- Foro
- Foros sobre Micología de fungipedia
- Microscopía
- Pluteus thomsonii. En agradecimiento a Koldobika.
Pluteus thomsonii. En agradecimiento a Koldobika.
- Josep Torres
-
Autor del tema
- Ausente
- Moderador
-
Menos
Más
- Mensajes: 8745
- Gracias recibidas: 8379
6 años 4 meses antes - 6 años 4 meses antes #103048
por Josep Torres
Hola tod@s.
Si dedico el tema a Koldobika es porqué en privado me ha ayudado en su identificación, ya que el ejemplar analizado era inmaduro y en un primer estudio no pude obtener esporas, posteriormente y con mucha paciencia pude obtener unas cuantas.
Una diminuta seta lignícola fotografiada el pasado domingo a 540 msnm., cerca de un riachuelo (soto fluvial) y en una zona donde predominaban los robles.
La seta en cuestión apareció por la parte de debajo de un tronco tumbado y compartía espacio por la parte de arriba con un puñado de ejemplares de Hyalorbilia inflatula y por la parte de debajo con el anamorfo de Botryobasidium robustius (Haplotrichum).
Pluteus thomsonii (Berk. Y Broome) Dennis (1948)
Sombrero de tan solo 4,5 mm. de diámetro (según bibliografía puede llagar a los 2 cm. en estado adulto) , entre semigloboso y algo cónico, de color gris rojizo con surcos y hendiduras en toda su superficie.
Láminas gruesas, anchas, escotadas, de color blanco, con lamélulas y sublamélulas intercaladas.
Pié de unos 8 mm. cilíndrico con una anchura de 1,05 mm. en su unión con el sombrero para ensancharse muy ligeramente al acercarse a su base hasta 1,2 mm., concoloro con el sombrero, con numerosas granulaciones de color blanco en su superficie y restos miceliales o rizoides en su base, pero sin un disco basal claro.
Carne escasa de color negro al corte, algo mas clara en el pié.
Olor nada significativo y no puedo opinar del sabor ya que no había casi nada para probar.
Microscopía:
Pileipellis: Suprapellis compuesta por una capa de hifas emergentes de gran tamaño, dispuestas perpendicularmente a modo de pileocistidios, entre cilíndricas y lageniformes, terminando muchas de ellas con un cuello corto mas estrecho, las medidas de estas de (50.9) 57.1 - 71.7 (77.5) × (14.1) 16.2 - 20.2 (22.4) µm .
Subpellis formada por una capa de células mas o menos esféricas, a modo de esferocistos, estas ya no tan grandes, con unas medidas de (13) 13.3 - 23.5 (27.5) × (11.3) 12.1 - 15.4 (21.7) µm.
Queilocistidios: Muy abundantes dejando una arista laminar completamente estéril, de grandes dimensiones, entre piriformes y lanceolados en algunos casos con ligeras incrustaciones en le ápice, ,muchos de ellos (los mas grandes) terminando con un largo cuello estrecho, las medidas de los queilocistidios (sin contar el cuello) de (29) 31.4 - 54.5 (54.6) × (9.4) 9.9 - 15.6 (16.4) µm., a estas medidas a los de mayor tamaño habría que añadir el cuello a modo de aguijón, este cuello estrecho con unas medidas de (12.9) 12.92 - 18.68 (18.7) × (1.7) 1.75 - 2.67 (2.7) µm., con lo cuál llegamos a las 73 µm. de largo.
Pleurocistidios no observados.
Caulocistidios de la misma morfología que los queilocistidios con unas medidas de entre 40 a 65,7 µm. de largo por 14 a 22,5 µm. de ancho.
Basidios que se encontraban inmaduros, al parecer con fíbulas en su base, las medidas de los basidios y basidiolos de (20.5) 21 - 27.8 (31.8) × (5.4) 5.5 - 6.9 (7) µm.
Esporas de pared gruesa, entre subglobosas y elipsoidales, con algunas gotas lípidas y tenue contenido granuloso en su interior, con unas medidas de (5.9) 6.1 - 7.6 (8.2) × (4.7) 5.1 - 6.1 (6.7) µm.
En el tronco, en la parte superior se observan los ejemplares de Hyalorbilia inflatula.
Y por la parte de debajo del mismo el Botryobasidium robustius.
Sombrero a 20 aumentos.
Láminas a 20 aumentos.
Sección del mismo con la carne negruzca.
Suprapellis a 400 aumentos.
Suprapellis a 1000 aumentos, con hifas con pigmento grisáceo.
Subpellis a 1000 aumentos.
Caulocistidios a 400 aumentos.
Caulocistidios a 1000 aumentos.
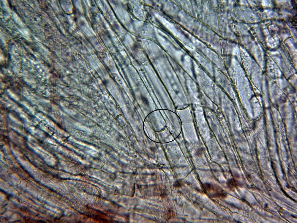
Hifas del estípite a 400 aumentos.
Himenio sin pleurocistidios observados.
Varias imágenes de queilocistidios a 1000 aumentos.
Basidios a 1000 aumentos.
Base basidios a 1000 aumentos.
Sección basidios y cistidio.
Una recopilación de TODAS las esporas observadas, obtenidas de manera forzada y sus medidas.
Saludos a tod@s.
Si dedico el tema a Koldobika es porqué en privado me ha ayudado en su identificación, ya que el ejemplar analizado era inmaduro y en un primer estudio no pude obtener esporas, posteriormente y con mucha paciencia pude obtener unas cuantas.
Una diminuta seta lignícola fotografiada el pasado domingo a 540 msnm., cerca de un riachuelo (soto fluvial) y en una zona donde predominaban los robles.
La seta en cuestión apareció por la parte de debajo de un tronco tumbado y compartía espacio por la parte de arriba con un puñado de ejemplares de Hyalorbilia inflatula y por la parte de debajo con el anamorfo de Botryobasidium robustius (Haplotrichum).
Pluteus thomsonii (Berk. Y Broome) Dennis (1948)
Sombrero de tan solo 4,5 mm. de diámetro (según bibliografía puede llagar a los 2 cm. en estado adulto) , entre semigloboso y algo cónico, de color gris rojizo con surcos y hendiduras en toda su superficie.
Láminas gruesas, anchas, escotadas, de color blanco, con lamélulas y sublamélulas intercaladas.
Pié de unos 8 mm. cilíndrico con una anchura de 1,05 mm. en su unión con el sombrero para ensancharse muy ligeramente al acercarse a su base hasta 1,2 mm., concoloro con el sombrero, con numerosas granulaciones de color blanco en su superficie y restos miceliales o rizoides en su base, pero sin un disco basal claro.
Carne escasa de color negro al corte, algo mas clara en el pié.
Olor nada significativo y no puedo opinar del sabor ya que no había casi nada para probar.
Microscopía:
Pileipellis: Suprapellis compuesta por una capa de hifas emergentes de gran tamaño, dispuestas perpendicularmente a modo de pileocistidios, entre cilíndricas y lageniformes, terminando muchas de ellas con un cuello corto mas estrecho, las medidas de estas de (50.9) 57.1 - 71.7 (77.5) × (14.1) 16.2 - 20.2 (22.4) µm .
Subpellis formada por una capa de células mas o menos esféricas, a modo de esferocistos, estas ya no tan grandes, con unas medidas de (13) 13.3 - 23.5 (27.5) × (11.3) 12.1 - 15.4 (21.7) µm.
Queilocistidios: Muy abundantes dejando una arista laminar completamente estéril, de grandes dimensiones, entre piriformes y lanceolados en algunos casos con ligeras incrustaciones en le ápice, ,muchos de ellos (los mas grandes) terminando con un largo cuello estrecho, las medidas de los queilocistidios (sin contar el cuello) de (29) 31.4 - 54.5 (54.6) × (9.4) 9.9 - 15.6 (16.4) µm., a estas medidas a los de mayor tamaño habría que añadir el cuello a modo de aguijón, este cuello estrecho con unas medidas de (12.9) 12.92 - 18.68 (18.7) × (1.7) 1.75 - 2.67 (2.7) µm., con lo cuál llegamos a las 73 µm. de largo.
Pleurocistidios no observados.
Caulocistidios de la misma morfología que los queilocistidios con unas medidas de entre 40 a 65,7 µm. de largo por 14 a 22,5 µm. de ancho.
Basidios que se encontraban inmaduros, al parecer con fíbulas en su base, las medidas de los basidios y basidiolos de (20.5) 21 - 27.8 (31.8) × (5.4) 5.5 - 6.9 (7) µm.
Esporas de pared gruesa, entre subglobosas y elipsoidales, con algunas gotas lípidas y tenue contenido granuloso en su interior, con unas medidas de (5.9) 6.1 - 7.6 (8.2) × (4.7) 5.1 - 6.1 (6.7) µm.
En el tronco, en la parte superior se observan los ejemplares de Hyalorbilia inflatula.
Y por la parte de debajo del mismo el Botryobasidium robustius.
Sombrero a 20 aumentos.
Láminas a 20 aumentos.
Sección del mismo con la carne negruzca.
Suprapellis a 400 aumentos.
Suprapellis a 1000 aumentos, con hifas con pigmento grisáceo.
Subpellis a 1000 aumentos.
Caulocistidios a 400 aumentos.
Caulocistidios a 1000 aumentos.
Hifas del estípite a 400 aumentos.
Himenio sin pleurocistidios observados.
Varias imágenes de queilocistidios a 1000 aumentos.
Basidios a 1000 aumentos.
Base basidios a 1000 aumentos.
Sección basidios y cistidio.
Una recopilación de TODAS las esporas observadas, obtenidas de manera forzada y sus medidas.
Saludos a tod@s.
Adjuntos:
Última Edición: 6 años 4 meses antes por Josep Torres.
El siguiente usuario dijo gracias: javier
Por favor, Identificarse para unirse a la conversación.
- Juan Andrés Román
-
- Fuera de línea
- Spammer
-
Menos
Más
- Mensajes: 2558
- Gracias recibidas: 2756
6 años 4 meses antes #103051
por Juan Andrés Román
Respuesta de Juan Andrés Román sobre el tema Pluteus thomsonii. En agradecimiento a Koldobika.
Buen hallazgo Josep
A este solo he tenido el placer de ver sus venas del sombrero en una ocasión.................................
Saludos.
Saludos.
El siguiente usuario dijo gracias: javier, Josep Torres
Por favor, Identificarse para unirse a la conversación.
- javier
-
- Fuera de línea
- Moderador
-
Menos
Más
- Mensajes: 5617
- Gracias recibidas: 4356
6 años 4 meses antes #103056
por javier
Respuesta de javier sobre el tema Pluteus thomsonii. En agradecimiento a Koldobika.
Buen y bonito cromo figura
El siguiente usuario dijo gracias: Juan Andrés Román
Por favor, Identificarse para unirse a la conversación.
- Josep Torres
-
Autor del tema
- Ausente
- Moderador
-
Menos
Más
- Mensajes: 8745
- Gracias recibidas: 8379
6 años 4 meses antes #103061
por Josep Torres
Respuesta de Josep Torres sobre el tema Pluteus thomsonii. En agradecimiento a Koldobika.
Muchas gracias a los dos, reconozco que este cromo al estar inmaduro en un principio me tenía completamente despistado
.
Un fuerte abrazo a los dos
Un fuerte abrazo a los dos
Por favor, Identificarse para unirse a la conversación.
- Foro
- Foros sobre Micología de fungipedia
- Microscopía
- Pluteus thomsonii. En agradecimiento a Koldobika.
Tiempo de carga de la página: 0.276 segundos



Foro de micología