- Foro
- Foros sobre Micología de fungipedia
- Microscopía
- Mycena purpureofusca ?............................ Probablemente
Mycena purpureofusca ?............................ Probablemente
- Josep Torres
-
Autor del tema
- Fuera de línea
- Moderador
-
Menos
Más
- Mensajes: 8745
- Gracias recibidas: 8379
7 años 9 meses antes #99472
por Josep Torres
Hola a tod@s.
Una Mycena de la sección Rubromarginatae, fotografiada el pasado 6 de Junio, brotando sobre un tocón ya bastante degradado de Pinus sylvestris.
Dada la complejidad a la hora de una correcta identificación de cualquier especie del género, en estos casos siempre realizo la microscopía en fresco y como en aquel momento no disponía de tiempo, me dio pereza y lo guardé todo en una carpeta en espera para estudiarla posteriormente.
En este caso dadas ya sus características macroscópicas, no me ha dado mucho trabajo a la hora de su identificación, para contrastar los resultados siempre utilizo la página de "The Mycenas of Northern Europe", en este caso además he utilizado con el permiso de Koldobika
, el estudio de la misma de Micolosa.
Dejo aquí los dos enlaces:
mycena.no/purpureofusca.htm
web.micolosa.net/?p=4734
Las imágenes:
Un solo ejemplar, con sombrero entre cónico y acampanulado de poco mas de 1 cm., de color pardo violáceo, mas oscuro en el centro, estriado por transparencia y el borde del mismo blanquecino.
Pié con tonos violáceos, mas claro en su parte superior y con fibrillas blanquecinas en su base, cubierto con una discreta pruina blanquecina.
Láminas de color blanco que alcanzan el pié, entre adnatas y subdecurrentes, finas y espaciadas entre sí, con lamélulas y arista laminar de color pardo violáceo.
Sin ningún olor ni sabor destacables.
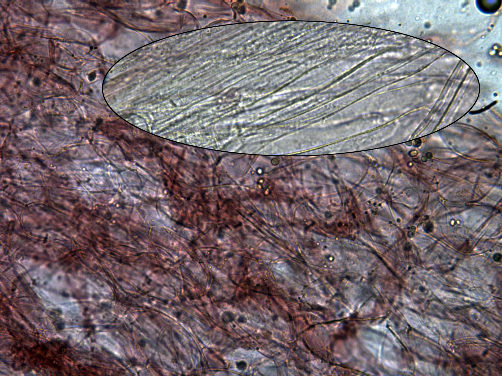
Hifas de la pileipellis gelificadas, en la miniatura las hifas de la estípite, no pude observar fíbulas en ninguna de ellas a pesar de que en el enlace de Micolosa si que aparecen en las imágenes, por el contrario el enlace de The Mycenas of Northern Europe, la describen libre de fíbulas como es mi caso.
No pude observar en la pileipellis las excrecencias de que hablan los enlaces, aunque estas se consideran en todo caso escasas.
Escasos caulocistidios, cilíndricos y terminando en formas redondeadas.
En esta imágen si parece observarse alguna excrecencia (parte inferior derecha), en todo caso escasas.
Imagen del himenio de la cara laminar, sin elementos diferenciados de los basidios y basidiolos, debo considerar pues la ausencia de Pleurocistidios en la especie.
Queilocistidios muy abundantes en la arista laminar, quedando esta prácticamente estéril, ensanchados en su base, algunos lageniformes, con cuello cilíndrico, otros subcapitados, otros algo sinuosos y terminando en formas redondeadas. En agua destilada se observa en su interior un pigmento suavemente liláceo.
En la mayoría de muestras de la arista laminar, aparecía una pigmentación muy oscura (como la que aparece en la imagen), esta dificultaba la observación de los queilocistidios, intuyo que podía contribuir a la coloración pardo lilácea de la arista laminar.
Desde luego una Mycena muy poco agradecida al micro
Basidios claviformes y en mi estudio mayoritariamente tetraspóricos.
Esporas conseguidas de manera forzada, de paredes de difícil observación, hialinas, ampliamente elipsoides, con una gran vacuola en su interior y con una apícula mayoritariamente lateral.
En este caso el resultado de mis mediciones de 7,8;10,6 X 5,4;6,6 micras.
En las muestras aparecían asimismo muchas esporas rotas, que ensuciaban cualquier imagen.
Esporas provenientes de esporada natural, y además sin apretar demasiado la muestra (lo que provocaría la rotura de estas).
Un aspecto ya muy distinto, esporas entre elipsoides y amigdaliformes, ya con una pared bien definida, con marcada apícula y contenido granuloso bien visible (las vacuolas solo se pueden observar en algunas de ellas).
En este caso he procurado en mis medicines el asegurarme que ninguna de las esporas medidas estuviera ladeada (sucede a menudo cuando no has apretado la muestra lo suficiente). El resultado en este caso de 8,6;11,7 X 6,6;7,8 micras, totalmente acordes con los dos estudios de los enlaces.
Saludos a tod@s.
Una Mycena de la sección Rubromarginatae, fotografiada el pasado 6 de Junio, brotando sobre un tocón ya bastante degradado de Pinus sylvestris.
Dada la complejidad a la hora de una correcta identificación de cualquier especie del género, en estos casos siempre realizo la microscopía en fresco y como en aquel momento no disponía de tiempo, me dio pereza y lo guardé todo en una carpeta en espera para estudiarla posteriormente.
En este caso dadas ya sus características macroscópicas, no me ha dado mucho trabajo a la hora de su identificación, para contrastar los resultados siempre utilizo la página de "The Mycenas of Northern Europe", en este caso además he utilizado con el permiso de Koldobika
Dejo aquí los dos enlaces:
mycena.no/purpureofusca.htm
web.micolosa.net/?p=4734
Las imágenes:
Un solo ejemplar, con sombrero entre cónico y acampanulado de poco mas de 1 cm., de color pardo violáceo, mas oscuro en el centro, estriado por transparencia y el borde del mismo blanquecino.
Pié con tonos violáceos, mas claro en su parte superior y con fibrillas blanquecinas en su base, cubierto con una discreta pruina blanquecina.
Láminas de color blanco que alcanzan el pié, entre adnatas y subdecurrentes, finas y espaciadas entre sí, con lamélulas y arista laminar de color pardo violáceo.
Sin ningún olor ni sabor destacables.
Hifas de la pileipellis gelificadas, en la miniatura las hifas de la estípite, no pude observar fíbulas en ninguna de ellas a pesar de que en el enlace de Micolosa si que aparecen en las imágenes, por el contrario el enlace de The Mycenas of Northern Europe, la describen libre de fíbulas como es mi caso.
No pude observar en la pileipellis las excrecencias de que hablan los enlaces, aunque estas se consideran en todo caso escasas.
Escasos caulocistidios, cilíndricos y terminando en formas redondeadas.
En esta imágen si parece observarse alguna excrecencia (parte inferior derecha), en todo caso escasas.
Imagen del himenio de la cara laminar, sin elementos diferenciados de los basidios y basidiolos, debo considerar pues la ausencia de Pleurocistidios en la especie.
Queilocistidios muy abundantes en la arista laminar, quedando esta prácticamente estéril, ensanchados en su base, algunos lageniformes, con cuello cilíndrico, otros subcapitados, otros algo sinuosos y terminando en formas redondeadas. En agua destilada se observa en su interior un pigmento suavemente liláceo.
En la mayoría de muestras de la arista laminar, aparecía una pigmentación muy oscura (como la que aparece en la imagen), esta dificultaba la observación de los queilocistidios, intuyo que podía contribuir a la coloración pardo lilácea de la arista laminar.
Desde luego una Mycena muy poco agradecida al micro
Basidios claviformes y en mi estudio mayoritariamente tetraspóricos.
Esporas conseguidas de manera forzada, de paredes de difícil observación, hialinas, ampliamente elipsoides, con una gran vacuola en su interior y con una apícula mayoritariamente lateral.
En este caso el resultado de mis mediciones de 7,8;10,6 X 5,4;6,6 micras.
En las muestras aparecían asimismo muchas esporas rotas, que ensuciaban cualquier imagen.
Esporas provenientes de esporada natural, y además sin apretar demasiado la muestra (lo que provocaría la rotura de estas).
Un aspecto ya muy distinto, esporas entre elipsoides y amigdaliformes, ya con una pared bien definida, con marcada apícula y contenido granuloso bien visible (las vacuolas solo se pueden observar en algunas de ellas).
En este caso he procurado en mis medicines el asegurarme que ninguna de las esporas medidas estuviera ladeada (sucede a menudo cuando no has apretado la muestra lo suficiente). El resultado en este caso de 8,6;11,7 X 6,6;7,8 micras, totalmente acordes con los dos estudios de los enlaces.
Saludos a tod@s.
El siguiente usuario dijo gracias: Juan Andrés Román, Jon Joseba Arnedo
Por favor, Identificarse para unirse a la conversación.
- Juan Andrés Román
-
- Fuera de línea
- Spammer
-
Menos
Más
- Mensajes: 2558
- Gracias recibidas: 2756
7 años 9 meses antes #99479
por Juan Andrés Román
Respuesta de Juan Andrés Román sobre el tema Mycena purpureofusca ?............................ Probablemente
Muy interesante Josep, esta la fotografiamos y creo que Ricardo le hizo micro hace 2 años en una zona habitualmente frecuentada por Koldobika, vamos donde los Gymnosporangium gracile y confusum, en esa época íbamos a fotografiar la Mycena juniperina etc etc... 
Adjunto fotografía de detalle laminar de Mycena purpureofusca.
Saludos.
Adjunto fotografía de detalle laminar de Mycena purpureofusca.
Saludos.
El siguiente usuario dijo gracias: Josep Torres
Por favor, Identificarse para unirse a la conversación.
- Josep Torres
-
Autor del tema
- Fuera de línea
- Moderador
-
Menos
Más
- Mensajes: 8745
- Gracias recibidas: 8379
7 años 9 meses antes #99482
por Josep Torres
Respuesta de Josep Torres sobre el tema Mycena purpureofusca ?............................ Probablemente
Gracias Juan Andrés, desde luego una imagen preciosa
, nada que ver con las mias 
Un abrazo
Un abrazo
El siguiente usuario dijo gracias: Juan Andrés Román
Por favor, Identificarse para unirse a la conversación.
- Jon Joseba Arnedo
-
- Fuera de línea
- Moderador
-
Menos
Más
- Mensajes: 3702
- Gracias recibidas: 3555
7 años 9 meses antes #99491
por Jon Joseba Arnedo
Respuesta de Jon Joseba Arnedo sobre el tema Mycena purpureofusca ?............................ Probablemente
Este cromo yo también lo tenía de la salida que comenta Juan. Una Mycena muy chula, enhorabuena por el cromo!
Un abrazo
Un abrazo
El siguiente usuario dijo gracias: Juan Andrés Román, Josep Torres
Por favor, Identificarse para unirse a la conversación.
- Josep Torres
-
Autor del tema
- Fuera de línea
- Moderador
-
Menos
Más
- Mensajes: 8745
- Gracias recibidas: 8379
7 años 9 meses antes #99504
por Josep Torres
Respuesta de Josep Torres sobre el tema Mycena purpureofusca ?............................ Probablemente
Gracias Joseba, a pesar de tratarse de una Mycena, en este caso considero que es de las fáciles de identificar ya tan solo por el aspecto y el hábitat, aunque nunca está de más el confirmarlas con su micro 
Un abrazo
Un abrazo
El siguiente usuario dijo gracias: Juan Andrés Román
Por favor, Identificarse para unirse a la conversación.
- Foro
- Foros sobre Micología de fungipedia
- Microscopía
- Mycena purpureofusca ?............................ Probablemente
Tiempo de carga de la página: 0.184 segundos



Foro de micología