- Foro
- Foros sobre Micología de fungipedia
- Microscopía
- Melanoleuca microcephala (P. Karst.) Singer. Un "cromo nuevo"
Melanoleuca microcephala (P. Karst.) Singer. Un "cromo nuevo"
- Josep Torres
-
Autor del tema
- Fuera de línea
- Moderador
-
Menos
Más
- Mensajes: 8745
- Gracias recibidas: 8379
5 años 4 meses antes - 5 años 4 meses antes #105089
por Josep Torres
Hola a tod@s.
Una pequeña Melanoleuca fotografiada el pasado 27 de Septiembre, bajo pinos y a 1100 msnm.
Melanoleuca microcephala (P. Karst.) Singer (1935)
Un solo ejemplar de pequeño tamaño, no llegaba a los 2 cm., entre convexo y plano, con un pequeño mamelón en el centro y algunas pequeñas depresiones en su superficie, de color entre crema y marrón claro, mas oscuro en su centro. Pie concoloro con el sombrero, más oscuro en la base y con fibrillas longitudinales blanquecinas, cilíndrico y algo mas ensanchado en su base. Láminas bastante apretadas, intercaladas con lamélulas y sublamélulas, entre sinuadas, adnatas y algo decurrentes por un diente. Carne muy escasa de menos de 1 mm. en su parte mas ancha. Olor no percibido, no olía a nada y de sabor insípido.
Esporada en masa de color blanco.
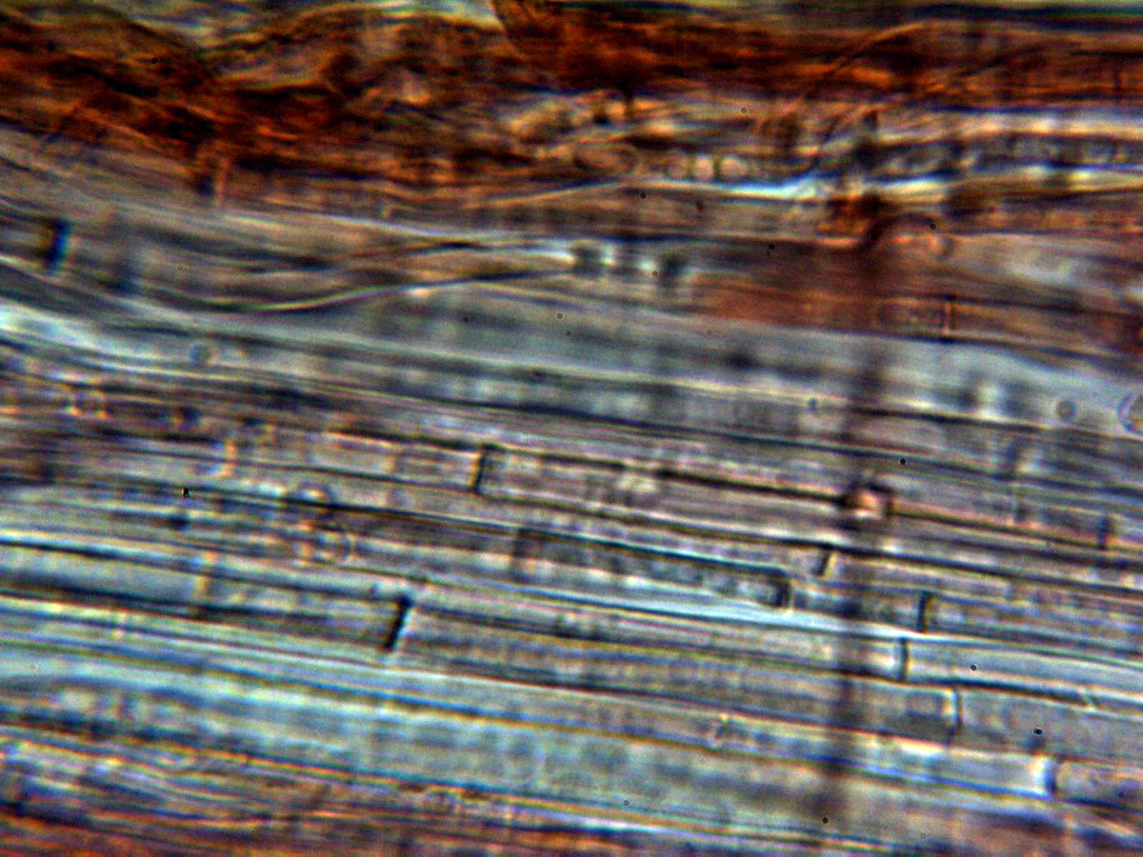
Microscopía:
Pileipellis formada por hifas hialinas, entrelazadas y algunas ramificadas, sin fíbulas en los septos y con una anchura de entre 5,2 a 11,8 µm. También se observa en la pileipellis algunas hifas terminales cilíndricas con el ápice redondeado.
Arista laminar fértil, sin elementos diferenciados de los basidios o basidiolos.
Basidios tetraspóricos y con unas medidas de 30.4 - 40.6 × 6.6 - 8.9 µm.
Esporas elipsoidales, adornadas con verrugas y reacción amiloide al Melzer, con unas medidas de:
(6.5) 6.7 - 7.8 (8.1) × (4.6) 4.7 - 5.3 (5.6) µm
Q = (1.3) 1.4 - 1.5 (1.6) ; N = 40
Me = 7.3 × 5 µm ; Qe = 1.5
Detalle del sombrero:
Láminas y pie:
Hifas de la Pileipellis en Rojo Congo diluido:
Hifas de la Pileipellis en agua destilada:
Hifa terminal de la pileipellis:
Hifas de la estipitipellis, sin caulocistidios observados:
Un par de imágenes de la arista laminar:
Himenio:
Esporas en agua destilada:
Esporas en Rojo Congo diluido:
Esporas en Reactivo de Melzer con reacción amiloide:
Aclaración. Dadas sus características, los datos microscópicos no encajaban con ninguna de las Melanoleucas descritas en "Les Champignons de Suisse" y tampoco con ninguna de las descritas en las Claves del género de Funga Nórdica.
Al no poder llegar a ninguna conclusión no tuve mas remedio que recurrir a los datos moleculares. La secuenciación ITS no arrojó ningún resultado al coincidir con muchas especies, optamos pues por la secuenciación LSU, esta nos acercó un poco más a la especie, determinando que coincidía con un 99.54 % con Melanoleuca microcephala- melaleuca - angelesiana - paedida. De las cuatro descritas debemos descartar la Melanoleuca melaleuca con un tamaño de hasta 8 cm., y esporas con una mayor anchura, también la Melanoleuca angelesiana que si bien tiene un tamaño esporal parecido, sus medidas son igualmente muy superiores (de 5 a 7 cm.), al igual que la Melanoleuca paedida con un pie grueso y un sombrero de entre 3,5 a 5 cm., nos queda solo la Melanoleuca microcephala.
Sorprendentemente según las Claves de Funga Nórdica de 2008, se cita a la Melanoleuca microcephala con queilocistidios de 40-60 x 6-10 μm, en las mismas claves se la sinonimiza con la Melanoleuca leucophylloides y con la Melanoleuca rasilis var. leucophylloides, en este caso estaría de acuerdo ya que la Melanoleuca rasilis la he estudiado en varias ocasiones y si presenta queilocistidios.
Posteriormente y según un estudio de "Frontiers in Microbiology" con el título de "Phylogenetic Analyses of Some Melanoleuca Species (Agaricales, Tricholomataceae)" del 26 de Septiembre de 2019, se describe a la Melanoleuca microcephala sin cistidios y con unas características idénticas a las de mi estudio, transcribo la traducción de la descripción de la misma:
"Melanoleuca microcephala (P. Karst.) Cantante, Cavanillesia 7:123. 1935 (Figuras 7I, 8D – F, 9D – F, 10G, H).
Sombrero de 1,8 a 2,5 cm de diámetro, plano o ligeramente deprimido en el disco,
redondo o casi circular, marrón pálido, a veces más claro hacia margen, superficie seca, lisa, margen pálido, curvado, ligeramente agrietado. Laminillas adnatas a ligeramente decurrentes, blancas, 20-25 lamelas / cm en el borde del pileus, con lamellulas intercaladas. Pie 5.3–6.3 0.3–0.5 cm, blanco en el ápice, más oscuro hacia la base, marrón grisácea en la base, cilíndrica, ligeramente expandida en la base. Contexto 0,5–0,7 mm de espesor en el centro del sombrero, blanco lechoso, olor ninguno, sabor suave. Estampado de esporas blanco.
Basidiosporas (6,8) 7,2–8,3 (4,8) 5,0–5,9 mm, Q = 1,37–1,41, (n = 30), elípticas, lisas o con ornamentación verrugosa, amiloides. Basidios 35-40 6,8-8,0 mm, claviformes, con cuatro esterigmas. Ausencia de queilocistidios y pleurocistidios. Trama regular, inamiloide. Pileipellis a cutis consistente en hifas entrelazadas, densas de paredes delgadas, hifas de 6 a 18 mm de ancho, cilíndricas, no o ligeramente contraído en los septos, hialino."
Queda pues después de muchos esfuerzos como Melanoleuca microcephala.
Saludos a tod@s.
Una pequeña Melanoleuca fotografiada el pasado 27 de Septiembre, bajo pinos y a 1100 msnm.
Melanoleuca microcephala (P. Karst.) Singer (1935)
Un solo ejemplar de pequeño tamaño, no llegaba a los 2 cm., entre convexo y plano, con un pequeño mamelón en el centro y algunas pequeñas depresiones en su superficie, de color entre crema y marrón claro, mas oscuro en su centro. Pie concoloro con el sombrero, más oscuro en la base y con fibrillas longitudinales blanquecinas, cilíndrico y algo mas ensanchado en su base. Láminas bastante apretadas, intercaladas con lamélulas y sublamélulas, entre sinuadas, adnatas y algo decurrentes por un diente. Carne muy escasa de menos de 1 mm. en su parte mas ancha. Olor no percibido, no olía a nada y de sabor insípido.
Esporada en masa de color blanco.
Microscopía:
Pileipellis formada por hifas hialinas, entrelazadas y algunas ramificadas, sin fíbulas en los septos y con una anchura de entre 5,2 a 11,8 µm. También se observa en la pileipellis algunas hifas terminales cilíndricas con el ápice redondeado.
Arista laminar fértil, sin elementos diferenciados de los basidios o basidiolos.
Basidios tetraspóricos y con unas medidas de 30.4 - 40.6 × 6.6 - 8.9 µm.
Esporas elipsoidales, adornadas con verrugas y reacción amiloide al Melzer, con unas medidas de:
(6.5) 6.7 - 7.8 (8.1) × (4.6) 4.7 - 5.3 (5.6) µm
Q = (1.3) 1.4 - 1.5 (1.6) ; N = 40
Me = 7.3 × 5 µm ; Qe = 1.5
Detalle del sombrero:
Láminas y pie:
Hifas de la Pileipellis en Rojo Congo diluido:
Hifas de la Pileipellis en agua destilada:
Hifa terminal de la pileipellis:
Hifas de la estipitipellis, sin caulocistidios observados:
Un par de imágenes de la arista laminar:
Himenio:
Esporas en agua destilada:
Esporas en Rojo Congo diluido:
Esporas en Reactivo de Melzer con reacción amiloide:
Aclaración. Dadas sus características, los datos microscópicos no encajaban con ninguna de las Melanoleucas descritas en "Les Champignons de Suisse" y tampoco con ninguna de las descritas en las Claves del género de Funga Nórdica.
Al no poder llegar a ninguna conclusión no tuve mas remedio que recurrir a los datos moleculares. La secuenciación ITS no arrojó ningún resultado al coincidir con muchas especies, optamos pues por la secuenciación LSU, esta nos acercó un poco más a la especie, determinando que coincidía con un 99.54 % con Melanoleuca microcephala- melaleuca - angelesiana - paedida. De las cuatro descritas debemos descartar la Melanoleuca melaleuca con un tamaño de hasta 8 cm., y esporas con una mayor anchura, también la Melanoleuca angelesiana que si bien tiene un tamaño esporal parecido, sus medidas son igualmente muy superiores (de 5 a 7 cm.), al igual que la Melanoleuca paedida con un pie grueso y un sombrero de entre 3,5 a 5 cm., nos queda solo la Melanoleuca microcephala.
Sorprendentemente según las Claves de Funga Nórdica de 2008, se cita a la Melanoleuca microcephala con queilocistidios de 40-60 x 6-10 μm, en las mismas claves se la sinonimiza con la Melanoleuca leucophylloides y con la Melanoleuca rasilis var. leucophylloides, en este caso estaría de acuerdo ya que la Melanoleuca rasilis la he estudiado en varias ocasiones y si presenta queilocistidios.
Posteriormente y según un estudio de "Frontiers in Microbiology" con el título de "Phylogenetic Analyses of Some Melanoleuca Species (Agaricales, Tricholomataceae)" del 26 de Septiembre de 2019, se describe a la Melanoleuca microcephala sin cistidios y con unas características idénticas a las de mi estudio, transcribo la traducción de la descripción de la misma:
"Melanoleuca microcephala (P. Karst.) Cantante, Cavanillesia 7:123. 1935 (Figuras 7I, 8D – F, 9D – F, 10G, H).
Sombrero de 1,8 a 2,5 cm de diámetro, plano o ligeramente deprimido en el disco,
redondo o casi circular, marrón pálido, a veces más claro hacia margen, superficie seca, lisa, margen pálido, curvado, ligeramente agrietado. Laminillas adnatas a ligeramente decurrentes, blancas, 20-25 lamelas / cm en el borde del pileus, con lamellulas intercaladas. Pie 5.3–6.3 0.3–0.5 cm, blanco en el ápice, más oscuro hacia la base, marrón grisácea en la base, cilíndrica, ligeramente expandida en la base. Contexto 0,5–0,7 mm de espesor en el centro del sombrero, blanco lechoso, olor ninguno, sabor suave. Estampado de esporas blanco.
Basidiosporas (6,8) 7,2–8,3 (4,8) 5,0–5,9 mm, Q = 1,37–1,41, (n = 30), elípticas, lisas o con ornamentación verrugosa, amiloides. Basidios 35-40 6,8-8,0 mm, claviformes, con cuatro esterigmas. Ausencia de queilocistidios y pleurocistidios. Trama regular, inamiloide. Pileipellis a cutis consistente en hifas entrelazadas, densas de paredes delgadas, hifas de 6 a 18 mm de ancho, cilíndricas, no o ligeramente contraído en los septos, hialino."
Queda pues después de muchos esfuerzos como Melanoleuca microcephala.
Saludos a tod@s.
Adjuntos:
Última Edición: 5 años 4 meses antes por Josep Torres. Razón: Una falta de ortografía
El siguiente usuario dijo gracias: Pepe Ferrer
Por favor, Identificarse para unirse a la conversación.
- Juan Andrés Román
-
- Fuera de línea
- Spammer
-
Menos
Más
- Mensajes: 2558
- Gracias recibidas: 2756
5 años 4 meses antes #105130
por Juan Andrés Román
Respuesta de Juan Andrés Román sobre el tema Melanoleuca microcephala (P. Karst.) Singer. Un "cromo nuevo"
Buena micro Josep. Otra a la que no me la habían presentado...................
Saludos.
Saludos.
El siguiente usuario dijo gracias: Josep Torres
Por favor, Identificarse para unirse a la conversación.
- Josep Torres
-
Autor del tema
- Fuera de línea
- Moderador
-
Menos
Más
- Mensajes: 8745
- Gracias recibidas: 8379
5 años 4 meses antes #105138
por Josep Torres
Respuesta de Josep Torres sobre el tema Melanoleuca microcephala (P. Karst.) Singer. Un "cromo nuevo"
Gracias Juan Andrés, pera anda que no me ha costado la jodía

Un abrazo
Un abrazo
Por favor, Identificarse para unirse a la conversación.
- Foro
- Foros sobre Micología de fungipedia
- Microscopía
- Melanoleuca microcephala (P. Karst.) Singer. Un "cromo nuevo"
Tiempo de carga de la página: 0.154 segundos



Foro de micología