundos



Foro de micología