- Foro
- Foros sobre Micología de fungipedia
- Microscopía
- Probablemente Galerina salicicola. Dedicado a Juan Andrés.
Probablemente Galerina salicicola. Dedicado a Juan Andrés.
- Josep Torres
-
Autor del tema
- Fuera de línea
- Moderador
-
Menos
Más
- Mensajes: 8745
- Gracias recibidas: 8379
7 años 10 meses antes #99265
por Josep Torres
Hola a tod@s.
Imágenes de una Galerina fotografiada el pasado 6 de Mayo en la recogida de muestras que efectué conjuntamente con Juan Andrés en soto fluvial.
En el lugar encontramos por separado unos ejemplares jóvenes y unos de adultos de Galerina, en aquel momento pensamos que tal vez se tratara de dos Galerinas distintas, al final deduzco que en los dos casos se trataba de la misma especie.
Imágenes de los ejemplares adultos:
En los ejemplares adultos se observa una decoloración del sombrero mas acusada en los bordes.
Los ejemplares jóvenes:
Sombrero de color cerema, mas oscuro en el centro y con transparencia radial de las láminas.
Láminas espaciadas con abundanyes lamélulas y concoloras con el sombfrero.
Pié asimismo concoloro, con un color mas claro en la parte alta del mismo y cubierto en su totalidad por unas fibrillas blanquecinas.
La microscopía:
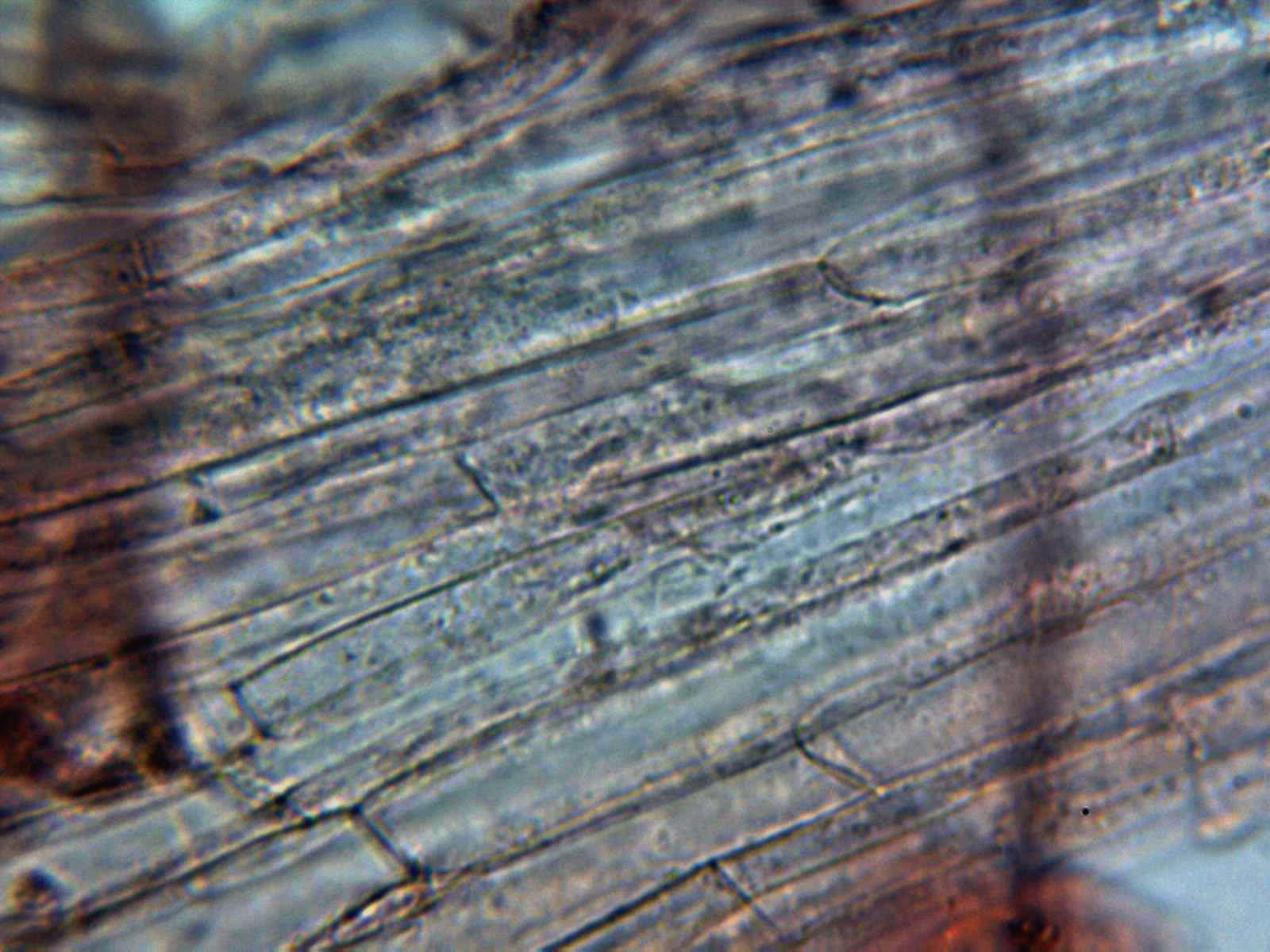
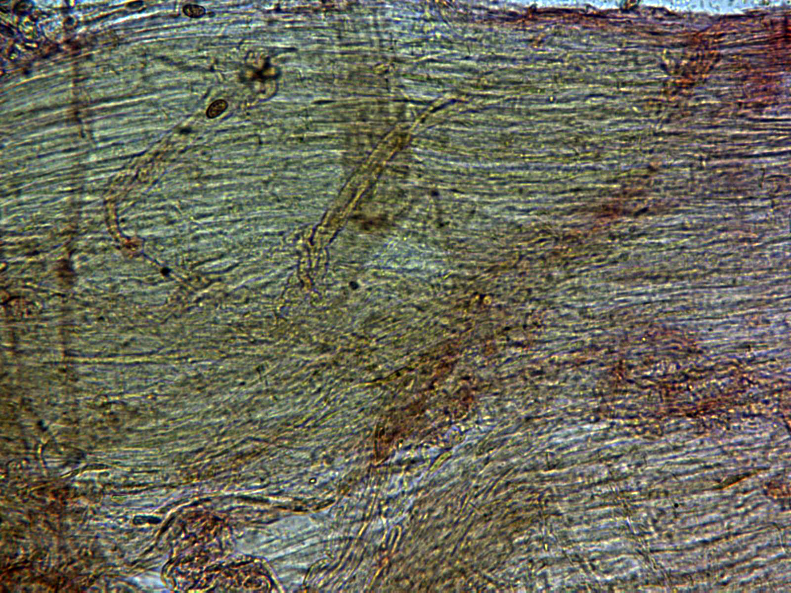
Cutícula filamentosa con hifas entrelazadas en las que se pueden observar fíbulas.
Caulocistidios presentes en la parte alta del pié, los de la imágen a 400 aumentos.
Caulocistidios a 1000 aumentos.
Hifas de la estipitipellis a 400 aumentos.
Las mismas a 1000 aumentos, tomadas en la base del mismo, sin caulocistidios.
Y ahora es cuando me entra la duda con los basidios.
Basidios que en la imagen parecen claramente bisporicos, eso nos llevaría irremediablemente a la Galerina heimansii, macroscópicamente parecida a la Galerina salicicola y que además del aspecto comparten asimismo el hábitat.
Una nueva imágen de basidios en la que parecen alternarse los bispóricos con los tetraspóricos.
Otra imagen de sus basidios, en la miniatura se observa un basidio claramente tetraspórico con sus cuatro esterigmas.
Me costó horrores el sacar unas imágenes de sus queilocistidios, en el momento de realizar el estudio las muestras llevaban ya varios días en la nevera y se habían contaminado con una bacteria. Solo pude conseguir una imagen de los mismos utilizando como reactivo el Hidróxido amónico (Amoníaco).
Queilocistidios cilindricos, ligeramente ensanchados y de menos de 50 micras.
Esporas de esporada natural de los ejemplares adultos.
Esporas de los ejemplares jóvenes, entre elipsoidales y almendradas, con una marcada apícula lateral y con granulaciones en su interior.
Las medidas de las esporas 8,5;9,4 X 5;5,6 micras.
Conclusión: considerando a la especie una Galerina con esporas mayoritariamente por debajo de las 9,5 micras de largo, con fibrillas presentes y de manera abundante en el pié, basidios bispóricos y tetraspóricos, queilocistidios cortos, caulocistidios solo en la parte alta del pié, color del sombrero típico del género y eminentemente terrestre, las claves del género me llevan a la Galerina salicicola con basidios tetraspóricos y a la Galerina heimansii con basidios bispóricos. Dado que pude observar basidios de las dos clases lo dejo como muy probable Galerina salicicola, con algunas dudas.
Saludos a tod@s.
Imágenes de una Galerina fotografiada el pasado 6 de Mayo en la recogida de muestras que efectué conjuntamente con Juan Andrés en soto fluvial.
En el lugar encontramos por separado unos ejemplares jóvenes y unos de adultos de Galerina, en aquel momento pensamos que tal vez se tratara de dos Galerinas distintas, al final deduzco que en los dos casos se trataba de la misma especie.
Imágenes de los ejemplares adultos:
En los ejemplares adultos se observa una decoloración del sombrero mas acusada en los bordes.
Los ejemplares jóvenes:
Sombrero de color cerema, mas oscuro en el centro y con transparencia radial de las láminas.
Láminas espaciadas con abundanyes lamélulas y concoloras con el sombfrero.
Pié asimismo concoloro, con un color mas claro en la parte alta del mismo y cubierto en su totalidad por unas fibrillas blanquecinas.
La microscopía:
Cutícula filamentosa con hifas entrelazadas en las que se pueden observar fíbulas.
Caulocistidios presentes en la parte alta del pié, los de la imágen a 400 aumentos.
Caulocistidios a 1000 aumentos.
Hifas de la estipitipellis a 400 aumentos.
Las mismas a 1000 aumentos, tomadas en la base del mismo, sin caulocistidios.
Y ahora es cuando me entra la duda con los basidios.
Basidios que en la imagen parecen claramente bisporicos, eso nos llevaría irremediablemente a la Galerina heimansii, macroscópicamente parecida a la Galerina salicicola y que además del aspecto comparten asimismo el hábitat.
Una nueva imágen de basidios en la que parecen alternarse los bispóricos con los tetraspóricos.
Otra imagen de sus basidios, en la miniatura se observa un basidio claramente tetraspórico con sus cuatro esterigmas.
Me costó horrores el sacar unas imágenes de sus queilocistidios, en el momento de realizar el estudio las muestras llevaban ya varios días en la nevera y se habían contaminado con una bacteria. Solo pude conseguir una imagen de los mismos utilizando como reactivo el Hidróxido amónico (Amoníaco).
Queilocistidios cilindricos, ligeramente ensanchados y de menos de 50 micras.
Esporas de esporada natural de los ejemplares adultos.
Esporas de los ejemplares jóvenes, entre elipsoidales y almendradas, con una marcada apícula lateral y con granulaciones en su interior.
Las medidas de las esporas 8,5;9,4 X 5;5,6 micras.
Conclusión: considerando a la especie una Galerina con esporas mayoritariamente por debajo de las 9,5 micras de largo, con fibrillas presentes y de manera abundante en el pié, basidios bispóricos y tetraspóricos, queilocistidios cortos, caulocistidios solo en la parte alta del pié, color del sombrero típico del género y eminentemente terrestre, las claves del género me llevan a la Galerina salicicola con basidios tetraspóricos y a la Galerina heimansii con basidios bispóricos. Dado que pude observar basidios de las dos clases lo dejo como muy probable Galerina salicicola, con algunas dudas.
Saludos a tod@s.
El siguiente usuario dijo gracias: Juan Andrés Román, javier
Por favor, Identificarse para unirse a la conversación.
- javier
-
- Fuera de línea
- Moderador
-
Menos
Más
- Mensajes: 5617
- Gracias recibidas: 4356
7 años 10 meses antes #99271
por javier
Pfff...complicado pueden llegar a ser este grupo, mucha suerte
Respuesta de javier sobre el tema Probablemente Galerina salicicola. Dedicado a Juan Andrés.
El siguiente usuario dijo gracias: Juan Andrés Román, Josep Torres
Por favor, Identificarse para unirse a la conversación.
- Juan Andrés Román
-
- Fuera de línea
- Spammer
-
Menos
Más
- Mensajes: 2558
- Gracias recibidas: 2756
7 años 10 meses antes #99286
por Juan Andrés Román
Respuesta de Juan Andrés Román sobre el tema Probablemente Galerina salicicola. Dedicado a Juan Andrés.
Encantado y muchas gracias por la dedicatoria Josep, y encima otra Galerina para la buchaca 
Un abrazo Josep.
Un abrazo Josep.
El siguiente usuario dijo gracias: Josep Torres
Por favor, Identificarse para unirse a la conversación.
- Josep Torres
-
Autor del tema
- Fuera de línea
- Moderador
-
Menos
Más
- Mensajes: 8745
- Gracias recibidas: 8379
7 años 9 meses antes #99299
por Josep Torres
Respuesta de Josep Torres sobre el tema Probablemente Galerina salicicola. Dedicado a Juan Andrés.
Muchas gracias a los dos. Para Juan Andrés, de la recogida de este día aún tengo cuatro de pendientes, incluida una Mollisia que nos va a dar mucho trabajo, a ver si puedo dedicarme a ellas en breve.
Un abrazo a los dos
Un abrazo a los dos
El siguiente usuario dijo gracias: Juan Andrés Román
Por favor, Identificarse para unirse a la conversación.
- Foro
- Foros sobre Micología de fungipedia
- Microscopía
- Probablemente Galerina salicicola. Dedicado a Juan Andrés.
Tiempo de carga de la página: 0.058 segundos



Foro de micología