- Foro
- Foros sobre Micología de fungipedia
- Microscopía
- Physalacria aff. orinocensis Pat. Y Gaillard. Un género poco conocido.
Physalacria aff. orinocensis Pat. Y Gaillard. Un género poco conocido.
- Josep Torres
-
Autor del tema
- Fuera de línea
- Moderador
-
Menos
Más
- Mensajes: 8745
- Gracias recibidas: 8379
5 años 7 meses antes #104326
por Josep Torres
Hola a tod@s.
Imágenes tomadas el pasado 31 de Mayo de una Physalacria que encontré cerca de mi ciudad (el género Physalacria es uno de los que me encuentro habitualmente en la República Dominicana y del que ya he realizado y presentado varios trabajos), el de ahora es el primero de localizar en Nuestra Península, del género Physalacria hay muy poca información en la red, solo un trabajo del genial Enrique Rubio sobre una que identificó como Physalacria cryptomeriae, sobre Cryptomeria japonica. La del presente estudio localizada por la parte de debajo de un tronco bastante degradado de planifolio en un cauce fluvial donde predominaban los Populus y Alnus.
Physalacria aff. orinocensis Pat. Y Gaillard
Muy diminutas fructificaciones de color blanco, forma entre cilíndrica y cónica con pié de un tamaño hasta un máximo total de 2 mm. de alto por 1 mm. de ancho.
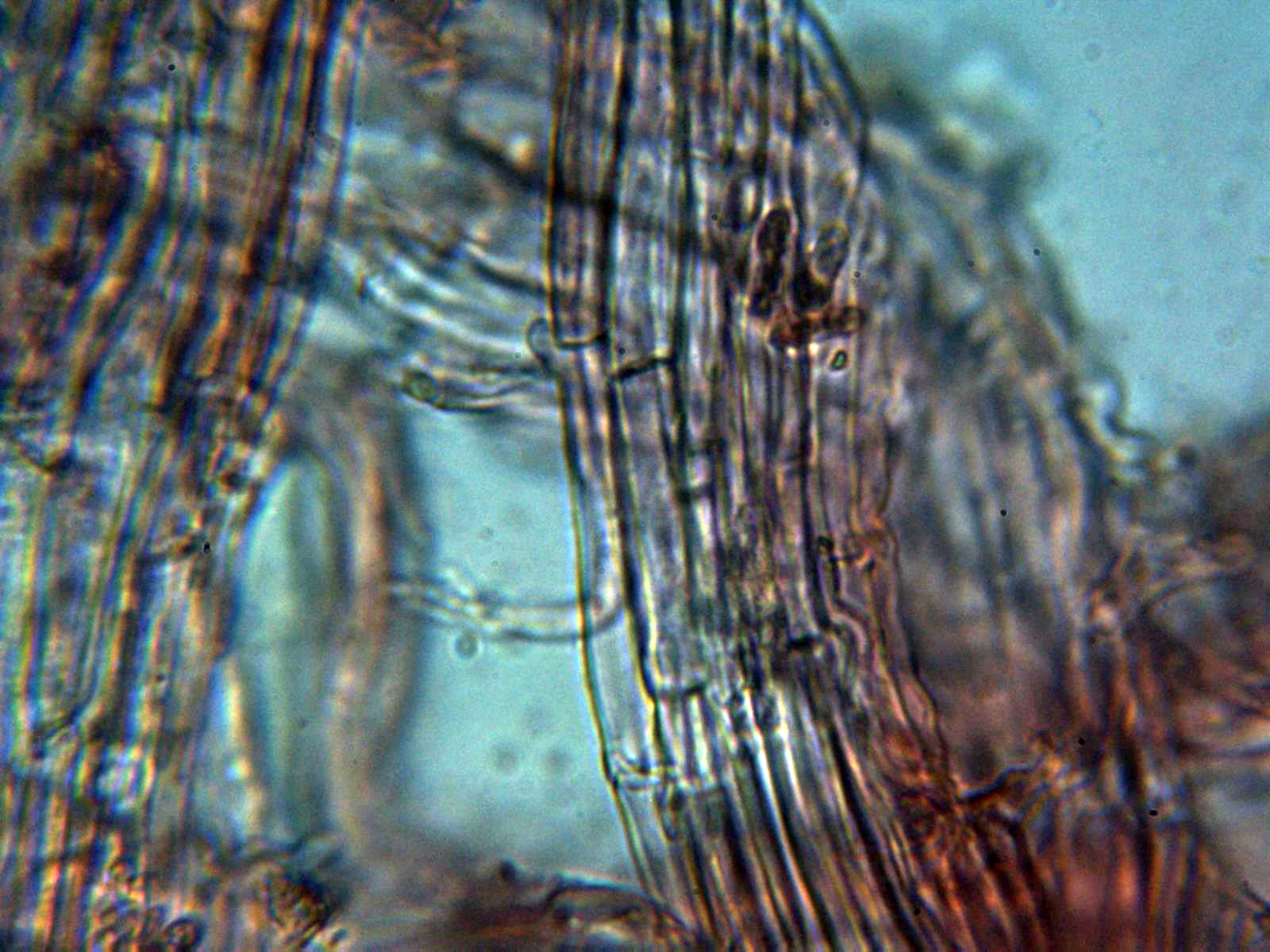
Toda la parte exterior del cono (generalmente el género Physalacria presenta formas como de globo deshinchado), actúa a modo de himenio con basidios y cistidios dispersos, lageniformes con un corto cuello que sobresalen muy por encima de los basidios.
Las medidas de los cistidios de (33.2) 42.5 - 61.2 (63.8) × (8.4) 9 - 13.5 (13.7) µm. Me = 53.1 × 11.3 µm
Los basidios con unas medidas de (13.2) 14.4 - 22.2 (23.1) × (4.1) 4.7 - 6.4 (6.6) µm. Me = 17.8 × 5.1 µm.
Fíbulas presentes.
También pude observar en la parte alta del pie unas hifas esféricas a modo de esferocistos.
Caulocistidios no observados.
Esporas cilíndricas, hialinas, de pared fina, con apícula lateral y difusas granulaciones en su interior con unas medidas de:
(6.9) 7.3 - 8.8 (9) × (2.7) 2.9 - 3.5 (4) µm
Q = (2.2) 2.3 - 2.8 (3.1) ; N = 22
Me = 8.2 × 3.2 µm ; Qe = 2.6
Fructificación en el tronco huésped.
Un par de imágenes a 20 aumentos:
Y una imágen a 40 aumentos:
Superficie del himenio a 400 aumentos:
Himenio a 1000 aumentos ampliado:
Hifas pie fibuladas:
Esferocistos parte superior pié:
Unas cuantas imágenes de los cistidios:
Los basidios:
Y una composición de las esporas que pude observar:
Conclusión:
Siguiendo las únicas claves Asiáticas que he podido encontrar en la red del género, la del presente estudio me encajaba bastante bien con la Physalacria lacrymispora, al parecer con un huésped específico "Chimonobambusa", lo único que no me encajaba es que se citan unos cistidios en el pie que no pude observar en mi estudio, es por estos dos detalles que preferí mandar unas muestras a secuenciar, la secuenciación ITS descartó la Physalacria lacrymispora por no coincidir molecularmente, aunque no aportó mucho más determinando que se trataba con una coincidencia del 97,16% de Physalacria maipoensis, como en Genbank hay solo 21 secuenciaciones ITS del género frente a 33 secuenciaciones LSU, y con solo un 97,16% de coincidencia no llegábamos a ninguna parte, preferimos probar con Pablo una nueva extracción, la secuenciación LSU determinó con un 99,76% de coincidencia que se trataba de Physalacria aff. orinocensis. Con estos datos solo me queda pensar o que estamos ante una Physalacria que aún no ha sido secuenciada o ya debemos pensar en una especie nueva del género aún no descrita, es por esto que lo he dejado como lo más parecido actualmente molecularmente hablando, es decir Physalacria aff. orinocensis.
Espero que este estudio ayude a conocer un poco mas a este tan desconocido género.
Saludos a tod@s.
Imágenes tomadas el pasado 31 de Mayo de una Physalacria que encontré cerca de mi ciudad (el género Physalacria es uno de los que me encuentro habitualmente en la República Dominicana y del que ya he realizado y presentado varios trabajos), el de ahora es el primero de localizar en Nuestra Península, del género Physalacria hay muy poca información en la red, solo un trabajo del genial Enrique Rubio sobre una que identificó como Physalacria cryptomeriae, sobre Cryptomeria japonica. La del presente estudio localizada por la parte de debajo de un tronco bastante degradado de planifolio en un cauce fluvial donde predominaban los Populus y Alnus.
Physalacria aff. orinocensis Pat. Y Gaillard
Muy diminutas fructificaciones de color blanco, forma entre cilíndrica y cónica con pié de un tamaño hasta un máximo total de 2 mm. de alto por 1 mm. de ancho.
Toda la parte exterior del cono (generalmente el género Physalacria presenta formas como de globo deshinchado), actúa a modo de himenio con basidios y cistidios dispersos, lageniformes con un corto cuello que sobresalen muy por encima de los basidios.
Las medidas de los cistidios de (33.2) 42.5 - 61.2 (63.8) × (8.4) 9 - 13.5 (13.7) µm. Me = 53.1 × 11.3 µm
Los basidios con unas medidas de (13.2) 14.4 - 22.2 (23.1) × (4.1) 4.7 - 6.4 (6.6) µm. Me = 17.8 × 5.1 µm.
Fíbulas presentes.
También pude observar en la parte alta del pie unas hifas esféricas a modo de esferocistos.
Caulocistidios no observados.
Esporas cilíndricas, hialinas, de pared fina, con apícula lateral y difusas granulaciones en su interior con unas medidas de:
(6.9) 7.3 - 8.8 (9) × (2.7) 2.9 - 3.5 (4) µm
Q = (2.2) 2.3 - 2.8 (3.1) ; N = 22
Me = 8.2 × 3.2 µm ; Qe = 2.6
Fructificación en el tronco huésped.
Un par de imágenes a 20 aumentos:
Y una imágen a 40 aumentos:
Superficie del himenio a 400 aumentos:
Himenio a 1000 aumentos ampliado:
Hifas pie fibuladas:
Esferocistos parte superior pié:
Unas cuantas imágenes de los cistidios:
Los basidios:
Y una composición de las esporas que pude observar:
Conclusión:
Siguiendo las únicas claves Asiáticas que he podido encontrar en la red del género, la del presente estudio me encajaba bastante bien con la Physalacria lacrymispora, al parecer con un huésped específico "Chimonobambusa", lo único que no me encajaba es que se citan unos cistidios en el pie que no pude observar en mi estudio, es por estos dos detalles que preferí mandar unas muestras a secuenciar, la secuenciación ITS descartó la Physalacria lacrymispora por no coincidir molecularmente, aunque no aportó mucho más determinando que se trataba con una coincidencia del 97,16% de Physalacria maipoensis, como en Genbank hay solo 21 secuenciaciones ITS del género frente a 33 secuenciaciones LSU, y con solo un 97,16% de coincidencia no llegábamos a ninguna parte, preferimos probar con Pablo una nueva extracción, la secuenciación LSU determinó con un 99,76% de coincidencia que se trataba de Physalacria aff. orinocensis. Con estos datos solo me queda pensar o que estamos ante una Physalacria que aún no ha sido secuenciada o ya debemos pensar en una especie nueva del género aún no descrita, es por esto que lo he dejado como lo más parecido actualmente molecularmente hablando, es decir Physalacria aff. orinocensis.
Espero que este estudio ayude a conocer un poco mas a este tan desconocido género.
Saludos a tod@s.
Adjuntos:
El siguiente usuario dijo gracias: Juan Andrés Román, Koldobika
Por favor, Identificarse para unirse a la conversación.
- Koldobika
-
- Fuera de línea
- Navegador Dorado
-
Menos
Más
- Mensajes: 178
- Gracias recibidas: 237
5 años 7 meses antes #104327
por Koldobika
Respuesta de Koldobika sobre el tema Physalacria aff. orinocensis Pat. Y Gaillard. Un género poco conocido.
Interesante especie y buen trabajo de un género totalmente ignoto para mi. Enhorabuena Josep!! Un abrazo
El siguiente usuario dijo gracias: Juan Andrés Román, Josep Torres
Por favor, Identificarse para unirse a la conversación.
- Javi Calvo
-
- Fuera de línea
- Spammer
-
Menos
Más
- Mensajes: 7009
- Gracias recibidas: 2955
5 años 7 meses antes #104331
por Javi Calvo
Respuesta de Javi Calvo sobre el tema Physalacria aff. orinocensis Pat. Y Gaillard. Un género poco conocido.
Pues ete aquí otro que no conocía ni el género, estupendo trabajo artista, me uno a las felicitaciones.
El siguiente usuario dijo gracias: Juan Andrés Román, Josep Torres
Por favor, Identificarse para unirse a la conversación.
- Josep Torres
-
Autor del tema
- Fuera de línea
- Moderador
-
Menos
Más
- Mensajes: 8745
- Gracias recibidas: 8379
5 años 6 meses antes #104333
por Josep Torres
Respuesta de Josep Torres sobre el tema Physalacria aff. orinocensis Pat. Y Gaillard. Un género poco conocido.
Muchas gracias a los dos, el género Physalacria ya lo había presentado aquí anteriormente, siempre de recogidas de muestras del Continente Americano, dada la poca información sobre el género, después de muchos trabajos de estudio con la Physalacria Americana, no pude pasar de Physalacria cf. inflata.
Dejo un par de enlaces donde aparece el género:
www.fungipedia.org/setas-informacion-y-c...aribenos.html#103760
www.fungipedia.org/setas-informacion-y-c...a-entrega.html#98067
Un fuerte abrazo a los dos
Dejo un par de enlaces donde aparece el género:
www.fungipedia.org/setas-informacion-y-c...aribenos.html#103760
www.fungipedia.org/setas-informacion-y-c...a-entrega.html#98067
Un fuerte abrazo a los dos
El siguiente usuario dijo gracias: Juan Andrés Román
Por favor, Identificarse para unirse a la conversación.
- Juan Andrés Román
-
- Fuera de línea
- Spammer
-
Menos
Más
- Mensajes: 2558
- Gracias recibidas: 2756
5 años 6 meses antes #104336
por Juan Andrés Román
Respuesta de Juan Andrés Román sobre el tema Physalacria aff. orinocensis Pat. Y Gaillard. Un género poco conocido.
Muy pero que muy buena captura Josep
Me sumo a la lista de los que no controlan ni el género......................................
A esta la hubiese intentado fotografiar como si fuesen algodones de azúcar de feria
Un abrazo figura.
A esta la hubiese intentado fotografiar como si fuesen algodones de azúcar de feria
Un abrazo figura.
El siguiente usuario dijo gracias: Josep Torres
Por favor, Identificarse para unirse a la conversación.
- Josep Torres
-
Autor del tema
- Fuera de línea
- Moderador
-
Menos
Más
- Mensajes: 8745
- Gracias recibidas: 8379
5 años 6 meses antes #104339
por Josep Torres
Respuesta de Josep Torres sobre el tema Physalacria aff. orinocensis Pat. Y Gaillard. Un género poco conocido.
Gracias Juan Andrés,. esta especie de Physalacria morfológicamente si que se parece a los algodones de azúcar de feria

Un abrazo
Un abrazo
Por favor, Identificarse para unirse a la conversación.
- Foro
- Foros sobre Micología de fungipedia
- Microscopía
- Physalacria aff. orinocensis Pat. Y Gaillard. Un género poco conocido.
Tiempo de carga de la página: 0.162 segundos



Foro de micología