Scutellinia subhirtella Svrček (1971)
- Josep Torres
-
Autor del tema
- Fuera de línea
- Moderador
-
Menos
Más
- Mensajes: 8745
- Gracias recibidas: 8379
5 años 7 meses antes #104304
por Josep Torres
Scutellinia subhirtella Svrček (1971) Publicado por Josep Torres
Hola a tod@s.
Imágenes tomadas el pasado domingo 30 de Agosto, sobre un pequeño tronco embarrado y semisumergido en una acequia de agua limpia, en los alrededores de mi ciudad, cerca del espacio natural de “Les Franqueses”.
Scutellinia subhirtella Svrček (1971)
Pequeños apotecios de entre 2,6 a 5,6 mm. de diámetro, en forma de disco, sésiles, de color anaranjado y con el borde cubierto de unos pelos marginales marrones, difíciles de observar a simple vista. Sobre el tronco embarrado los ejemplares se presentaban de manera dispersa, separados entre sí y con solo en pocos casos con algunos ejemplares unidos y con el borde deformado por compresión, en los ejemplares más desarrollados la forma discoide presentaba ya un borde ondulado. Esporada en masa de color blanco.
Microscopía:
Pelos marginales marrones, de pared gruesa, septados y puntiagudos, con su base generalmente mono o bifurcada, aunque también pude observar excepcionalmente alguna base trifurcada, las medidas de los pelos marginales de 220 a 594 µm. de largo por una anchura en su base de entre 12,1 a 23,5 µm. Algunos autores citan para la Scutellinia subhirtella también unos pelos marginales dispersos hialinos y de pared fina, no observados en este estudio.
Excípulo medular de textura intricada.
Excípulo ectal de textura entre globosa y angular, con unas hifas que en muchos casos superaban de largo las 50 µm.
Ascas octospóricas con unas medidas de entre 228 a 299 µm. de largo y con una anchura de entre 16 a 20,4 µm., sin reacción aparente al Melzer y con uncínulos en su base.
Paráfisis sobresaliendo por encima del nivel de las ascas, de entre 2,3 a 3,5 µm. de ancho, septadas, con pigmento amarillento en su interior, probablemente el causante del color de los apotecios, y con ensanchamientos en el ápice de entre 6,2 y hasta 10,7 µm.
Ascosporas elipsoidales, hialinas, con abundantes gotas lípidas en su interior y con unas pequeñas verrugas de hasta 1,1 µm. de altura separadas entre sí, con unas medidas de:
(16.4) 17.3 - 19.2 (21.7) × (12.3) 12.6 - 14.8 (15) µm
Q = (1.2) 1.3 - 1.4 (1.5) ; N = 50
Me = 18.3 × 13.7 µm ; Qe = 1.3
Atendiendo a sus características tanto las claves de Beñat Jeannerot, como las de Paul Cannon como también las claves de las especies de Scutellinia Británicas, me llevan a la Scutellinia subhirtella propuesta.
Especie muy parecida a la Scutellinia patagonica con esporas mas globosas y la base de los pelos multifurcadas, también parecida a la Scutellinia umbrarum con verrugas más gruesas en las esporas y pelos más largos, estos pelos al igual que la anterior con la base multifida o multifurcada.
Este estudio está contrastado con la información de los siguientes enlaces, con los que parece encajar perfectamente:
www.ambmuggia.it/forum/topic/9832-scutellinia-subhirtella/
www.micobotanicajaen.com/Revista/Articul...ia%20subhirtella.pdf
www.asturnatura.com/especie/scutellinia-subhirtella.html
web.micolosa.net/scutellinia-subhirtella/
www.nahuby.sk/obrazok_detail.php?obrazok_id=585914
www.outerhebridesfungi.co.uk/species.php?id=316
www.pilzflora-ehingen.de/pilzflora/arthtml/ssubhirtella.php
naturamalta.com/Scutellinia_subhirtella.html
www.myko.cz/myko-atlas/Scutellinia-subhirtella/
www.mycodb.fr/fiche.php?genre=Scutellinia&espece=subhirtella
Ejemplares en el tronco:
Un par de ampliaciones a 20 aumentos:
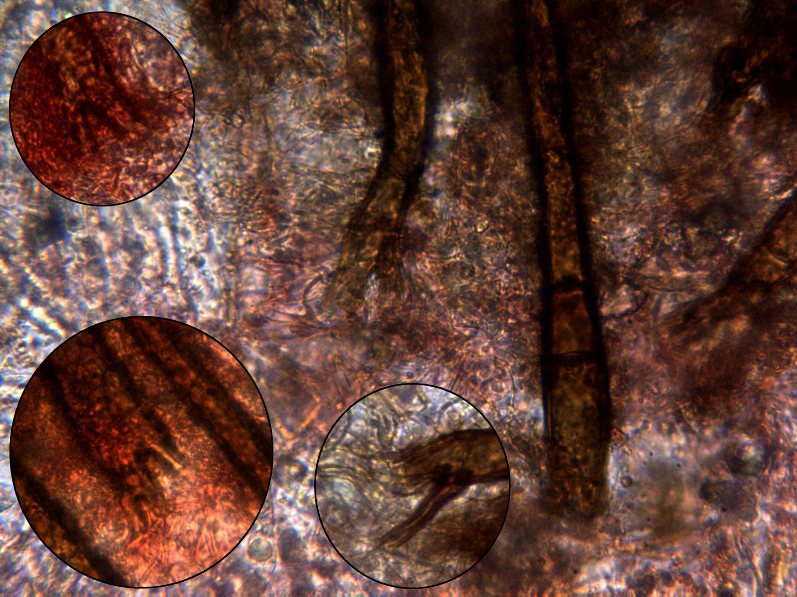
Y un par de imágenes a 40 aumentos con el microscopio de sobremesa, utilizando luz indirecta, con especial atención a los pelos marginales:
Pelos marginales a 100 aumentos
Base de los pelos marginales a 400 aumentos:
Excípulo medular a 1000 aumentos.
Excípulo ectal a 400 aumentos en Azul de Cresilo:
Excípulo ectal a 1000 aumentos en Rojo Congo muy diluido:
Himenio a 100 aumentos:
Ascas a 400 aumentos:
Ascas en Reactivo de Melzer a 400 aumentos:
Ascas y paráfisis a 1000 aumentos:
Ascas en Reactivo de Melzer a 1000 aumentos:
Base ascas a 400 aumentos:
Base ascas a 1000 aumentos:
Un par de imágenes de las paráfisis en Rojo Congo diluido:
Detalle del pigmento de las paráfisis:
Paráfisis en azul de Cresilo:
Esporas obtenidas por esporulación natural en agua destilada:
Esporas en Rojo Congo diluido:
Esporas en Azul de Cresilo:
Saludos a tod@s.
Imágenes tomadas el pasado domingo 30 de Agosto, sobre un pequeño tronco embarrado y semisumergido en una acequia de agua limpia, en los alrededores de mi ciudad, cerca del espacio natural de “Les Franqueses”.
Scutellinia subhirtella Svrček (1971)
Pequeños apotecios de entre 2,6 a 5,6 mm. de diámetro, en forma de disco, sésiles, de color anaranjado y con el borde cubierto de unos pelos marginales marrones, difíciles de observar a simple vista. Sobre el tronco embarrado los ejemplares se presentaban de manera dispersa, separados entre sí y con solo en pocos casos con algunos ejemplares unidos y con el borde deformado por compresión, en los ejemplares más desarrollados la forma discoide presentaba ya un borde ondulado. Esporada en masa de color blanco.
Microscopía:
Pelos marginales marrones, de pared gruesa, septados y puntiagudos, con su base generalmente mono o bifurcada, aunque también pude observar excepcionalmente alguna base trifurcada, las medidas de los pelos marginales de 220 a 594 µm. de largo por una anchura en su base de entre 12,1 a 23,5 µm. Algunos autores citan para la Scutellinia subhirtella también unos pelos marginales dispersos hialinos y de pared fina, no observados en este estudio.
Excípulo medular de textura intricada.
Excípulo ectal de textura entre globosa y angular, con unas hifas que en muchos casos superaban de largo las 50 µm.
Ascas octospóricas con unas medidas de entre 228 a 299 µm. de largo y con una anchura de entre 16 a 20,4 µm., sin reacción aparente al Melzer y con uncínulos en su base.
Paráfisis sobresaliendo por encima del nivel de las ascas, de entre 2,3 a 3,5 µm. de ancho, septadas, con pigmento amarillento en su interior, probablemente el causante del color de los apotecios, y con ensanchamientos en el ápice de entre 6,2 y hasta 10,7 µm.
Ascosporas elipsoidales, hialinas, con abundantes gotas lípidas en su interior y con unas pequeñas verrugas de hasta 1,1 µm. de altura separadas entre sí, con unas medidas de:
(16.4) 17.3 - 19.2 (21.7) × (12.3) 12.6 - 14.8 (15) µm
Q = (1.2) 1.3 - 1.4 (1.5) ; N = 50
Me = 18.3 × 13.7 µm ; Qe = 1.3
Atendiendo a sus características tanto las claves de Beñat Jeannerot, como las de Paul Cannon como también las claves de las especies de Scutellinia Británicas, me llevan a la Scutellinia subhirtella propuesta.
Especie muy parecida a la Scutellinia patagonica con esporas mas globosas y la base de los pelos multifurcadas, también parecida a la Scutellinia umbrarum con verrugas más gruesas en las esporas y pelos más largos, estos pelos al igual que la anterior con la base multifida o multifurcada.
Este estudio está contrastado con la información de los siguientes enlaces, con los que parece encajar perfectamente:
www.ambmuggia.it/forum/topic/9832-scutellinia-subhirtella/
www.micobotanicajaen.com/Revista/Articul...ia%20subhirtella.pdf
www.asturnatura.com/especie/scutellinia-subhirtella.html
web.micolosa.net/scutellinia-subhirtella/
www.nahuby.sk/obrazok_detail.php?obrazok_id=585914
www.outerhebridesfungi.co.uk/species.php?id=316
www.pilzflora-ehingen.de/pilzflora/arthtml/ssubhirtella.php
naturamalta.com/Scutellinia_subhirtella.html
www.myko.cz/myko-atlas/Scutellinia-subhirtella/
www.mycodb.fr/fiche.php?genre=Scutellinia&espece=subhirtella
Ejemplares en el tronco:
Un par de ampliaciones a 20 aumentos:
Y un par de imágenes a 40 aumentos con el microscopio de sobremesa, utilizando luz indirecta, con especial atención a los pelos marginales:
Pelos marginales a 100 aumentos
Base de los pelos marginales a 400 aumentos:
Excípulo medular a 1000 aumentos.
Excípulo ectal a 400 aumentos en Azul de Cresilo:
Excípulo ectal a 1000 aumentos en Rojo Congo muy diluido:
Himenio a 100 aumentos:
Ascas a 400 aumentos:
Ascas en Reactivo de Melzer a 400 aumentos:
Ascas y paráfisis a 1000 aumentos:
Ascas en Reactivo de Melzer a 1000 aumentos:
Base ascas a 400 aumentos:
Base ascas a 1000 aumentos:
Un par de imágenes de las paráfisis en Rojo Congo diluido:
Detalle del pigmento de las paráfisis:
Paráfisis en azul de Cresilo:
Esporas obtenidas por esporulación natural en agua destilada:
Esporas en Rojo Congo diluido:
Esporas en Azul de Cresilo:
Saludos a tod@s.
Adjuntos:
El siguiente usuario dijo gracias: Juan Andrés Román
Por favor, Identificarse para unirse a la conversación.
- Juan Andrés Román
-
- Fuera de línea
- Spammer
-
Menos
Más
- Mensajes: 2558
- Gracias recibidas: 2756
5 años 7 meses antes #104307
por Juan Andrés Román
Respuesta de Juan Andrés Román sobre el tema Scutellinia subhirtella Svrček (1971)
Buen trabajo Josep
Anda que no dan juego las Scutellinias........................
Un saludo.
Un saludo.
El siguiente usuario dijo gracias: Josep Torres
Por favor, Identificarse para unirse a la conversación.
Tiempo de carga de la página: 0.201 segundos



Foro de micología